1
物件掲載企業数:
299
社
|賃貸物件:
3,004
件|売買物件:
3,235
件|今週の登録物件:
297
件
閲覧中のブラウザ(インターネットエクスプローラー)は非推奨ブラウザです。
物件が正しく表示されなかったり、正しく検索されない場合があります。最新のブラウザ(Google Chrome・Edgeなど)にてご利用お願いいたします。
Google Chrome
Microsoft Edge
アパート・マンション・一戸建て
駐車場
貸土地
店舗
事務所
倉庫・工場
新築分譲マンション
中古マンション
新築一戸建て
中古一戸建て
売土地・分譲地
その他(投資物件など)
マンション
一戸建て
土地
ホーム
>
会社情報
>
物件種別選択
> 物件一覧
全エリア
の
売土地・分譲地
物件情報
2017件
該当しました。
<前のページ
34
35
36
37
38
39
40
41
42
43
44
次のページ>
表示切替:
一覧表示
/
地図表示
並び替え:
指定なし
新着順
価格が安い順
価格が高い順
画像
物件名/所在地/取扱店
詳細
87坪と広めの敷地で家庭菜園にも向いてます。
売土地 青葉台4 87坪
新潟県長岡市青葉台4丁目12番6
株式会社 金井不動産
価格
:
4,000,000
円
土地面積
:289.81㎡ /87.66坪
坪単価
:45,630円/坪
建ぺい率
:50%
容積率
:80%
76.98坪、多用途に
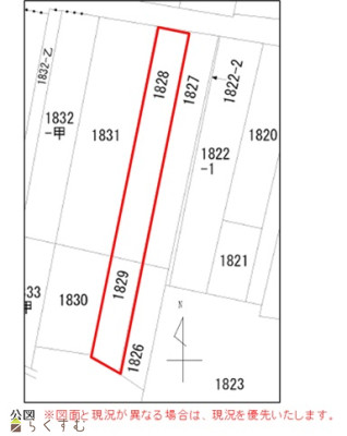
柏崎市四谷2丁目売土地
新潟県柏崎市四谷1828
株式会社 ホーメックス
価格
:
4,000,000
円
土地面積
:254.51㎡ /76.98坪
坪単価
:51,961円/坪
建ぺい率
:-
容積率
:-
海に近くてレジャーに便利!
大潟区九戸浜 売地
新潟県上越市大潟区九戸浜492-1
上越宅地販売株式会社
価格
:
4,000,000
円
土地面積
:337㎡ /101.94坪
坪単価
:39,238円/坪
建ぺい率
:60%
容積率
:200%
妙高市諏訪町地内売地
新潟県妙高市諏訪町1丁目8番18号
有限会社関不動産コンサルタント事務所
価格
:
4,000,000
円
土地面積
:334㎡ /101.03坪
坪単価
:39,592円/坪
建ぺい率
:60%
容積率
:200%
妙高市広田町(新井駅)売土地
新潟県妙高市広田町2507-1
ハウスドゥ上越市役所前 カネヨ物産㈱
価格
:
4,000,000
円
土地面積
:1,308㎡ /395.67坪
坪単価
:10,109円/坪
建ぺい率
:60%
容積率
:200%
若葉町売土地
新潟県柏崎市若葉町2-52
株式会社 アイエステート
価格
:
4,000,000
円
土地面積
:267.69㎡ /80.97坪
坪単価
:49,401円/坪
建ぺい率
:60%
容積率
:200%
広々とした敷地の分譲地内!駅・幹線道路へのアクセス良好です。
出雲崎町川西 売土地
新潟県三島郡出雲崎町川西982-8 外1筆
髙頭不動産 株式会社
価格
:
4,000,000
円
土地面積
:356.15㎡ /107.73坪
坪単価
:37,129円/坪
建ぺい率
:-
容積率
:-
鉄筋コンクリートの2台分車庫付き!
