物件掲載企業数:301|賃貸物件:3,261件|売買物件:3,251件|今週の登録物件:245
閲覧中のブラウザ(インターネットエクスプローラー)は非推奨ブラウザです。
物件が正しく表示されなかったり、正しく検索されない場合があります。最新のブラウザ(Google Chrome・Edgeなど)にてご利用お願いいたします。
  

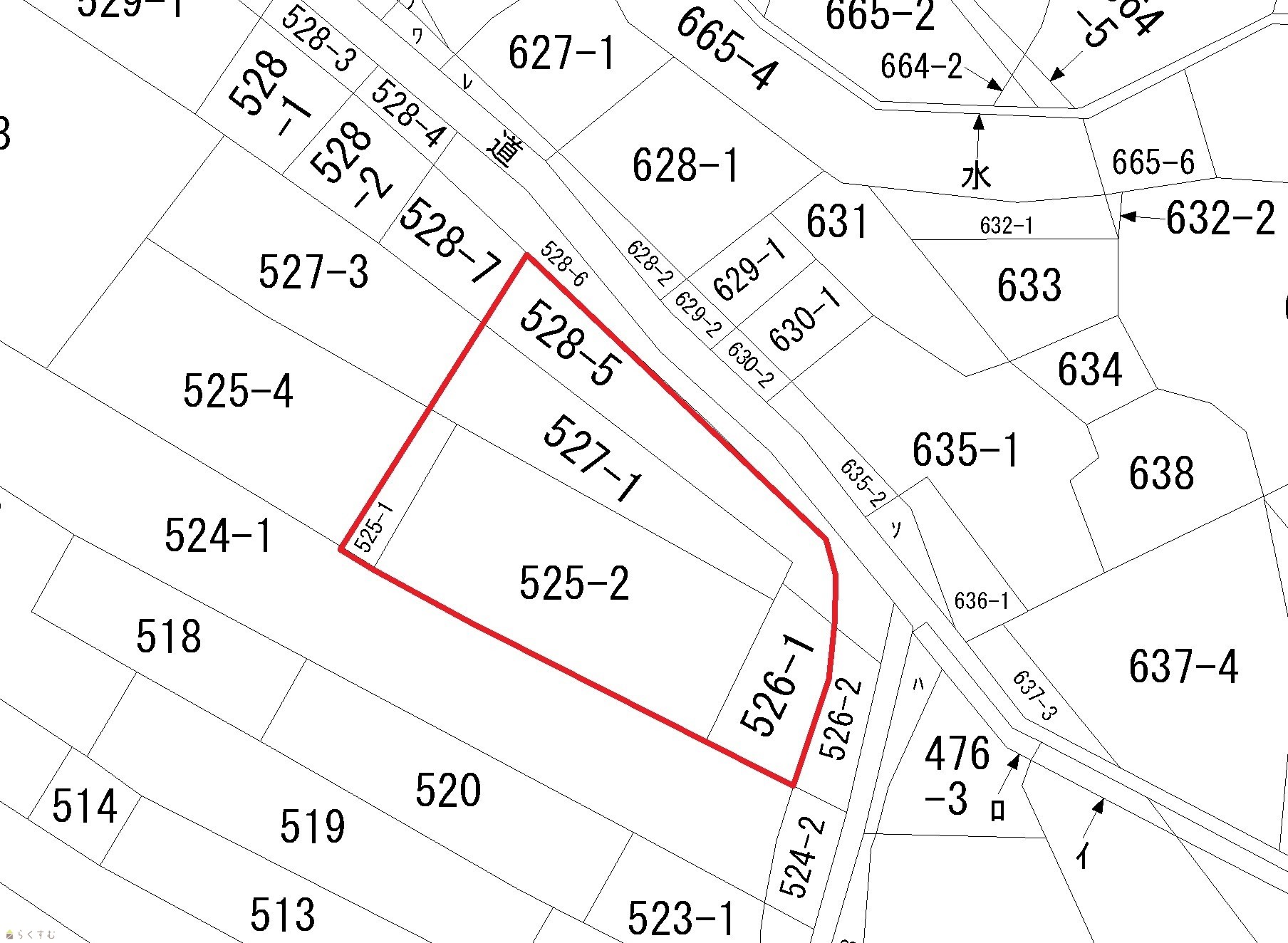
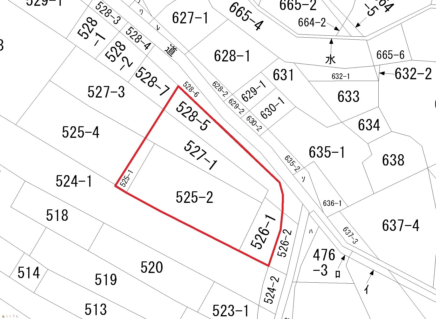
