1
物件掲載企業数:
299
社
|賃貸物件:
3,031
件|売買物件:
3,232
件|今週の登録物件:
324
件
閲覧中のブラウザ(インターネットエクスプローラー)は非推奨ブラウザです。
物件が正しく表示されなかったり、正しく検索されない場合があります。最新のブラウザ(Google Chrome・Edgeなど)にてご利用お願いいたします。
Google Chrome
Microsoft Edge
アパート・マンション・一戸建て
駐車場
貸土地
店舗
事務所
倉庫・工場
新築分譲マンション
中古マンション
新築一戸建て
中古一戸建て
売土地・分譲地
その他(投資物件など)
マンション
一戸建て
土地
ホーム
>
会社情報
>
物件種別選択
> 物件一覧
全エリア
の
売土地・分譲地
物件情報
2011件
該当しました。
<前のページ
8
9
10
11
12
13
14
15
16
17
18
次のページ>
表示切替:
一覧表示
/
地図表示
並び替え:
指定なし
新着順
価格が安い順
価格が高い順
画像
物件名/所在地/取扱店
詳細
緑豊かな自然に囲まれた北西角地、約125坪!
長岡市四ツ屋町 売地
新潟県長岡市四ツ屋町840番1外
株式会社にいがた不動産
価格
:
1,800,000
円
土地面積
:414.11㎡ /125.26坪
坪単価
:14,370円/坪
建ぺい率
:70%
容積率
:200%
自然豊かな地域で、市指定のブナ林やエドヒガンの古木など、周辺は落ち着いた環境が整っています!
三和区岡田の売地 183坪
新潟県上越市三和区岡田542
越乃エステート株式会社
価格
:
1,800,000
円
土地面積
:605.66㎡ /183.21坪
坪単価
:9,824円/坪
建ぺい率
:-
容積率
:-
自然豊かで緑に囲まれた暮らしはいかがですか!?
長岡市城之丘 売土地
新潟県長岡市城之丘1051-4
株式会社不動産情報社 長岡店
価格
:
1,800,000
円
土地面積
:231㎡ /69.87坪
坪単価
:25,762円/坪
建ぺい率
:60%
容積率
:200%
ゆっくり田舎暮らしや畑をやりたい方に
漆山町 売土地
新潟県見附市漆山町965-1
株式会社 三富
価格
:
1,800,000
円
土地面積
:600.5㎡ /181.65坪
坪単価
:9,909円/坪
建ぺい率
:70%
容積率
:200%
約51坪の閑静な住宅地!
柏崎市三島町売土地/約54坪/剣野小・第三中学校区
新潟県柏崎市三島町5丁目
株式会社 阿部建設
価格
:
1,800,000
円
土地面積
:178.9㎡ /54.11坪
坪単価
:33,265円/坪
建ぺい率
:50%
容積率
:100%
スーパーが近くで住みやすいです♪
松波1丁目 土地
新潟県柏崎市松波1丁目8-14
株式会社裕建
価格
:
1,800,000
円
土地面積
:206.88㎡ /62.58坪
坪単価
:28,763円/坪
建ぺい率
:60%
容積率
:200%
アルミカーポート ログハウス物置有
小千谷市上ノ山5丁目 駐車場 物置小屋付き
新潟県小千谷市上ノ山5丁目
ブレイン・リアルエステート合同会社
価格
:
1,800,000
円
土地面積
:127.28㎡ /38.5坪
坪単価
:46,753円/坪
建ぺい率
:60%
容積率
:200%
54.99坪、東の輪町海水浴場まで徒歩5分
柏崎市東の輪町売土地
新潟県柏崎市東の輪町
株式会社 ホーメックス
価格
:
1,800,000
円
土地面積
:181.81㎡ /54.99坪
坪単価
:32,733円/坪
建ぺい率
:60%
容積率
:200%
桜の名所経塚山公園に隣接し開放的な立地です。学校、駅、公共施設が2km以内に集約。利便性良好
妙高市経塚町売地180万円
新潟県妙高市経塚町12番9
信濃土地株式会社 上越支店
価格
:
1,800,000
円
土地面積
:194.38㎡ /58.79坪
坪単価
:30,617円/坪
建ぺい率
:60%
容積率
:200%
角地の129坪の土地。 建築条件無し。 ライフラインは引込済みです!
