1
物件掲載企業数:
301
社
|賃貸物件:
3,258
件|売買物件:
3,243
件|今週の登録物件:
243
件
閲覧中のブラウザ(インターネットエクスプローラー)は非推奨ブラウザです。
物件が正しく表示されなかったり、正しく検索されない場合があります。最新のブラウザ(Google Chrome・Edgeなど)にてご利用お願いいたします。
Google Chrome
Microsoft Edge
アパート・マンション・一戸建て
駐車場
貸土地
店舗
事務所
倉庫・工場
新築分譲マンション
中古マンション
新築一戸建て
中古一戸建て
売土地・分譲地
その他(投資物件など)
マンション
一戸建て
土地
ホーム
>
検索方法選択
>
エリア選択
> 物件一覧
長岡 川西
の
投資物件・その他
一覧
20件
該当しました。
表示切替:
一覧表示
/
地図表示
並び替え:
指定なし
新着順
価格が安い順
価格が高い順
画像
物件名/所在地/取扱店
詳細
長岡市鳥越の売物件(南)
新潟県長岡市鳥越324-4、325-1、325-3、326-1
アパマンショップ長岡東店 有限会社信濃不動産
価格
:
3,600,000
円
表面利回り
:-
土地面積
:534.97㎡ /161.82坪
建ぺい率
:70%
容積率
:200%
南西角地、土地面積約99坪坪、二方向道路とも幅員12m以上、鉄骨造、築年数は経ていますが建物内の鉄骨はきれいに塗装されています。
東蔵王売倉庫
新潟県長岡市東蔵王2丁目4-7
有限会社 しのだ不動産
価格
:
9,000,000
円
表面利回り
:-
土地面積
:325.62㎡ /98.5坪
建ぺい率
:60%
容積率
:200%
長岡市鳥越の売物件(北)
新潟県長岡市鳥越513-1、514-1、515-1
アパマンショップ長岡東店 有限会社信濃不動産
価格
:
10,000,000
円
表面利回り
:-
土地面積
:1,577㎡ /477.04坪
建ぺい率
:70%
容積率
:200%
2024年外壁塗装済み、融雪設備あり
【商談中】売アパート
新潟県長岡市荻野1丁目4-9
有限会社 高治企画
価格
:
13,000,000
円
表面利回り
:
13.56
%
(満室想定時)
土地面積
:234.44㎡ /70.91坪
建ぺい率
:50%
容積率
:80%
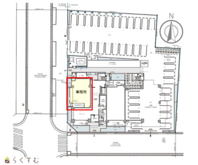
希少な分譲タイプの事務所です。駐車場1台確保済み!
サーパス古正寺中央公園 事務所区画
102号室
新潟県長岡市古正寺3丁目127番
株式会社 高野不動産販売
価格
:
14,000,000
円
表面利回り
:-
土地面積
:1,550.47㎡ /469.01坪
建ぺい率
:70%
容積率
:200%
スーパーウオロクまで徒歩3分、ネット無料、家電3セット付、単身者専用のワンルーム、敷地内駐車場軽3台、前面道路融雪あり
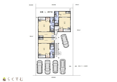
北山2丁目アパート(メゾン・ド・セラビ)
新潟県長岡市北山2丁目10-14
株式会社 第一住宅新潟
価格
:
15,000,000
円
表面利回り
:
17.52
%
(満室想定時)
土地面積
:171㎡ /51.72坪
建ぺい率
:60%
容積率
:200%
入居者用Wi-Fi有
オーベルジュ福山A
新潟県長岡市福山町
株式会社 ウェルネスホーム
価格
:
15,000,000
円
表面利回り
:
18.72
%
(満室想定時)
土地面積
:245.29㎡ /74.2坪
建ぺい率
:60%
容積率
:200%
【オーナーチェンジ】■2DK×4戸■アクロスプラザ徒歩10分■長岡インター車で2分■駐車場融雪設備完備
長岡市南七日町 売アパート
新潟県長岡市南七日町68番地9
株式会社 ナンバ管理
価格
:
16,800,000
円
表面利回り
:
11.65
%
(満室想定時)
土地面積
:230㎡ /69.57坪
建ぺい率
:60%
容積率
:200%
オーナーチェンジ物件! 土地302㎡(91.35坪)、間取り2K×5室、蔵王橋近くの売アパート。 敷地内に駐車場あります。
長岡市渡場町 売アパート
新潟県長岡市渡場町6番地1
越路建設 株式会社
価格
:
18,000,000
円
表面利回り
:-
土地面積
:302㎡ /91.35坪
建ぺい率
:60%
容積率
:200%
おしゃれな事務所です。
関原町1丁目売り事務所
新潟県長岡市関原町1丁目5332
青旺不動産 株式会社
価格
:
18,000,000
円
表面利回り
:-
土地面積
:294㎡ /88.93坪
建ぺい率
:60%
容積率
:200%
関原エリアの事業用物件が出ました!
