1
物件掲載企業数:
299
社
|賃貸物件:
3,021
件|売買物件:
3,234
件|今週の登録物件:
290
件
閲覧中のブラウザ(インターネットエクスプローラー)は非推奨ブラウザです。
物件が正しく表示されなかったり、正しく検索されない場合があります。最新のブラウザ(Google Chrome・Edgeなど)にてご利用お願いいたします。
Google Chrome
Microsoft Edge
アパート・マンション・一戸建て
駐車場
貸土地
店舗
事務所
倉庫・工場
新築分譲マンション
中古マンション
新築一戸建て
中古一戸建て
売土地・分譲地
その他(投資物件など)
マンション
一戸建て
土地
ホーム
>
検索方法選択
>
エリア選択
> 物件一覧
全エリア
の
売土地・分譲地
一覧
2016件
該当しました。
<前のページ
15
16
17
18
19
20
21
22
23
24
25
次のページ>
表示切替:
一覧表示
/
地図表示
並び替え:
指定なし
新着順
価格が安い順
価格が高い順
画像
物件名/所在地/取扱店
詳細
スーパーまで徒歩3分
松波1丁目 売土地
新潟県柏崎市松波1丁目2300-2
リメイク株式会社
価格
:
2,500,000
円
土地面積
:204㎡ /61.71坪
坪単価
:40,512円/坪
建ぺい率
:70%
容積率
:200%
約250坪 のどかな田舎暮らし
板倉区長嶺 のどかな田舎暮らしを♪
新潟県上越市板倉区長嶺197-1
楽栄不動産株式会社
価格
:
2,500,000
円
土地面積
:824.18㎡ /249.31坪
坪単価
:10,027円/坪
建ぺい率
:-
容積率
:-
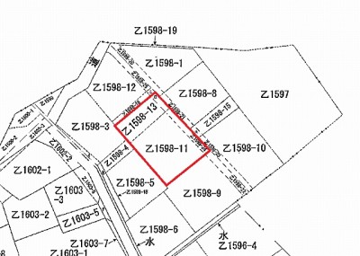
小千谷駅まで徒歩約10分。小中学校徒歩圏内です♪
小千谷市大字薭生(元中子)売土地
新潟県小千谷市大字薭生1598番地11
株式会社 長岡総合開発
価格
:
2,500,000
円
土地面積
:265.54㎡ /80.32坪
坪単価
:31,125円/坪
建ぺい率
:60%
容積率
:200%
新栄町3丁目
長岡市新栄町3丁目4番10
株式会社 高野不動産販売
価格
:
2,500,000
円
土地面積
:231㎡ /69.87坪
坪単価
:35,780円/坪
建ぺい率
:60%
容積率
:200%
柏崎海浜公園や番神堂が近く、閑静な住宅街、角地で住みやすい立地
柏崎市 番神2丁目 売土地
新潟県柏崎市番神2丁目282
株式会社 タカノ建築
価格
:
2,500,000
円
土地面積
:181.81㎡ /54.99坪
坪単価
:45,462円/坪
建ぺい率
:60%
容積率
:200%
268.26坪 、JR荒浜駅まで徒歩約3分、スーパーPLANT-5まで徒歩13分
刈羽村大字正明寺売土地
新潟県刈羽郡刈羽村正明寺983-1
株式会社 ホーメックス
価格
:
2,500,000
円
土地面積
:886.84㎡ /268.26坪
坪単価
:9,319円/坪
建ぺい率
:-
容積率
:-
資材置き場などに最適!高頭町売り土地
新潟県長岡市高頭町1971
有限会社 高治企画
価格
:
2,500,000
円
土地面積
:1,707㎡ /516.36坪
坪単価
:4,841円/坪
建ぺい率
:70%
容積率
:200%
49坪、比角小学校区、前面道路消雪あり
柏崎市比角一丁目売土地
新潟県柏崎市比角一丁目2512-10
株式会社 ホーメックス
価格
:
2,500,000
円
土地面積
:165.22㎡ /49.97坪
坪単価
:50,030円/坪
建ぺい率
:60%
容積率
:200%
国道沿い♪
柏崎市 鯨波 土地
新潟県柏崎市大字鯨波乙235番1他9筆
株式会社裕建
価格
:
2,500,000
円
土地面積
:945.76㎡ /286.09坪
坪単価
:8,738円/坪
建ぺい率
:200%
容積率
:70%
スーパー・ドラッグストア近く、毎日のお買い物に便利!建築条件なし、お好きなメーカー・お好きなプランで建築できます!