新潟市西蒲区横戸 角地の129坪売地
新潟県新潟市西蒲区横戸297
ブレイン・リアルエステート合同会社
価格
:
1,800,000
円
土地面積
:428.63㎡ /129.66坪
坪単価
:13,882円/坪
建ぺい率
:70%
容積率
:200%
県道に接道しており、アクセスのいい立地です♪
山本 45.98坪
新潟県柏崎市山本1147-8
アサヒ設備株式会社
価格
:
1,800,000
円
土地面積
:152㎡ /45.98坪
坪単価
:39,147円/坪
建ぺい率
:70%
容積率
:200%
教育大学そば 市道6m沿いの売地
(価格変更)上越市滝寺 売地60坪 180万
上越市滝寺2449-10
木嶋不動産コンサルタント株式会社
価格
:
1,800,000
円
土地面積
:199.92㎡ /60.47坪
坪単価
:29,766円/坪
建ぺい率
:60%
容積率
:200%
東側道路に面した約62坪の売地です☆
上越市北本町2丁目 売地
上越市北本町2丁目1263-6、1264-1
有限会社田村家具店
価格
:
1,800,000
円
土地面積
:207㎡ /62.61坪
坪単価
:28,749円/坪
建ぺい率
:60%
容積率
:200%
◆のどかな地域 ◆前面道路広々 消雪パイプ有
上越市中郷区藤沢売地
新潟県上越市中郷区藤沢
杉山建設株式会社
価格
:
1,800,000
円
土地面積
:293.81㎡ /88.87坪
坪単価
:20,254円/坪
建ぺい率
:70%
容積率
:200%
資材置場や車両置場などに最適!!約150坪の高低差や段差のない平坦な更地! 奥行、間口も余裕で車両の乗り入れなど安易に可能!
長岡市大荒戸町 売土地
新潟県長岡市大荒戸町字南原1181番1、454番1
有限会社 一代工務店
価格
:
1,800,000
円
土地面積
:493㎡ /149.13坪
坪単価
:12,070円/坪
建ぺい率
:50%
容積率
:80%
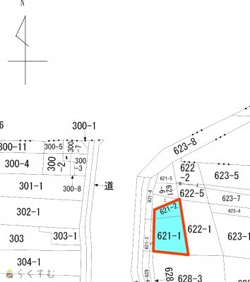
柏崎駅近く22坪!
柳橋町22.6坪 駐車場、倉庫用地に☆
新潟県柏崎市柳橋町621-1、621-2
株式会社 ai-will
価格
:
1,808,000
円
土地面積
:74.74㎡ /22.6坪
坪単価
:80,000円/坪
建ぺい率
:70%
容積率
:200%
価格改定させていただきました。
鳥越売土地
新潟県長岡市鳥越2068番
有限会社 粉川不動産コミュニティ
価格
:
1,850,000
円
土地面積
:329.49㎡ /99.67坪
坪単価
:18,561円/坪
建ぺい率
:70%
容積率
:200%
スーパー、個人医院、薬局、コンビニ、郵便局近くにあります♪
柏崎市桜木町 土地
新潟県柏崎市桜木町1478番1 他2筆
株式会社裕建
価格
:
1,850,000
円
土地面積
:227㎡ /68.66坪
坪単価
:26,944円/坪
建ぺい率
:60%
容積率
:200%
ショッピングエリアまで1km以内♪農作業が楽しめるのどかな環境です♪
巻渕3丁目売土地
新潟県長岡市巻渕525番1他4筆
株式会社 長岡総合開発
価格
:
1,880,000
円
土地面積
:387.09㎡ /117.09坪
坪単価
:16,056円/坪
建ぺい率
:60%
容積率
:200%
水穴町2-34
新潟県長岡市水穴町2-34
株式会社 よつば不動産
価格
:
1,897,500
円
土地面積
:228.23㎡ /69.03坪
坪単価
:27,488円/坪
建ぺい率
:70%
容積率
:240%
表示切替:
一覧表示
/
地図表示
並び替え:
指定なし
新着順
価格が安い順
価格が高い順
価格は物件の代金総額を表示しており、消費税が課税される場合は税込み価格です。
建築条件付き土地価格には、建物価格は含まれません。