茨目売土地
新潟県柏崎市茨目124-4
株式会社 アーク不動産
価格
:
4,000,000
円
土地面積
:284.98㎡ /86.2坪
坪単価
:46,403円/坪
建ぺい率
:70%
容積率
:200%
高台に立地。景観良し。
東の輪町
新潟県柏崎市東の輪町乙1384-1他2筆
東北工業 株式会社
価格
:
4,000,000
円
土地面積
:631㎡ /190.87坪
坪単価
:20,956円/坪
建ぺい率
:60%
容積率
:200%
新価格6月14日より!南道路。側溝ふた付消雪設備敷設道。冬も夜も出入り楽々。陽当り通風良好
東本町4丁目2軒合同売地400万円
新潟県上越市東本町4丁目3-74
信濃土地株式会社 上越支店
価格
:
4,000,000
円
土地面積
:435.73㎡ /131.8坪
坪単価
:30,349円/坪
建ぺい率
:60%
容積率
:200%
【建築条件なし】
関原町5丁目 56坪の売地
新潟県長岡市関原町5丁目49番
有限会社 ハクサン
価格
:
4,000,000
円
土地面積
:186㎡ /56.26坪
坪単価
:71,098円/坪
建ぺい率
:-
容積率
:-
駅、小中学校、スーパー近く!南側向きの土地です!
宮内5丁目 売土地
新潟県長岡市宮内5-143-3
髙頭不動産 株式会社
価格
:
4,000,000
円
土地面積
:82.64㎡ /24.99坪
坪単価
:160,064円/坪
建ぺい率
:60%
容積率
:200%
槇原町 売土地
新潟県柏崎市槇原町字山王川原928-1
株式会社 アイエステート
価格
:
4,000,000
円
土地面積
:204.54㎡ /61.87坪
坪単価
:64,651円/坪
建ぺい率
:70%
容積率
:200%
閑静な住宅街!商業施設「リップス愛宕」まで徒歩5分!バイパスへのアクセス良好!小学校、中学校共に徒歩10分圏内!
東神田売土地
新潟県長岡市東神田1丁目甲1383-3
髙頭不動産 株式会社
価格
:
4,000,000
円
土地面積
:259.61㎡ /78.53坪
坪単価
:50,935円/坪
建ぺい率
:60%
容積率
:200%
建築条件なし 前面道路は道幅ゆったり7.7m 近くに公園があります
関原西町 51坪の売地
新潟県長岡市関原西町124番・125番・126番
ひかり不動産(白山住宅 不動産部)
価格
:
4,100,000
円
土地面積
:169㎡ /51.12坪
坪単価
:80,203円/坪
建ぺい率
:60%
容積率
:200%
新井柿崎線からすぐの車庫付きの土地です♪
三和区沖柳
新潟県上越市三和区沖柳875、876、877-1
有限会社田村家具店
価格
:
4,100,000
円
土地面積
:2,200.69㎡ /665.7坪
坪単価
:6,158円/坪
建ぺい率
:-
容積率
:-
米山台3丁目売土地Ⓑ
新潟県柏崎市米山台3丁目2025-12
株式会社 ライフプラン
価格
:
4,100,000
円
土地面積
:193.67㎡ /58.58坪
坪単価
:69,989円/坪
建ぺい率
:50%
容積率
:100%
【価格改定】斐太北保育園、斐太北小学校がすぐそばの団地で子育て世帯にぴったり!!山麓線やバイパスまでのアクセスも抜群!!
南葉町№19
妙高市大字雪森928-31
楽栄不動産株式会社
価格
:
4,100,000
円
土地面積
:266.54㎡ /80.62坪
坪単価
:50,855円/坪
建ぺい率
:70%
容積率
:200%
見晴らしも日当たりも良好☀間口も広くゆったりできる建てられます!
【価格変更!】国府3丁目 売地
新潟県上越市国府3丁目14
株式会社 お不動さん
価格
:
4,100,000
円
土地面積
:276.66㎡ /83.68坪
坪単価
:48,996円/坪
建ぺい率
:-
容積率
:-
【価格改定】斐太北保育園、斐太北小学校がすぐそばの団地で子育て世帯にぴったり!!山麓線やバイパスまでのアクセスも抜群!!