長岡市長倉西町 売地
新潟県長岡市長倉西町138番1外
株式会社にいがた不動産
価格
:
2,500,000
円
土地面積
:166.52㎡ /50.37坪
坪単価
:49,632円/坪
建ぺい率
:60%
容積率
:200%
スーパーマーケット至近の生活環境良好の立地。
新潟県見附市本町二丁目売地B
新潟県見附市本町二丁目115-12
橋本建設 株式会社
価格
:
2,500,000
円
土地面積
:91.5㎡ /27.67坪
坪単価
:90,350円/坪
建ぺい率
:60%
容積率
:200%
103.69坪、スーパーナルス・マツモトキヨシ車で4分、閑静な住宅地
柏崎市西山町緑が丘売土地
新潟県柏崎市西山町緑が丘1-47
株式会社 ホーメックス
価格
:
2,500,000
円
土地面積
:342.78㎡ /103.69坪
坪単価
:24,110円/坪
建ぺい率
:-
容積率
:-
コンビニまで徒歩2分 銀行まで徒歩3分近くてとっても便利!
上越市板倉区針売地 コンビニすぐ近く
上越市板倉区針地内879・1337
㈱島田建綜
価格
:
2,500,000
円
土地面積
:746.37㎡ /225.77坪
坪単価
:11,073円/坪
建ぺい率
:70%
容積率
:200%
駅、商店街まで徒歩圏内環境良好。
中島5丁目売地
新潟県長岡市中島5丁目270番1
不動産アイズ
価格
:
2,500,000
円
土地面積
:78.54㎡ /23.75坪
坪単価
:105,263円/坪
建ぺい率
:60%
容積率
:200%
柏崎小学校区域、駅近、車庫付き
鏡町売土地
新潟県柏崎市鏡町368-1、369-3
有限会社イッケン
価格
:
2,500,000
円
土地面積
:185㎡ /55.96坪
坪単価
:44,674円/坪
建ぺい率
:80%
容積率
:400%
【コンビニまで徒歩約3分】 ■建築条件なし、現況渡し ■東柏崎駅まで徒歩約5分、交通便利◎ ■前面には消雪パイプ有
柏崎市小倉町 売地
新潟県柏崎市小倉町3-33 付近
新潟土地建物販売センター 株式会社
価格
:
2,500,000
円
土地面積
:124.6㎡ /37.69坪
坪単価
:66,330円/坪
建ぺい率
:60%
容積率
:184%
建築条件はありません。お好きな住宅会社で建築できます。
【建築条件無し売地】上越市大潟区下小船津浜
新潟県上越市大潟区下小船津浜165-3
ミサワホーム北越 株式会社
価格
:
2,500,000
円
土地面積
:220.42㎡ /66.67坪
坪単価
:37,498円/坪
建ぺい率
:60%
容積率
:200%
住宅用地向けです。水道・下水道は前面道路にあります。
東片貝 売土地
新潟県長岡市東片貝町1342-24
越路建設 株式会社
価格
:
2,500,000
円
土地面積
:259㎡ /78.34坪
坪単価
:31,912円/坪
建ぺい率
:70%
容積率
:200%
嶺崎2丁目売土地B
新潟県見附市嶺崎2丁目107-8
富川建設 株式会社
価格
:
2,500,000
円
土地面積
:192.38㎡ /58.19坪
坪単価
:42,962円/坪
建ぺい率
:60%
容積率
:200%
車庫付き!駐車2台可!