物件情報の詳細については取り扱い店までお問い合わせください。
完成予想図はいずれも外構・植栽・外観等実際のものと異なることが多少あります。
CG合成の画像の場合実際と異なることが多少あります。
完成後1年以上経過したものが未入居として記載される場合があります。ご了承ください。
販売予定物件は販売開始するまで契約または予約の申し込みはできません。
ご購入の場合物件詳細や契約内容についてご自身で十分ご確認いただきますようよろしく御願いします。
建築条件付きとは…その土地に建築する建物の建築請負契約が、一定期間内に成立することを条件として売買される土地のことをいいます。請負契約成立に向けて設計プランを協議するため、土地購入者が希望する建物にするために一定の期間(概ね3ヶ月)交渉期間としその期間内に希望するプランが実現できたかどうかによって土地の購入の判断をします。納得のいくプランができず請負契約が未成立になった場合、土地契約にかかった代金(手付金など)は、すべて返却されます。
2011件
該当しました。
<前のページ
8
9
10
11
12
13
14
15
16
17
18
次のページ>
0件
がマッチ
基本条件
物件種別
売土地・分譲地
詳細種別
売土地
分譲地
価格
下限なし
100万円
250万円
500万円
1000万円
1500万円
2000万円
2500万円
3000万円
3500万円
4000万円
4500万円
5000万円
5500万円
6000万円
6500万円
7000万円
7500万円
8000万円
8500万円
9000万円
9500万円
1億円
~
上限なし
100万円
250万円
500万円
1000万円
1500万円
2000万円
2500万円
3000万円
3500万円
4000万円
4500万円
5000万円
5500万円
6000万円
6500万円
7000万円
7500万円
8000万円
8500万円
9000万円
9500万円
1億円
間取り
ワンルーム
1K
1DK
1LDK
2K
2DK
2LDK
3K
3DK
3LDK
4K
4DK
4LDK以上
専有面積
下限なし
20㎡
30㎡
40㎡
50㎡
60㎡
70㎡
80㎡
90㎡
100㎡
~
上限なし
20㎡
30㎡
40㎡
50㎡
60㎡
70㎡
80㎡
90㎡
100㎡
土地面積
下限なし
60㎡ (約18坪)
70㎡ (約21坪)
80㎡ (約24坪)
90㎡ (約27坪)
100㎡ (約30坪)
110㎡ (約33坪)
120㎡ (約36坪)
130㎡ (約39坪)
140㎡ (約42坪)
150㎡ (約45坪)
160㎡ (約48坪)
170㎡ (約51坪)
180㎡ (約54坪)
190㎡ (約57坪)
200㎡ (約60坪)
250㎡ (約75坪)
300㎡ (約90坪)
~
上限なし
60㎡ (約18坪)
70㎡ (約21坪)
80㎡ (約24坪)
90㎡ (約27坪)
100㎡ (約30坪)
110㎡ (約33坪)
120㎡ (約36坪)
130㎡ (約39坪)
140㎡ (約42坪)
150㎡ (約45坪)
160㎡ (約48坪)
170㎡ (約51坪)
180㎡ (約54坪)
190㎡ (約57坪)
200㎡ (約60坪)
250㎡ (約75坪)
300㎡ (約90坪)
建物面積
下限なし
60㎡ (約18坪)
70㎡ (約21坪)
80㎡ (約24坪)
90㎡ (約27坪)
100㎡ (約30坪)
110㎡ (約33坪)
120㎡ (約36坪)
130㎡ (約39坪)
140㎡ (約42坪)
150㎡ (約45坪)
160㎡ (約48坪)
170㎡ (約51坪)
180㎡ (約54坪)
190㎡ (約57坪)
200㎡ (約60坪)
250㎡ (約75坪)
300㎡ (約90坪)
~
上限なし
60㎡ (約18坪)
70㎡ (約21坪)
80㎡ (約24坪)