南葉町№22
妙高市大字雪森928-34
楽栄不動産株式会社
価格
:
4,120,000
円
土地面積
:267.39㎡ /80.88坪
坪単価
:50,939円/坪
建ぺい率
:70%
容積率
:200%
表示切替:
一覧表示
/
地図表示
並び替え:
指定なし
新着順
価格が安い順
価格が高い順
価格は物件の代金総額を表示しており、消費税が課税される場合は税込み価格です。
建築条件付き土地価格には、建物価格は含まれません。
物件情報の詳細については取り扱い店までお問い合わせください。
完成予想図はいずれも外構・植栽・外観等実際のものと異なることが多少あります。
CG合成の画像の場合実際と異なることが多少あります。
完成後1年以上経過したものが未入居として記載される場合があります。ご了承ください。
販売予定物件は販売開始するまで契約または予約の申し込みはできません。
ご購入の場合物件詳細や契約内容についてご自身で十分ご確認いただきますようよろしく御願いします。
建築条件付きとは…その土地に建築する建物の建築請負契約が、一定期間内に成立することを条件として売買される土地のことをいいます。請負契約成立に向けて設計プランを協議するため、土地購入者が希望する建物にするために一定の期間(概ね3ヶ月)交渉期間としその期間内に希望するプランが実現できたかどうかによって土地の購入の判断をします。納得のいくプランができず請負契約が未成立になった場合、土地契約にかかった代金(手付金など)は、すべて返却されます。
2017件
該当しました。
<前のページ
34
35
36
37
38
39
40
41
42
43
44
次のページ>
0件
がマッチ
基本条件
物件種別
売土地・分譲地
詳細種別
売土地
分譲地
価格
下限なし
100万円
250万円
500万円
1000万円
1500万円
2000万円
2500万円
3000万円
3500万円
4000万円
4500万円
5000万円
5500万円
6000万円
6500万円
7000万円
7500万円
8000万円
8500万円
9000万円
9500万円
1億円
~
上限なし
100万円
250万円
500万円
1000万円
1500万円
2000万円
2500万円
3000万円
3500万円
4000万円
4500万円
5000万円
5500万円
6000万円
6500万円
7000万円
7500万円
8000万円
8500万円
9000万円
9500万円
1億円
間取り
ワンルーム
1K
1DK
1LDK
2K
2DK
2LDK
3K
3DK
3LDK
4K
4DK
4LDK以上
専有面積
下限なし
20㎡
30㎡
40㎡
50㎡
60㎡
70㎡
80㎡
90㎡
100㎡
~
上限なし
20㎡
30㎡
40㎡
50㎡
60㎡
70㎡
80㎡
90㎡
100㎡
土地面積
下限なし
60㎡ (約18坪)
70㎡ (約21坪)
80㎡ (約24坪)
90㎡ (約27坪)
100㎡ (約30坪)
110㎡ (約33坪)
120㎡ (約36坪)
130㎡ (約39坪)
140㎡ (約42坪)
150㎡ (約45坪)
160㎡ (約48坪)
170㎡ (約51坪)
180㎡ (約54坪)
190㎡ (約57坪)
200㎡ (約60坪)
250㎡ (約75坪)
300㎡ (約90坪)
~
上限なし
60㎡ (約18坪)
70㎡ (約21坪)
80㎡ (約24坪)
90㎡ (約27坪)
100㎡ (約30坪)
110㎡ (約33坪)
120㎡ (約36坪)
130㎡ (約39坪)
140㎡ (約42坪)
150㎡ (約45坪)
160㎡ (約48坪)
170㎡ (約51坪)
180㎡ (約54坪)
190㎡ (約57坪)
200㎡ (約60坪)
250㎡ (約75坪)
300㎡ (約90坪)
建物面積
下限なし
60㎡ (約18坪)
70㎡ (約21坪)
80㎡ (約24坪)
90㎡ (約27坪)
100㎡ (約30坪)
110㎡ (約33坪)
120㎡ (約36坪)
130㎡ (約39坪)
140㎡ (約42坪)
150㎡ (約45坪)
160㎡ (約48坪)