長岡市大口 車庫付き 売土地
新潟県長岡市大口5525-1
ハウスドゥ 長岡中央店
価格
:
2,500,000
円
土地面積
:205.14㎡ /62.05坪
坪単価
:40,290円/坪
建ぺい率
:70%
容積率
:200%
表示切替:
一覧表示
/
地図表示
並び替え:
指定なし
新着順
価格が安い順
価格が高い順
価格は物件の代金総額を表示しており、消費税が課税される場合は税込み価格です。
建築条件付き土地価格には、建物価格は含まれません。
物件情報の詳細については取り扱い店までお問い合わせください。
完成予想図はいずれも外構・植栽・外観等実際のものと異なることが多少あります。
CG合成の画像の場合実際と異なることが多少あります。
完成後1年以上経過したものが未入居として記載される場合があります。ご了承ください。
販売予定物件は販売開始するまで契約または予約の申し込みはできません。
ご購入の場合物件詳細や契約内容についてご自身で十分ご確認いただきますようよろしく御願いします。
建築条件付きとは…その土地に建築する建物の建築請負契約が、一定期間内に成立することを条件として売買される土地のことをいいます。請負契約成立に向けて設計プランを協議するため、土地購入者が希望する建物にするために一定の期間(概ね3ヶ月)交渉期間としその期間内に希望するプランが実現できたかどうかによって土地の購入の判断をします。納得のいくプランができず請負契約が未成立になった場合、土地契約にかかった代金(手付金など)は、すべて返却されます。
2016件
該当しました。
<前のページ
15
16
17
18
19
20
21
22
23
24
25
次のページ>
0件
がマッチ
基本条件
物件種別
売土地・分譲地
詳細種別
売土地
分譲地
価格
下限なし
100万円
250万円
500万円
1000万円
1500万円
2000万円
2500万円
3000万円
3500万円
4000万円
4500万円
5000万円
5500万円
6000万円
6500万円
7000万円
7500万円
8000万円
8500万円
9000万円
9500万円
1億円
~
上限なし
100万円
250万円
500万円
1000万円
1500万円
2000万円
2500万円
3000万円
3500万円
4000万円
4500万円
5000万円
5500万円
6000万円
6500万円
7000万円
7500万円
8000万円
8500万円
9000万円
9500万円
1億円
間取り
ワンルーム
1K
1DK
1LDK
2K
2DK
2LDK
3K
3DK
3LDK
4K
4DK
4LDK以上
専有面積
下限なし
20㎡
30㎡
40㎡
50㎡
60㎡
70㎡
80㎡
90㎡
100㎡
~
上限なし
20㎡
30㎡
40㎡
50㎡
60㎡
70㎡
80㎡
90㎡
100㎡
土地面積
下限なし
60㎡ (約18坪)
70㎡ (約21坪)
80㎡ (約24坪)
90㎡ (約27坪)
100㎡ (約30坪)
110㎡ (約33坪)
120㎡ (約36坪)
130㎡ (約39坪)
140㎡ (約42坪)
150㎡ (約45坪)
160㎡ (約48坪)
170㎡ (約51坪)
180㎡ (約54坪)
190㎡ (約57坪)
200㎡ (約60坪)
250㎡ (約75坪)
300㎡ (約90坪)
~
上限なし
60㎡ (約18坪)
70㎡ (約21坪)
80㎡ (約24坪)
90㎡ (約27坪)
100㎡ (約30坪)
110㎡ (約33坪)
120㎡ (約36坪)
130㎡ (約39坪)
140㎡ (約42坪)
150㎡ (約45坪)
160㎡ (約48坪)
170㎡ (約51坪)
180㎡ (約54坪)
190㎡ (約57坪)
200㎡ (約60坪)
250㎡ (約75坪)
300㎡ (約90坪)
建物面積
下限なし
60㎡ (約18坪)
70㎡ (約21坪)
80㎡ (約24坪)
90㎡ (約27坪)
100㎡ (約30坪)
110㎡ (約33坪)
120㎡ (約36坪)
130㎡ (約39坪)
140㎡ (約42坪)
150㎡ (約45坪)