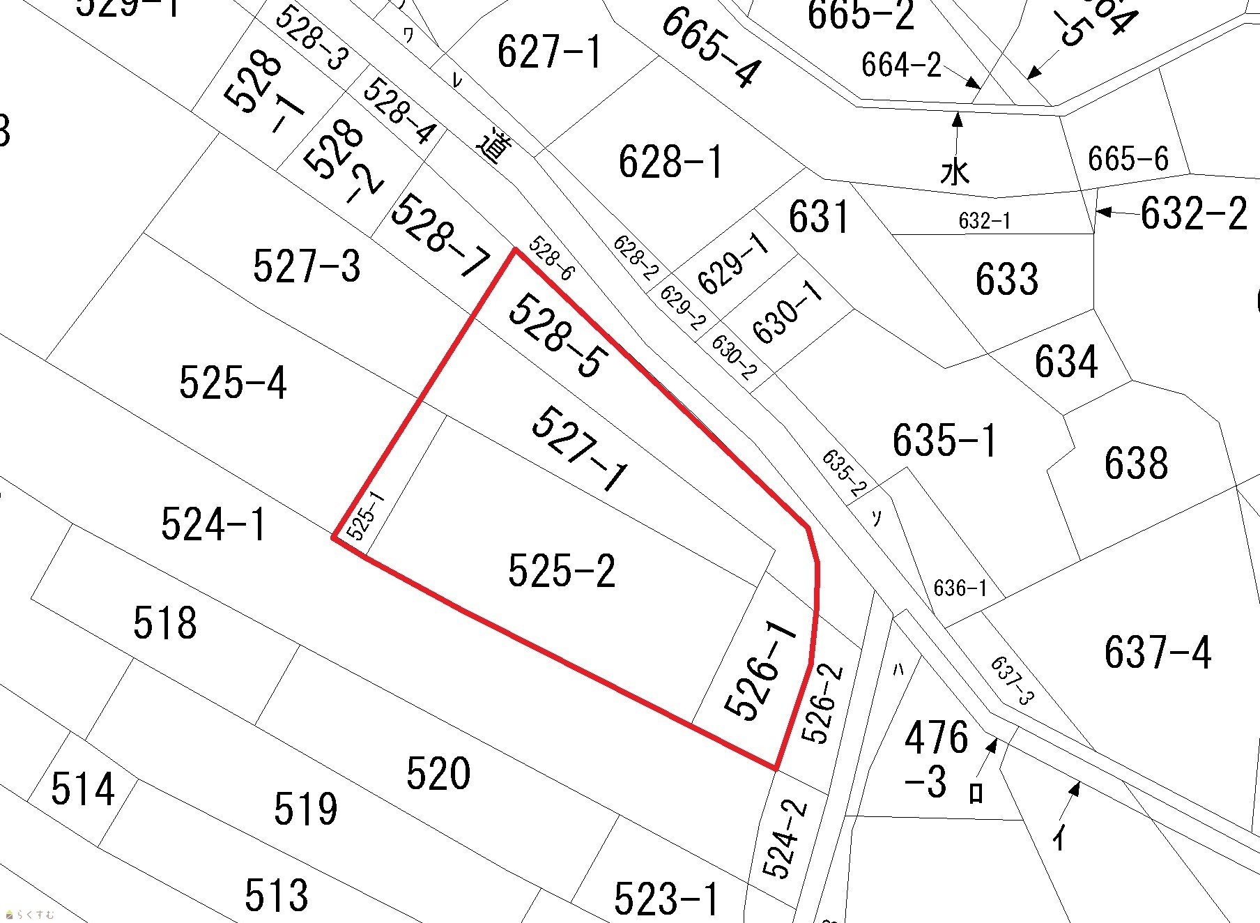
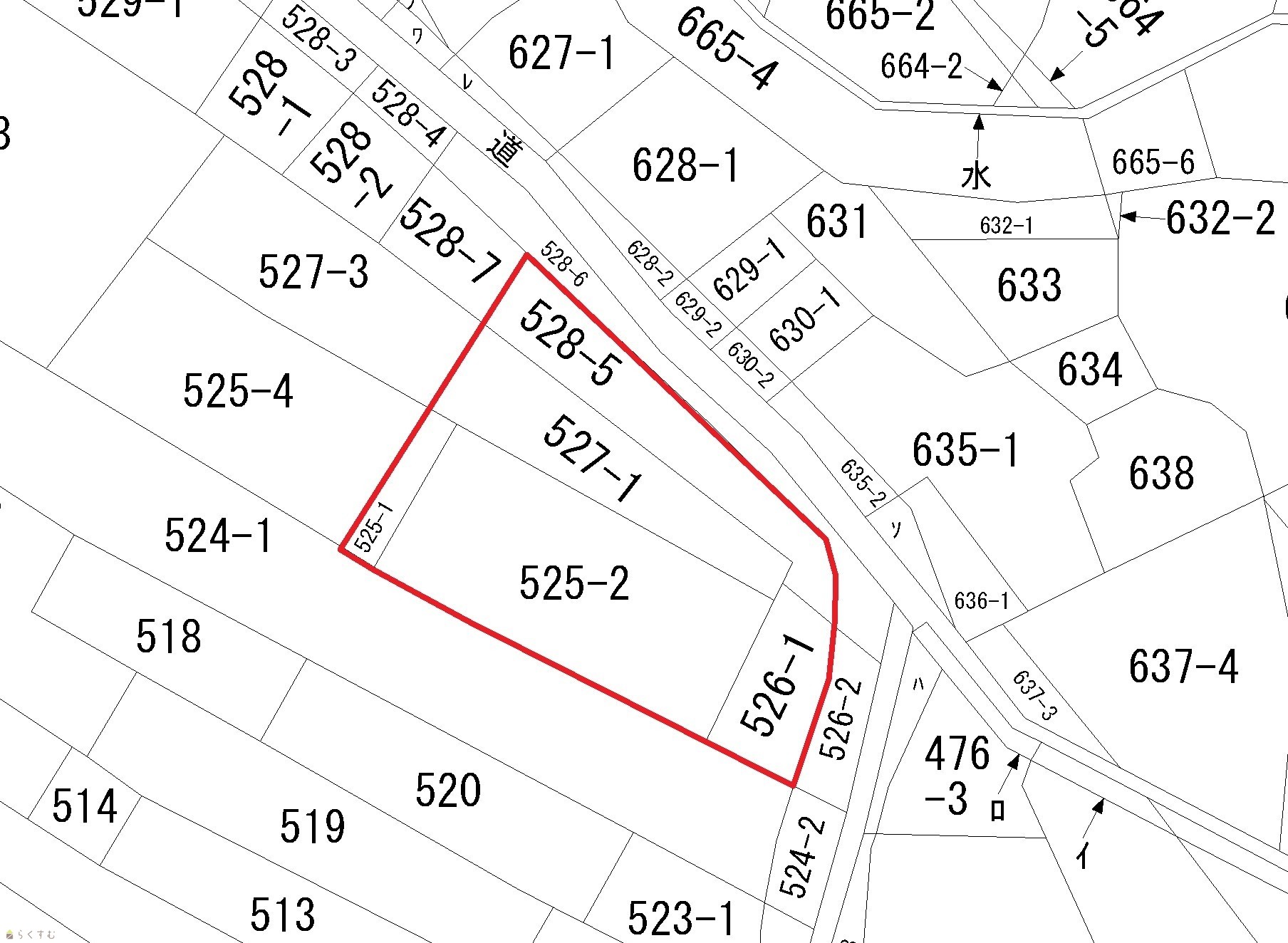
新潟県長岡市巻渕525番1他4筆 売土地・分譲地 1,880,000円の物件情報