長岡市関原町1丁目
新潟県長岡市関原町1丁目5332番地
株式会社新潟ハタラク不動産
価格
:
18,000,000
円
表面利回り
:-
土地面積
:294㎡ /88.93坪
建ぺい率
:60%
容積率
:200%
人気の古正寺エリアに近い立地です。近隣には大学もあり若い方も多いエリアです。
宮関1丁目売事務所
新潟県長岡市宮関1丁目3-30
エイブルネットワーク長岡店(株式会社Will企画)
価格
:
21,000,000
円
表面利回り
:
9.42
%
(満室想定時)
土地面積
:328㎡ /99.22坪
建ぺい率
:60%
容積率
:200%
◆投資用一棟売アパート ◆満室時想定表面利回り15.79%
長岡市下山 一棟売アパート【コープよしの】
新潟県長岡市下山6丁目783
髙頭不動産 株式会社
価格
:
25,000,000
円
表面利回り
:
15.79
%
(満室想定時)
土地面積
:374㎡ /113.13坪
建ぺい率
:60%
容積率
:200%
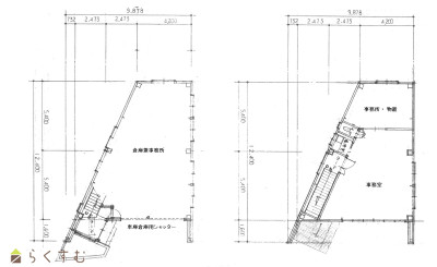
宮関1丁目 売事務所工場 敷地99坪
新潟県長岡市宮関1丁目3-30
株式会社 金井不動産
価格
:
26,800,000
円
表面利回り
:-
土地面積
:328㎡ /99.22坪
建ぺい率
:60%
容積率
:200%
【条件改定・解体更地渡し】長岡北スマートインターまで1.6㎞車で4分の事業用土地です。
長岡市渡場町売地(事務所・倉庫付)
新潟県長岡市渡場町2-7,2-8,2-9
ダイエープロビス株式会社
価格
:
28,000,000
円
表面利回り
:-
土地面積
:811㎡ /245.32坪
建ぺい率
:50%
容積率
:80%
利便性の高い長岡市緑町の収益物件
長岡市緑町3丁目ビーズネスト 売アパート
新潟県長岡市緑町3丁目272-4ビーズネスト
株式会社 高野不動産販売
価格
:
28,800,000
円
表面利回り
:
11.1
%
(満室想定時)
土地面積
:369.11㎡ /111.65坪
建ぺい率
:60%
容積率
:200%
二方道路(消雪道路)
長岡市北山2丁目売倉庫
新潟県長岡市北山2丁目2355-5
株式会社 長岡総合開発
価格
:
28,800,000
円
表面利回り
:-
土地面積
:548.71㎡ /165.98坪
建ぺい率
:60%
容積率
:200%
長岡造形大学近く!!原信まで徒歩1分!!前面道路融雪有!!年間家賃収入249.6万円
新築アパート 現在満室!月々20.8万円
新潟県長岡市宮関
ハウスドゥ 長岡中央店
価格
:
37,000,000
円
表面利回り
:-
土地面積
:216.06㎡ /65.35坪
建ぺい率
:60%
容積率
:200%
長岡IC近くの事業用物件!敷地内消雪設備あり!
