1
物件掲載企業数:
299
社
|賃貸物件:
3,012
件|売買物件:
3,232
件|今週の登録物件:
290
件
閲覧中のブラウザ(インターネットエクスプローラー)は非推奨ブラウザです。
物件が正しく表示されなかったり、正しく検索されない場合があります。最新のブラウザ(Google Chrome・Edgeなど)にてご利用お願いいたします。
Google Chrome
Microsoft Edge
アパート・マンション・一戸建て
駐車場
貸土地
店舗
事務所
倉庫・工場
新築分譲マンション
中古マンション
新築一戸建て
中古一戸建て
売土地・分譲地
その他(投資物件など)
マンション
一戸建て
土地
ホーム
>
会社情報
>
物件種別選択
> 物件一覧
全エリア
の
売土地・分譲地
物件情報
2011件
該当しました。
<前のページ
36
37
38
39
40
41
42
43
44
45
46
次のページ>
表示切替:
一覧表示
/
地図表示
並び替え:
指定なし
新着順
価格が安い順
価格が高い順
画像
物件名/所在地/取扱店
詳細
商店街やスーパーまで徒歩圏内の好立地!
本町2丁目109-5土地
新潟県見附市本町2丁目109-5
新潟化成株式会社
価格
:
4,200,000
円
土地面積
:199.02㎡ /60.2坪
坪単価
:69,767円/坪
建ぺい率
:60%
容積率
:200%
熊川
上越市板倉区熊川257-1
楽栄不動産株式会社
価格
:
4,200,000
円
土地面積
:350.26㎡ /105.95坪
坪単価
:39,641円/坪
建ぺい率
:-
容積率
:-
生活に便利な静かな住宅街、スーパー、市役所、小中学校、病院近くに有り
土底浜中区団地
新潟県上越市大潟区土底浜3581
たかはし不動産
価格
:
4,200,000
円
土地面積
:407.28㎡ /123.2坪
坪単価
:34,090円/坪
建ぺい率
:50%
容積率
:100%
静かな住宅団地です。
土地
上越市大潟区九戸浜855
たかはし不動産
価格
:
4,200,000
円
土地面積
:264㎡ /79.86坪
坪単価
:52,592円/坪
建ぺい率
:60%
容積率
:200%
たっぷり156坪! 売主負担で解体し 更地としてお引渡しします
上越市黒井 売地
新潟県上越市黒井2172-3
株式会社 能建 上越支店
価格
:
4,200,000
円
土地面積
:518.13㎡ /156.73坪
坪単価
:26,797円/坪
建ぺい率
:60%
容積率
:200%
北西角地 約24坪のコンパクトな土地です
金房1丁目売地
新潟県長岡市金房1丁目2442-1
有限会社 地建事務所
価格
:
4,200,000
円
土地面積
:82㎡ /24.8坪
坪単価
:169,354円/坪
建ぺい率
:60%
容積率
:200%
田尻小学校区! 田園風景を望む広大地
安田 売土地133坪
新潟県柏崎市安田3108-4
株式会社 ライフプラン
価格
:
4,200,000
円
土地面積
:442.66㎡ /133.9坪
坪単価
:31,366円/坪
建ぺい率
:70%
容積率
:200%
高柳⑥
新潟県妙高市高柳1丁目3
株式会社山崎建設
価格
:
4,233,600
円
土地面積
:233.26㎡ /70.56坪
坪単価
:60,000円/坪
建ぺい率
:60%
容積率
:200%
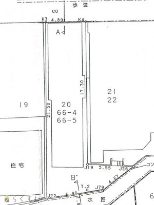
国道352号沿い♪価格応談です。
新町二丁目売土地
新潟県長岡市新町2丁目20番、66番4、66番5
株式会社 長岡総合開発
価格
:
4,250,000
円
土地面積
:117.3㎡ /35.48坪
坪単価
:119,785円/坪
建ぺい率
:80%
容積率
:300%
高柳④
新潟県妙高市高柳1丁目3
株式会社山崎建設
価格
:
4,256,400
円
土地面積
:234.52㎡ /70.94坪
坪単価
:60,000円/坪
建ぺい率
:60%
容積率
:200%
78坪の整形地! 陽当り良好
山本 売土地78坪
新潟県柏崎市山本326-29
株式会社 ライフプラン
価格
:
4,290,000
円
土地面積
:259.42㎡ /78.47坪
坪単価
:54,670円/坪
建ぺい率
:70%
容積率
:200%
売地
新潟県上越市柿崎区上下浜225乙
有限会社佐藤材木店
価格
:
4,290,000
円
土地面積
:472.72㎡ /142.99坪
坪単価
:30,002円/坪
建ぺい率
:60%
容積率
:200%
川口駅まで徒歩4分
長岡市東川口 売地
新潟県長岡市東川口1979-420
株式会社にいがた不動産
価格
:
4,300,000
円
土地面積
:236.76㎡ /71.61坪
坪単価
:60,047円/坪
建ぺい率
:60%
容積率
:200%
鉢伏町 売土地 39坪
新潟県長岡市鉢伏町1390-6 他2筆
株式会社 金井不動産
価格
:
