物件掲載企業数:301|賃貸物件:3,258件|売買物件:3,253件|今週の登録物件:262
閲覧中のブラウザ(インターネットエクスプローラー)は非推奨ブラウザです。
物件が正しく表示されなかったり、正しく検索されない場合があります。最新のブラウザ(Google Chrome・Edgeなど)にてご利用お願いいたします。
  

新潟県長岡市新町2丁目20番、66番4、66番5 売土地・分譲地 4,250,000円の物件情報

国道352号沿い♪価格応談です。

物件名/所在地 詳細 価格
新町二丁目売土地
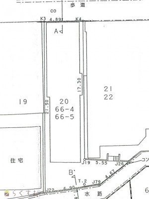
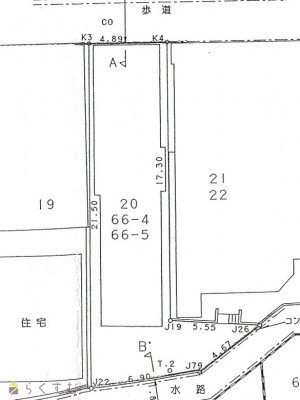
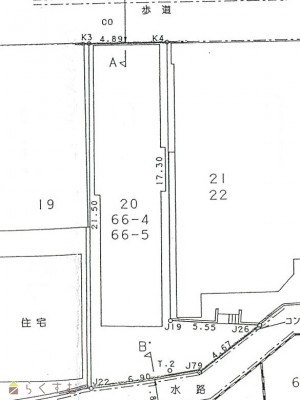
新潟県長岡市新町2丁目20番、66番4、66番5
  • 土地面積
    :117.3㎡ /35.48坪
  • 坪単価
    :119,785円/坪
  • 建ぺい率
    :80%
  • 容積率
    :300%
4,250,000
  • 新町二丁目売土地
    株式会社 長岡総合開発
  • この物件を問い合わせる/無料
  • TEL: 0258-46-8777

物件画像

外観 間取り
物件画像
※画像クリックで拡大表示
外観
物件画像
※画像クリックで拡大表示
寸法図
詳細画像


物件概要

物件コード 00030-200237
物件名 新町二丁目売土地
交通 駅:信越線 北長岡駅から徒歩15分、バス:新町1丁目から徒歩3分
物件所在地 新潟県長岡市新町2丁目20番、66番4、66番5
物件種別 売土地・分譲地
物件区分 売土地
構造 - 階建 -
建ぺい率/容積率 80%/300%
建物面積 -
土地面積 117.3㎡ /35.48坪
築年月 -
入居(引き渡し)時期 随時入居(引き渡し)可
用途地域 近隣商業地域 地目 宅地  (現状:宅地)
都市計画 市街化区域 学校区 新町小学校(155m)・北中学校(1,209m)
形状 間口 4.89m × 奥行 21.50m 道路 西側 国道352号線 幅員22.6m
私道 - その他の制限 準防火地域
  • 新町二丁目売土地
    株式会社 長岡総合開発
  • この物件を問い合わせる/無料
  • TEL: 0258-46-8777

物件詳細情報

所在階/階数 - 号室 -
販売価格 4,250,000円 方位 -
間取り -
専有面積 - バルコニー面積 -
その他面積 - 駐車場 -
管理費 - 修繕積立金 -
現況 -
仲介手数料 330,000円
利用制限 -
設備 前道6m以上、学校近く、最寄り駅近く、建築条件なし、所有権、即引き渡し可、電気、都市ガス(宅地内)、上水道(宅地内)、下水道(宅地内)、前面道路融雪設備あり、住宅向け、事業用向け
取引態様 専任
備考 価格応談
前面道路消雪パイプ有
まちなか居住区域内のため、市外から転入される方は固定資産税の固定資産税減免措置があります。
取り扱い会社

株式会社 長岡総合開発

新潟県長岡市南七日町89-21

情報登録日 2025/08/04 次回更新予定日 2026/06/06
取引条件有効期限 2023/09/29
  • 新町二丁目売土地
    株式会社 長岡総合開発
  • この物件を問い合わせる/無料
  • TEL: 0258-46-8777

この物件の地図・周辺情報・行政情報

この物件の周辺情報・行政情報を詳しく見る
【周辺情報】
物件の近くにあるコンビニや銀行・学校など、アイコン付のマップで詳しく表示できます!
【行政情報】
水道料や下水道料・ガス料金など、暮らしに関係のある情報を表示しています。

担当取扱い店舗情報

取扱い店舗画像
株式会社 長岡総合開発
TEL: 0258-46-8777
所在地: 新潟県長岡市南七日町89-21
交通: バス停「南七日町」徒歩3分
営業時間: 9:00~18:00/定休日:日曜・祭日
免許番号: 新潟県知事(10)2876号 この会社の情報を詳しく見る
所属団体名: 新潟県宅地建物取引業協会 長岡支部
取引態様: 専任
ホームページ: http://www.nagaoka-sk.co.jp