90㎡ (約27坪)
100㎡ (約30坪)
110㎡ (約33坪)
120㎡ (約36坪)
130㎡ (約39坪)
140㎡ (約42坪)
150㎡ (約45坪)
160㎡ (約48坪)
170㎡ (約51坪)
180㎡ (約54坪)
190㎡ (約57坪)
200㎡ (約60坪)
250㎡ (約75坪)
300㎡ (約90坪)
坪単価
下限なし
5万円
10万円
15万円
20万円
25万円
30万円
35万円
40万円
45万円
50万円
~
上限なし
5万円
10万円
15万円
20万円
25万円
30万円
35万円
40万円
45万円
50万円
築年数
指定なし
新築
3年以内
5年以内
10年以内
15年以内
20年以内
方位
北
北東
東
南東
南
南西
西
北西
おすすめ条件
ペット可・相談
楽器可・相談
情報公開日
指定なし
本日
3日以内
1週間以内
1ヶ月以内
0件
がマッチ
人気のあるこだわり条件
高台に立地(104)
角地(370)
整形地(709)
前道6m以上(976)
南側道路面す(385)
更地(1169)
学校近く(550)
スーパー近く(405)
最寄り駅近く(226)
閑静な住宅街(915)
分割可能(49)
建築条件なし(1478)
所有権(1597)
即引き渡し可(660)
側溝(683)
都市ガス(前面道路)(795)
LPG(154)
上水道(前面道路)(893)
下水道(前面道路)(816)
浄化槽(80)
電気(905)
都市ガス(宅地内)(817)
上水道(宅地内)(1052)
下水道(宅地内)(963)
前面道路融雪設備あり(401)
その他水道(2)
住宅向け(1399)
事業用向け(313)
別荘地(116)
田舎暮らし(218)
条件に合った物件数は、
0 件
です。
立地・環境
高台に立地(104)
角地(370)
整形地(709)
前道6m以上(976)
南側道路面す(385)
更地(1169)
学校近く(550)
スーパー近く(405)
最寄り駅近く(226)
閑静な住宅街(915)
用途・制限
分割可能(49)
建築条件なし(1478)
引渡・条件
所有権(1597)
即引き渡し可(660)
設備
側溝(683)
都市ガス(前面道路)(795)
LPG(154)
上水道(前面道路)(893)
下水道(前面道路)(816)
浄化槽(80)
電気(905)
都市ガス(宅地内)(817)
上水道(宅地内)(1052)
下水道(宅地内)(963)
前面道路融雪設備あり(401)
その他水道(2)
その他
住宅向け(1399)
事業用向け(313)
別荘地(116)
田舎暮らし(218)
条件に合った物件数は、
0 件
です。
アパート・マンション・一戸建て
/
駐車場
/
貸土地
/
店舗
/
事務所
/
倉庫・工場
新築分譲マンション
/
中古マンション
/
新築一戸建て
/
中古一戸建て
/
売土地
/
投資物件・その他
マンション
/
一戸建て
/
土地
建てる・リフォーム
物件掲載企業一覧
掲載希望の企業様へ
新潟の不動産情報サイト
サービス利用規約
運営会社
サイトマップ
プライバシーポリシー
お問い合わせ
リンク
Copyright (C)
株式会社 コモンライフ・コーポレーション
. All Rights Reserved.
新潟・長岡・柏崎の賃貸・マンション・アパート・住宅の不動産物件情報サイト
不動産検索サイト「らくすむ」及び関連サイトに記載の不動産情報は、会員規約に則り、情報提供会社様の責任のもとに発信されております。
不動産の賃借、購入に関しては賃借者、購入者ご自身が情報を確認され、会社企業様から説明を受けられたうえで判断をお願いいたします。
不動産検索サイト「らくすむ」及び関連サイトに記載の不動産情報、写真、デザイン、コンテンツなどの
無断転載・転用・複製
など禁止します。