160㎡ (約48坪)
170㎡ (約51坪)
180㎡ (約54坪)
190㎡ (約57坪)
200㎡ (約60坪)
250㎡ (約75坪)
300㎡ (約90坪)
~
上限なし
60㎡ (約18坪)
70㎡ (約21坪)
80㎡ (約24坪)
90㎡ (約27坪)
100㎡ (約30坪)
110㎡ (約33坪)
120㎡ (約36坪)
130㎡ (約39坪)
140㎡ (約42坪)
150㎡ (約45坪)
160㎡ (約48坪)
170㎡ (約51坪)
180㎡ (約54坪)
190㎡ (約57坪)
200㎡ (約60坪)
250㎡ (約75坪)
300㎡ (約90坪)
坪単価
下限なし
5万円
10万円
15万円
20万円
25万円
30万円
35万円
40万円
45万円
50万円
~
上限なし
5万円
10万円
15万円
20万円
25万円
30万円
35万円
40万円
45万円
50万円
築年数
指定なし
新築
3年以内
5年以内
10年以内
15年以内
20年以内
方位
北
北東
東
南東
南
南西
西
北西
おすすめ条件
ペット可・相談
楽器可・相談
情報公開日
指定なし
本日
3日以内
1週間以内
1ヶ月以内
0件
がマッチ
人気のあるこだわり条件
高台に立地(104)
角地(375)
整形地(716)
前道6m以上(982)
南側道路面す(386)
更地(1177)
学校近く(549)
スーパー近く(407)
最寄り駅近く(228)
閑静な住宅街(923)
分割可能(52)
建築条件なし(1485)
所有権(1600)
即引き渡し可(660)
側溝(685)
都市ガス(前面道路)(798)
LPG(154)
上水道(前面道路)(895)
下水道(前面道路)(819)
浄化槽(77)
電気(908)
都市ガス(宅地内)(821)
上水道(宅地内)(1054)
下水道(宅地内)(967)
前面道路融雪設備あり(402)
その他水道(2)
住宅向け(1401)
事業用向け(312)
別荘地(116)
田舎暮らし(218)
条件に合った物件数は、
0 件
です。
立地・環境
高台に立地(104)
角地(375)
整形地(716)
前道6m以上(982)
南側道路面す(386)
更地(1177)
学校近く(549)
スーパー近く(407)
最寄り駅近く(228)
閑静な住宅街(923)
用途・制限
分割可能(52)
建築条件なし(1485)
引渡・条件
所有権(1600)
即引き渡し可(660)
設備
側溝(685)
都市ガス(前面道路)(798)
LPG(154)
上水道(前面道路)(895)
下水道(前面道路)(819)
浄化槽(77)
電気(908)
都市ガス(宅地内)(821)
上水道(宅地内)(1054)
下水道(宅地内)(967)
前面道路融雪設備あり(402)
その他水道(2)
その他
住宅向け(1401)
事業用向け(312)
別荘地(116)
田舎暮らし(218)
条件に合った物件数は、
0 件
です。
アパート・マンション・一戸建て
/
駐車場
/
貸土地
/
店舗
/
事務所
/
倉庫・工場
新築分譲マンション
/
中古マンション
/
新築一戸建て
/
中古一戸建て
/
売土地
/
投資物件・その他
マンション
/
一戸建て
/
土地
建てる・リフォーム
物件掲載企業一覧
掲載希望の企業様へ
新潟の不動産情報サイト
サービス利用規約
運営会社
サイトマップ
プライバシーポリシー
お問い合わせ
リンク
Copyright (C)
株式会社 コモンライフ・コーポレーション
. All Rights Reserved.
新潟・長岡・柏崎の賃貸・マンション・アパート・住宅の不動産物件情報サイト
不動産検索サイト「らくすむ」及び関連サイトに記載の不動産情報は、会員規約に則り、情報提供会社様の責任のもとに発信されております。
不動産の賃借、購入に関しては賃借者、購入者ご自身が情報を確認され、会社企業様から説明を受けられたうえで判断をお願いいたします。
不動産検索サイト「らくすむ」及び関連サイトに記載の不動産情報、写真、デザイン、コンテンツなどの
無断転載・転用・複製
など禁止します。