76.98坪、多用途に
| 物件名/所在地 | 詳細 | 価格 | 
|---|---|---|
| 柏崎市四谷2丁目売土地
														 新潟県柏崎市四谷1828  | 
							
								
  | 
							4,000,000円 | 
| 外観 | 間取り | 
|---|---|
								![]() ※画像クリックで拡大表示 外観 
							 | 
							
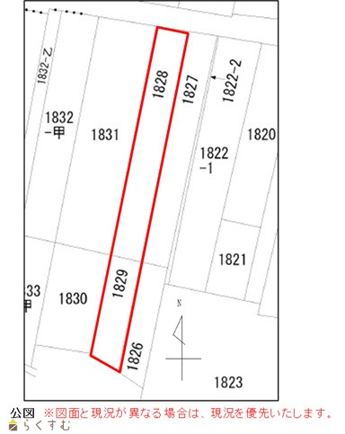
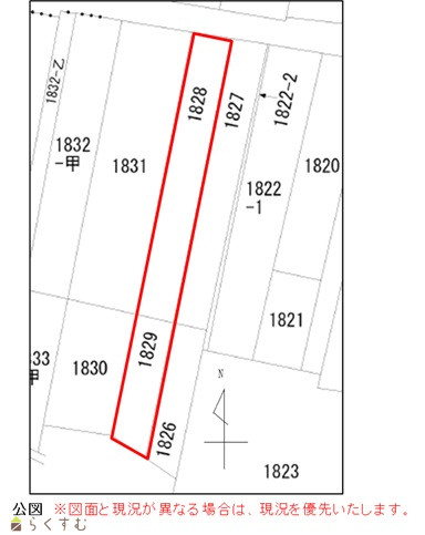
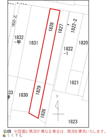
								![]() ※画像クリックで拡大表示 公図 
							 | 
						
| 詳細画像 | |
| 
								 | 
						|
| 物件コード | 00088-200796 | ||
|---|---|---|---|
| 物件名 | 柏崎市四谷2丁目売土地 | ||
| 交通 | 駅:越後線 東柏崎駅から徒歩9分、バス:常盤高校前から徒歩3分 | ||
| 物件所在地 | 新潟県柏崎市四谷1828 | ||
| 物件種別 | 売土地・分譲地 | ||
| 物件区分 | 売土地 | ||
| 構造 | - | 階建 | - | 
| 建ぺい率/容積率 | - | ||
| 建物面積 | - | ||
| 土地面積 | 254.51㎡ /76.98坪 | ||
| 築年月 | - | ||
| 入居(引き渡し)時期 | 相談 | ||
| 用途地域 | 商業地域 | 地目 | 宅地・畑 | 
| 都市計画 | - | 学校区 | 比角小学校(238m)・第二中学校(253m) | 
| 形状 | - | 道路 | 公道 | 
| 私道 | - | その他の制限 | 準防火地域 | 
| 所在階/階数 | - | 号室 | - | 
|---|---|---|---|
| 販売価格 | 4,000,000円 | 方位 | - | 
| 間取り | - | ||
| 専有面積 | - | バルコニー面積 | - | 
| その他面積 | - | 駐車場 | - | 
| 管理費 | - | 修繕積立金 | - | 
| 現況 | 更地 | ||
| 仲介手数料 | 330,000円 | ||
| 利用制限 | - | ||
| 設備 | 前道6m以上、更地、学校近く、側溝、都市ガス(前面道路)、上水道(宅地内)、下水道(宅地内) | ||
| 取引態様 | 一般 | ||
| 備考 | 農地法の申請が必要です。(費用買主様負担) 令和7年度固定資産税38,406円 都市ガスの敷地内引込は北陸ガス負担となります。 ※1【道路中心から40mが商業地域】  | 
						||
| 取り扱い会社 | 
								 株式会社 ホーメックス 新潟県柏崎市土合628-1  | 
						||
| 情報登録日 | 2025/06/13 | 次回更新予定日 | 2025/11/18 | 
| 取引条件有効期限 | 2025/09/13 | ||
| 
																		セブン-イレブン 柏崎四谷3丁目店(コンビニ)まで450m ファミリーマート 柏崎扇町店(コンビニ)まで420m クスリのアオキ 柏崎中央店(ドラッグストア)まで600m つよしクリニック(病院)まで350m  | 
																
																		木村内科循環器科医院(病院)まで630m 柏崎信用金庫 四谷支店(銀行)まで100m 大光銀行 柏崎南支店(銀行)まで550m 柏崎四谷郵便局(郵便局)まで40m  | 
															
※カメラのアイコンがある場合は、マウスをポイントするとその施設の画像がご覧いただけます。
						| TEL: | 0257-24-0034 | |
|---|---|---|
| 所在地: | 新潟県柏崎市土合628-1 | |
| 交通: | ||
| 営業時間: | 8:30~17:30/定休日:土・日・祝(対応可能です) 年末年始・お盆・GW | |
| 免許番号: | 新潟県知事(9)第3199号 | 
										
											 | 
								
| 所属団体名: | 新潟県宅地建物取引業協会 柏崎支部 | |
| 取引態様: | 一般 | |
| ホームページ: | http://homex.co.jp/ | |