4,300,000
円
土地面積
:131.99㎡ /39.92坪
坪単価
:107,715円/坪
建ぺい率
:70%
容積率
:200%
田尻小学校区 陽当り良好な角地
上田尻 売土地
新潟県柏崎市上田尻3141-42
株式会社 ライフプラン
価格
:
4,300,000
円
土地面積
:220.65㎡ /66.74坪
坪単価
:64,429円/坪
建ぺい率
:70%
容積率
:200%
白山町3丁目 土地
妙高市白山町3丁目
楽栄不動産株式会社
価格
:
4,300,000
円
土地面積
:239.66㎡ /72.49坪
坪単価
:59,318円/坪
建ぺい率
:50%
容積率
:80%
R7.4.25から500万→430万へ価格改定いたしました!2方向接道あり 広々して日当たりも良い土地です ライフライン宅内引込済
小千谷片貝町一之町売土地 約107.85坪
新潟県小千谷市片貝町片貝町10206番3
フジクリエイト株式会社
価格
:
4,300,000
円
土地面積
:356.56㎡ /107.85坪
坪単価
:39,870円/坪
建ぺい率
:50%
容積率
:150%
南向き
両田尻売土地
新潟県柏崎市両田尻211-2
リメイク株式会社
価格
:
4,300,000
円
土地面積
:249.81㎡ /75.56坪
坪単価
:56,908円/坪
建ぺい率
:70%
容積率
:200%
橋場町 売土地A
新潟県柏崎市橋場町2071番
株式会社 アイエステート
価格
:
4,360,000
円
土地面積
:206.11㎡ /62.34坪
坪単価
:69,939円/坪
建ぺい率
:70%
容積率
:200%
分譲地の工事完了!今秋、消雪パイプの工事予定!
和タウン直江⑧
新潟県三条市直江町3丁目
ハウスドゥ 長岡中央店
価格
:
4,370,900
円
土地面積
:164.19㎡ /49.66坪
坪単価
:88,016円/坪
建ぺい率
:60%
容積率
:200%
表示切替:
一覧表示
/
地図表示
並び替え:
指定なし
新着順
価格が安い順
価格が高い順
価格は物件の代金総額を表示しており、消費税が課税される場合は税込み価格です。
建築条件付き土地価格には、建物価格は含まれません。
物件情報の詳細については取り扱い店までお問い合わせください。
完成予想図はいずれも外構・植栽・外観等実際のものと異なることが多少あります。
CG合成の画像の場合実際と異なることが多少あります。
完成後1年以上経過したものが未入居として記載される場合があります。ご了承ください。
販売予定物件は販売開始するまで契約または予約の申し込みはできません。
ご購入の場合物件詳細や契約内容についてご自身で十分ご確認いただきますようよろしく御願いします。
建築条件付きとは…その土地に建築する建物の建築請負契約が、一定期間内に成立することを条件として売買される土地のことをいいます。請負契約成立に向けて設計プランを協議するため、土地購入者が希望する建物にするために一定の期間(概ね3ヶ月)交渉期間としその期間内に希望するプランが実現できたかどうかによって土地の購入の判断をします。納得のいくプランができず請負契約が未成立になった場合、土地契約にかかった代金(手付金など)は、すべて返却されます。
2011件
該当しました。
<前のページ
36
37
38
39
40
41
42
43
44
45
46
次のページ>
0件
がマッチ
基本条件
物件種別
売土地・分譲地
詳細種別
売土地
分譲地
価格
下限なし
100万円
250万円
500万円
1000万円
1500万円
2000万円
2500万円
3000万円
3500万円
4000万円
4500万円
5000万円
5500万円
6000万円
6500万円
7000万円
7500万円
8000万円
8500万円
9000万円
9500万円
1億円
~
上限なし
100万円
250万円
500万円
1000万円
1500万円
2000万円
2500万円
3000万円
3500万円
4000万円
4500万円
5000万円
5500万円
6000万円
6500万円
7000万円
7500万円
8000万円
8500万円
9000万円
9500万円
1億円
間取り
ワンルーム
1K
1DK
1LDK
2K
2DK
2LDK
3K
3DK
3LDK
4K
4DK
4LDK以上
専有面積
下限なし
20㎡
30㎡
40㎡
50㎡
60㎡
70㎡
80㎡
90㎡
100㎡
~
上限なし
20㎡
30㎡
40㎡
50㎡
60㎡
70㎡
80㎡
90㎡
100㎡
土地面積
下限なし
60㎡ (約18坪)
70㎡ (約21坪)
80㎡ (約24坪)
90㎡ (約27坪)
100㎡ (約30坪)
110㎡ (約33坪)
120㎡ (約36坪)
130㎡ (約39坪)
140㎡ (約42坪)
150㎡ (約45坪)
160㎡ (約48坪)
170㎡ (約51坪)
180㎡ (約54坪)
190㎡ (約57坪)
200㎡ (約60坪)