石動南町 事業用物件
新潟県長岡市石動南町3-9
髙頭不動産 株式会社
価格
:
38,000,000
円
表面利回り
:-
土地面積
:1,268.22㎡ /383.63坪
建ぺい率
:60%
容積率
:200%
商業圏に近くの工場倉庫 県道沿い・国道へのアクセスも良い立地
長岡市大島町 工場倉庫
新潟県長岡市三ツ郷屋315-1
リンクス.プランニング合同会社
価格
:
58,950,000
円
表面利回り
:-
土地面積
:721.79㎡ /218.34坪
建ぺい率
:60%
容積率
:200%
表示切替:
一覧表示
/
地図表示
並び替え:
指定なし
新着順
価格が安い順
価格が高い順
価格は物件の代金総額を表示しており、消費税が課税される場合は税込み価格です。
建築条件付き土地価格には、建物価格は含まれません。
物件情報の詳細については取り扱い店までお問い合わせください。
完成予想図はいずれも外構・植栽・外観等実際のものと異なることが多少あります。
CG合成の画像の場合実際と異なることが多少あります。
完成後1年以上経過したものが未入居として記載される場合があります。ご了承ください。
販売予定物件は販売開始するまで契約または予約の申し込みはできません。
ご購入の場合物件詳細や契約内容についてご自身で十分ご確認いただきますようよろしく御願いします。
建築条件付きとは…その土地に建築する建物の建築請負契約が、一定期間内に成立することを条件として売買される土地のことをいいます。請負契約成立に向けて設計プランを協議するため、土地購入者が希望する建物にするために一定の期間(概ね3ヶ月)交渉期間としその期間内に希望するプランが実現できたかどうかによって土地の購入の判断をします。納得のいくプランができず請負契約が未成立になった場合、土地契約にかかった代金(手付金など)は、すべて返却されます。
20件
該当しました。
0件
がマッチ
基本条件
物件種別
投資物件・その他
詳細種別
1棟売りマンション・アパート
マンション(区分所有)
その他
価格
下限なし
100万円
250万円
500万円
1000万円
1500万円
2000万円
2500万円
3000万円
3500万円
4000万円
4500万円
5000万円
5500万円
6000万円
6500万円
7000万円
7500万円
8000万円
8500万円
9000万円
9500万円
1億円
~
上限なし
100万円
250万円
500万円
1000万円
1500万円
2000万円
2500万円
3000万円
3500万円
4000万円
4500万円
5000万円
5500万円
6000万円
6500万円
7000万円
7500万円
8000万円
8500万円
9000万円
9500万円
1億円
間取り
ワンルーム
1K
1DK
1LDK
2K
2DK
2LDK
3K
3DK
3LDK
4K
4DK
4LDK以上
専有面積
下限なし
20㎡
30㎡
40㎡
50㎡
60㎡
70㎡
80㎡
90㎡
100㎡
~
上限なし
20㎡
30㎡
40㎡
50㎡
60㎡
70㎡
80㎡
90㎡
100㎡
土地面積
下限なし
60㎡ (約18坪)
70㎡ (約21坪)
80㎡ (約24坪)
90㎡ (約27坪)
100㎡ (約30坪)
110㎡ (約33坪)
120㎡ (約36坪)
130㎡ (約39坪)
140㎡ (約42坪)
150㎡ (約45坪)
160㎡ (約48坪)
170㎡ (約51坪)
180㎡ (約54坪)
190㎡ (約57坪)
200㎡ (約60坪)
250㎡ (約75坪)
300㎡ (約90坪)
~
上限なし
60㎡ (約18坪)