ショッピングエリアまで1km以内♪農作業が楽しめるのどかな環境です♪

物件名/所在地 詳細 価格
巻渕3丁目売土地
新潟県長岡市巻渕525番1他4筆
  • 土地面積
    :387.09㎡ /117.09坪
  • 坪単価
    :16,056円/坪
  • 建ぺい率
    :60%
  • 容積率
    :200%
1,880,000
  • 巻渕3丁目売土地
    株式会社 長岡総合開発
  • この物件を問い合わせる/無料
  • TEL: 0258-46-8777

物件画像

外観 間取り
物件画像
※画像クリックで拡大表示
外観
物件画像
※画像クリックで拡大表示
間取り
詳細画像


物件概要

物件コード 00030-200340
物件名 巻渕3丁目売土地
交通 バス:巻渕から徒歩7分
物件所在地 新潟県長岡市巻渕525番1他4筆
物件種別 売土地・分譲地
物件区分 売土地
構造 - 階建 -
建ぺい率/容積率 60%/200%
建物面積 -
土地面積 387.09㎡ /117.09坪
築年月 -
入居(引き渡し)時期 随時入居(引き渡し)可
用途地域 第1種住居地域 地目 宅地・畑  (現状:宅地)
都市計画 非線引き都市計画区域 学校区 栃尾東小学校(804m)・刈谷田中学校(368m)
形状 - 道路 公道 幅員4.4m
私道 - その他の制限 特別工業地域・22条指定地域
  • 巻渕3丁目売土地
    株式会社 長岡総合開発
  • この物件を問い合わせる/無料
  • TEL: 0258-46-8777

物件詳細情報

所在階/階数 - 号室 -
販売価格 1,880,000円 方位 -
間取り -
専有面積 - バルコニー面積 -
その他面積 - 駐車場 -
管理費 - 修繕積立金 -
現況 -
仲介手数料 330,000円
利用制限 -
設備 高台に立地、更地、分割可能、所有権、即引き渡し可、側溝、都市ガス(前面道路)、電気、都市ガス(宅地内)、上水道(宅地内)、下水道(宅地内)、住宅向け
取引態様 一般
備考 水道口径は13㎜のままお引渡しを行います。
農地法5条許可申請が必要になります。
コンクリート舗装あり(現況にてお引渡し)。
防火水槽あり。
契約不適合責任免責。
取り扱い会社

株式会社 長岡総合開発

新潟県長岡市南七日町89-21

情報登録日 2025/12/15 次回更新予定日 2026/06/06
取引条件有効期限 2026/03/15
  • 巻渕3丁目売土地
    株式会社 長岡総合開発
  • この物件を問い合わせる/無料
  • TEL: 0258-46-8777

この物件の地図・周辺情報・行政情報

この物件の周辺情報・行政情報を詳しく見る
【周辺情報】
物件の近くにあるコンビニや銀行・学校など、アイコン付のマップで詳しく表示できます!
【行政情報】
水道料や下水道料・ガス料金など、暮らしに関係のある情報を表示しています。

担当取扱い店舗情報

取扱い店舗画像
株式会社 長岡総合開発
TEL: 0258-46-8777
所在地: 新潟県長岡市南七日町89-21
交通: バス停「南七日町」徒歩3分
営業時間: 9:00~18:00/定休日:日曜・祭日
免許番号: 新潟県知事(10)2876号 この会社の情報を詳しく見る
所属団体名: 新潟県宅地建物取引業協会 長岡支部
取引態様: 一般
ホームページ: http://www.nagaoka-sk.co.jp