| 物件コード | 00030-200237 | ||
|---|---|---|---|
| 物件名 | 新町二丁目売土地 | ||
| 交通 | 駅:信越線 北長岡駅から徒歩15分、バス:新町1丁目から徒歩3分 | ||
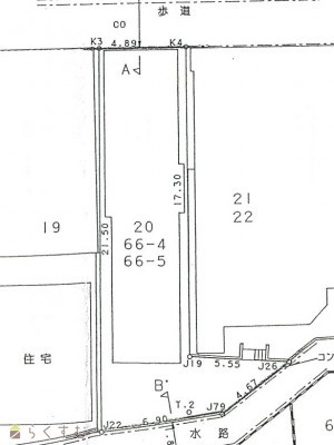
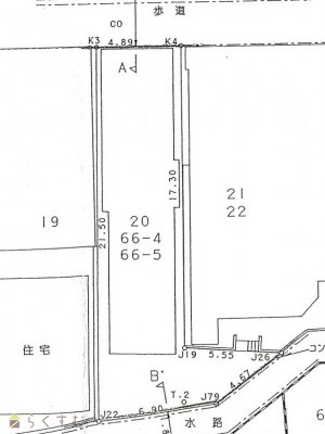
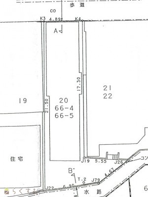
| 物件所在地 | 新潟県長岡市新町2丁目20番、66番4、66番5 | ||
| 物件種別 | 売土地・分譲地 | ||
| 物件区分 | 売土地 | ||
| 構造 | - | 階建 | - |
| 建ぺい率/容積率 | 80%/300% | ||
| 建物面積 | - | ||
| 土地面積 | 117.3㎡ /35.48坪 | ||
| 築年月 | - | ||
| 入居時期 | 随時入居(引き渡し)可 | ||
| 用途地域 | 近隣商業地域 | 地目 | 宅地 (現状:宅地) |
| 都市計画 | 市街化区域 | 学校区 | 新町小学校(155m)・北中学校(1,209m) |
| 形状 | 間口 4.89m × 奥行 21.50m | 道路 | 西側 国道352号線 幅員22.6m |
| 私道 | - | ||
| 所在階/階数 | - | 号室 | - |
|---|---|---|---|
| 販売価格 | 4,250,000円 | 方位 | - |
| 間取り | - | ||
| 専有面積 | - | バルコニー面積 | - |
| その他面積 | - | 駐車場 | - |
| 管理費 | - | 修繕積立金 | - |
| 現況 | - | ||
| 仲介手数料 | 330,000円 | ||
| 利用制限 | - | ||
| 設備 | 前道6m以上、学校近く、最寄り駅近く、建築条件なし、所有権、即引き渡し可、電気、都市ガス(宅地内)、上水道(宅地内)、下水道(宅地内)、前面道路融雪設備あり、住宅向け、事業用向け | ||
| 取引態様 | 専任 | ||
| 備考 | 価格応談 前面道路消雪パイプ有 まちなか居住区域内のため、市外から転入される方は固定資産税の固定資産税減免措置があります。 |
||
| 情報登録日 | 2025/08/04 | 次回更新予定日 | 2026/06/06 |
| 取引条件有効期限 | 2023/09/29 | ||
|
|
|
|
|
| TEL: | 0258-46-8777 |
|---|---|
| 所在地: | 新潟県長岡市南七日町89-21 |
| 交通: | バス停「南七日町」徒歩3分 |
| 営業時間: | 9:00~18:00/定休日:日曜・祭日 |
| 免許番号: | 新潟県知事(10)2876号 |
| 所属団体名: | 新潟県宅地建物取引業協会 長岡支部 |
| 取引態様: | 専任 |