70㎡ (約21坪)
80㎡ (約24坪)
90㎡ (約27坪)
100㎡ (約30坪)
110㎡ (約33坪)
120㎡ (約36坪)
130㎡ (約39坪)
140㎡ (約42坪)
150㎡ (約45坪)
160㎡ (約48坪)
170㎡ (約51坪)
180㎡ (約54坪)
190㎡ (約57坪)
200㎡ (約60坪)
250㎡ (約75坪)
300㎡ (約90坪)
建物面積
下限なし
60㎡ (約18坪)
70㎡ (約21坪)
80㎡ (約24坪)
90㎡ (約27坪)
100㎡ (約30坪)
110㎡ (約33坪)
120㎡ (約36坪)
130㎡ (約39坪)
140㎡ (約42坪)
150㎡ (約45坪)
160㎡ (約48坪)
170㎡ (約51坪)
180㎡ (約54坪)
190㎡ (約57坪)
200㎡ (約60坪)
250㎡ (約75坪)
300㎡ (約90坪)
~
上限なし
60㎡ (約18坪)
70㎡ (約21坪)
80㎡ (約24坪)
90㎡ (約27坪)
100㎡ (約30坪)
110㎡ (約33坪)
120㎡ (約36坪)
130㎡ (約39坪)
140㎡ (約42坪)
150㎡ (約45坪)
160㎡ (約48坪)
170㎡ (約51坪)
180㎡ (約54坪)
190㎡ (約57坪)
200㎡ (約60坪)
250㎡ (約75坪)
300㎡ (約90坪)
坪単価
下限なし
5万円
10万円
15万円
20万円
25万円
30万円
35万円
40万円
45万円
50万円
~
上限なし
5万円
10万円
15万円
20万円
25万円
30万円
35万円
40万円
45万円
50万円
築年数
指定なし
新築
3年以内
5年以内
10年以内
15年以内
20年以内
方位
北
北東
東
南東
南
南西
西
北西
おすすめ条件
ペット可・相談
楽器可・相談
情報公開日
指定なし
本日
3日以内
1週間以内
1ヶ月以内
0件
がマッチ
人気のあるこだわり条件
角地(3)
南側道路面す(4)
エレベーター(2)
ロフト(1)
駐車場(近隣含む)(10)
公営水道(12)
都市ガス(9)
下水道(13)
事業向け(9)
条件に合った物件数は、
0 件
です。
立地・環境
角地(3)
南側道路面す(4)
構造
エレベーター(2)
ロフト(1)
駐車場(近隣含む)(10)
設備
公営水道(12)
都市ガス(9)
下水道(13)
その他
事業向け(9)
条件に合った物件数は、
0 件
です。
アパート・マンション・一戸建て
/
駐車場
/
貸土地
/
店舗
/
事務所
/
倉庫・工場
新築分譲マンション
/
中古マンション
/
新築一戸建て
/
中古一戸建て
/
売土地
/
投資物件・その他
マンション
/
一戸建て
/
土地
建てる・リフォーム
物件掲載企業一覧
掲載希望の企業様へ
新潟の不動産情報サイト
サービス利用規約
運営会社
サイトマップ
プライバシーポリシー
お問い合わせ
リンク
Copyright (C)
株式会社 コモンライフ・コーポレーション
. All Rights Reserved.
新潟・長岡・柏崎の賃貸・マンション・アパート・住宅の不動産物件情報サイト
不動産検索サイト「らくすむ」及び関連サイトに記載の不動産情報は、会員規約に則り、情報提供会社様の責任のもとに発信されております。
不動産の賃借、購入に関しては賃借者、購入者ご自身が情報を確認され、会社企業様から説明を受けられたうえで判断をお願いいたします。
不動産検索サイト「らくすむ」及び関連サイトに記載の不動産情報、写真、デザイン、コンテンツなどの
無断転載・転用・複製
など禁止します。