170㎡ (約51坪)
180㎡ (約54坪)
190㎡ (約57坪)
200㎡ (約60坪)
250㎡ (約75坪)
300㎡ (約90坪)
~
上限なし
60㎡ (約18坪)
70㎡ (約21坪)
80㎡ (約24坪)
90㎡ (約27坪)
100㎡ (約30坪)
110㎡ (約33坪)
120㎡ (約36坪)
130㎡ (約39坪)
140㎡ (約42坪)
150㎡ (約45坪)
160㎡ (約48坪)
170㎡ (約51坪)
180㎡ (約54坪)
190㎡ (約57坪)
200㎡ (約60坪)
250㎡ (約75坪)
300㎡ (約90坪)
坪単価
下限なし
5万円
10万円
15万円
20万円
25万円
30万円
35万円
40万円
45万円
50万円
~
上限なし
5万円
10万円
15万円
20万円
25万円
30万円
35万円
40万円
45万円
50万円
築年数
指定なし
新築
3年以内
5年以内
10年以内
15年以内
20年以内
方位
北
北東
東
南東
南
南西
西
北西
おすすめ条件
ペット可・相談
楽器可・相談
情報公開日
指定なし
本日
3日以内
1週間以内
1ヶ月以内
0件
がマッチ
人気のあるこだわり条件
高台に立地(104)
角地(376)
整形地(716)
前道6m以上(983)
南側道路面す(386)
更地(1178)
学校近く(549)
スーパー近く(407)
最寄り駅近く(228)
閑静な住宅街(923)
分割可能(52)
建築条件なし(1486)
所有権(1601)
即引き渡し可(660)
側溝(685)
都市ガス(前面道路)(798)
LPG(154)
上水道(前面道路)(895)
下水道(前面道路)(819)
浄化槽(77)
電気(909)
都市ガス(宅地内)(822)
上水道(宅地内)(1055)
下水道(宅地内)(968)
前面道路融雪設備あり(403)
その他水道(2)
住宅向け(1402)
事業用向け(312)
別荘地(116)
田舎暮らし(219)
条件に合った物件数は、
0 件
です。
立地・環境
高台に立地(104)
角地(376)
整形地(716)
前道6m以上(983)
南側道路面す(386)
更地(1178)
学校近く(549)
スーパー近く(407)
最寄り駅近く(228)
閑静な住宅街(923)
用途・制限
分割可能(52)
建築条件なし(1486)
引渡・条件
所有権(1601)
即引き渡し可(660)
設備
側溝(685)
都市ガス(前面道路)(798)
LPG(154)
上水道(前面道路)(895)
下水道(前面道路)(819)
浄化槽(77)
電気(909)
都市ガス(宅地内)(822)
上水道(宅地内)(1055)
下水道(宅地内)(968)
前面道路融雪設備あり(403)
その他水道(2)
その他
住宅向け(1402)
事業用向け(312)
別荘地(116)
田舎暮らし(219)
条件に合った物件数は、
0 件
です。
アパート・マンション・一戸建て
/
駐車場
/
貸土地
/
店舗
/
事務所
/
倉庫・工場
新築分譲マンション
/
中古マンション
/
新築一戸建て
/
中古一戸建て
/
売土地
/
投資物件・その他
マンション
/
一戸建て
/
土地
建てる・リフォーム
物件掲載企業一覧
掲載希望の企業様へ
新潟の不動産情報サイト
サービス利用規約
運営会社
サイトマップ
プライバシーポリシー
お問い合わせ
リンク
Copyright (C)
株式会社 コモンライフ・コーポレーション
. All Rights Reserved.
新潟・長岡・柏崎の賃貸・マンション・アパート・住宅の不動産物件情報サイト
不動産検索サイト「らくすむ」及び関連サイトに記載の不動産情報は、会員規約に則り、情報提供会社様の責任のもとに発信されております。
不動産の賃借、購入に関しては賃借者、購入者ご自身が情報を確認され、会社企業様から説明を受けられたうえで判断をお願いいたします。
不動産検索サイト「らくすむ」及び関連サイトに記載の不動産情報、写真、デザイン、コンテンツなどの
無断転載・転用・複製
など禁止します。