250㎡ (約75坪)
300㎡ (約90坪)
~
上限なし
60㎡ (約18坪)
70㎡ (約21坪)
80㎡ (約24坪)
90㎡ (約27坪)
100㎡ (約30坪)
110㎡ (約33坪)
120㎡ (約36坪)
130㎡ (約39坪)
140㎡ (約42坪)
150㎡ (約45坪)
160㎡ (約48坪)
170㎡ (約51坪)
180㎡ (約54坪)
190㎡ (約57坪)
200㎡ (約60坪)
250㎡ (約75坪)
300㎡ (約90坪)
建物面積
下限なし
60㎡ (約18坪)
70㎡ (約21坪)
80㎡ (約24坪)
90㎡ (約27坪)
100㎡ (約30坪)
110㎡ (約33坪)
120㎡ (約36坪)
130㎡ (約39坪)
140㎡ (約42坪)
150㎡ (約45坪)
160㎡ (約48坪)
170㎡ (約51坪)
180㎡ (約54坪)
190㎡ (約57坪)
200㎡ (約60坪)
250㎡ (約75坪)
300㎡ (約90坪)
~
上限なし
60㎡ (約18坪)
70㎡ (約21坪)
80㎡ (約24坪)
90㎡ (約27坪)
100㎡ (約30坪)
110㎡ (約33坪)
120㎡ (約36坪)
130㎡ (約39坪)
140㎡ (約42坪)
150㎡ (約45坪)
160㎡ (約48坪)
170㎡ (約51坪)
180㎡ (約54坪)
190㎡ (約57坪)
200㎡ (約60坪)
250㎡ (約75坪)
300㎡ (約90坪)
坪単価
下限なし
5万円
10万円
15万円
20万円
25万円
30万円
35万円
40万円
45万円
50万円
~
上限なし
5万円
10万円
15万円
20万円
25万円
30万円
35万円
40万円
45万円
50万円
築年数
指定なし
新築
3年以内
5年以内
10年以内
15年以内
20年以内
方位
北
北東
東
南東
南
南西
西
北西
おすすめ条件
ペット可・相談
楽器可・相談
情報公開日
指定なし
本日
3日以内
1週間以内
1ヶ月以内
0件
がマッチ
人気のあるこだわり条件
高台に立地(104)
角地(370)
整形地(709)
前道6m以上(976)
南側道路面す(385)
更地(1169)
学校近く(550)
スーパー近く(405)
最寄り駅近く(226)
閑静な住宅街(915)
分割可能(49)
建築条件なし(1478)
所有権(1597)
即引き渡し可(660)
側溝(683)
都市ガス(前面道路)(795)
LPG(154)
上水道(前面道路)(893)
下水道(前面道路)(816)
浄化槽(80)
電気(905)
都市ガス(宅地内)(817)
上水道(宅地内)(1052)
下水道(宅地内)(963)
前面道路融雪設備あり(401)
その他水道(2)
住宅向け(1399)
事業用向け(313)
別荘地(116)
田舎暮らし(218)
条件に合った物件数は、
0 件
です。
立地・環境
高台に立地(104)
角地(370)
整形地(709)
前道6m以上(976)
南側道路面す(385)
更地(1169)
学校近く(550)
スーパー近く(405)
最寄り駅近く(226)
閑静な住宅街(915)
用途・制限
分割可能(49)
建築条件なし(1478)
引渡・条件
所有権(1597)
即引き渡し可(660)
設備
側溝(683)
都市ガス(前面道路)(795)
LPG(154)
上水道(前面道路)(893)
下水道(前面道路)(816)
浄化槽(80)
電気(905)
都市ガス(宅地内)(817)
上水道(宅地内)(1052)
下水道(宅地内)(963)
前面道路融雪設備あり(401)
その他水道(2)
その他
住宅向け(1399)
事業用向け(313)
別荘地(116)
田舎暮らし(218)
条件に合った物件数は、
0 件
です。
アパート・マンション・一戸建て
/
駐車場
/
貸土地
/
店舗
/
事務所
/
倉庫・工場
新築分譲マンション
/
中古マンション
/
新築一戸建て
/
中古一戸建て
/
売土地
/
投資物件・その他
マンション
/
一戸建て
/
土地
建てる・リフォーム
物件掲載企業一覧
掲載希望の企業様へ
新潟の不動産情報サイト
サービス利用規約
運営会社
サイトマップ
プライバシーポリシー
お問い合わせ
リンク
Copyright (C)
株式会社 コモンライフ・コーポレーション
. All Rights Reserved.
新潟・長岡・柏崎の賃貸・マンション・アパート・住宅の不動産物件情報サイト
不動産検索サイト「らくすむ」及び関連サイトに記載の不動産情報は、会員規約に則り、情報提供会社様の責任のもとに発信されております。
不動産の賃借、購入に関しては賃借者、購入者ご自身が情報を確認され、会社企業様から説明を受けられたうえで判断をお願いいたします。
不動産検索サイト「らくすむ」及び関連サイトに記載の不動産情報、写真、デザイン、コンテンツなどの
無断転載・転用・複製
など禁止します。