1
物件掲載企業数:
299
社
|賃貸物件:
3,019
件|売買物件:
3,234
件|今週の登録物件:
317
件
閲覧中のブラウザ(インターネットエクスプローラー)は非推奨ブラウザです。
物件が正しく表示されなかったり、正しく検索されない場合があります。最新のブラウザ(Google Chrome・Edgeなど)にてご利用お願いいたします。
Google Chrome
Microsoft Edge
アパート・マンション・一戸建て
駐車場
貸土地
店舗
事務所
倉庫・工場
新築分譲マンション
中古マンション
新築一戸建て
中古一戸建て
売土地・分譲地
その他(投資物件など)
マンション
一戸建て
土地
ホーム
>
会社情報
>
物件種別選択
> 物件一覧
全エリア
の
売土地・分譲地
物件情報
2017件
該当しました。
<前のページ
69
70
71
72
73
74
75
76
77
78
79
次のページ>
表示切替:
一覧表示
/
地図表示
並び替え:
指定なし
新着順
価格が安い順
価格が高い順
画像
物件名/所在地/取扱店
詳細
与板中心部に179坪の土地 前面道路消雪あり 坪単価4.5万円
与板町与板 船戸 売土地(管理番号Y22)
新潟県長岡市与板町与板374番 他5筆
株式会社 エヌ・アール・ケー総合企画
価格
:
8,077,000
円
土地面積
:593.45㎡ /179.51坪
坪単価
:44,994円/坪
建ぺい率
:60%
容積率
:200%
■前面道路消雪有り■解体更地渡し■
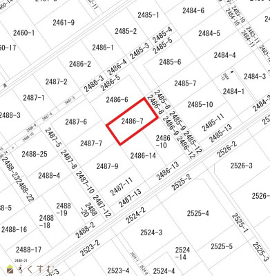
川崎2丁目 売土地
新潟県長岡市川崎2丁目2486-7
株式会社 高野不動産販売
価格
:
8,100,000
円
土地面積
:134.38㎡ /40.64坪
坪単価
:199,311円/坪
建ぺい率
:60%
容積率
:200%
令和7年完成の分譲地。上越ICまでのアクセス良好。近隣には商業施設があり生活環境が整っています。
【建築条件付き】ピースフルガーデン富岡4-2
新潟県上越市富岡
株式会社アオキ住建 AT HOME LABO
価格
:
8,100,000
円
土地面積
:190㎡ /57.47坪
坪単価
:140,943円/坪
建ぺい率
:60%
容積率
:200%
柳橋町で南・北・東6m融雪道路に面したお手頃な住宅用地です 見附駅徒歩7分 敷地内にあるゴミBOXは移転します
見附市柳橋 売土地
見附市柳橋町168-1
有限会社 アットホーム
価格
:
8,110,000
円
土地面積
:206.08㎡ /62.33坪
坪単価
:130,113円/坪
建ぺい率
:60%
容積率
:200%
庭付き126坪の広さ!!
松波1丁目売土地(126坪)
新潟県柏崎市松波1丁目字粉糠ママ2299番50、2299番226
株式会社 ライフプラン
価格
:
8,190,000
円
土地面積
:417㎡ /126.14坪
坪単価
:64,927円/坪
建ぺい率
:60%
容積率
:200%
自然豊かで静か。城東中学校、コンビニ・薬局・公園も近く、暮らしやすさ◎
上越市東城町3丁目 売土地
新潟県上越市東城町3丁目勘左衛門新田350番77
株式会社 ステーツ
価格
:
8,200,000
円
土地面積
:198.98㎡ /60.19坪
坪単価
:136,235円/坪
建ぺい率
:60%
容積率
:200%
更地渡しとなります。
売土地『関原町3丁目』 角屋敷です
長岡市関原町3丁目1
㈱スタッフサイトウ不動産部
価格
:
8,200,000
円
土地面積
:359.97㎡ /108.89坪
坪単価
:75,305円/坪
建ぺい率
:80%
容積率
:200%
半田小学校区 広々86坪 前面道路13mの南東道路
ゆりが丘 売土地
新潟県柏崎市ゆりが丘484-8他1筆
株式会社 ライフプラン
価格
:
8,200,000
円
土地面積
:285.87㎡ /86.47坪
坪単価
:94,830円/坪
建ぺい率
:60%
容積率
:200%
間口も広く、手ごろな大きさ・価格帯の売土地です♪小学校も近くお子様の通学にも安心♪
☆長岡市西新町2丁目 売土地☆
新潟県長岡市西新町2丁目826番4、外
髙頭不動産 株式会社
価格
:
8,200,000
円
土地面積
:165.5㎡ /50.06坪
坪単価
:163,803円/坪
建ぺい率
:60%
容積率
:200%
【価格改定しました。R7.6.12改定 866万円→820万円】 建築条件なし!原信 来迎寺店まで徒歩 約9分♪
来迎寺白山5丁目 97坪の売地 【価格交渉 可】
新潟県長岡市来迎寺字白山2324番
有限会社 ハクサン
価格
:
8,200,000
円
土地面積
:322㎡ /97.4坪
坪単価
:84,188円/坪
建ぺい率
:60%
容積率
:200%
糸魚川東小学校まで約70mの立地!!除雪道♪区画7
糸魚川市東寺町2丁目(えちご押上ひすい海岸駅)住宅用地
新潟県糸魚川市東寺町2丁目
ハウスドゥ上越市役所前 カネヨ物産㈱
価格
:
8,220,000
円
土地面積
:217.32㎡ /65.73坪
坪単価
:125,057円/坪
建ぺい率
:60%
容積率
:200%
スーパーや医療施設にも近い分譲地
柏崎市三和町エコタウン区画12
新潟県柏崎市三和町字西江33番12
有限会社 片山工務店
価格
:
8,229,000
円
土地面積
:181.52㎡ /54.9坪
坪単価
:150,000円/坪
建ぺい率
:60%
容積率
:200%
建物・景観など住宅地全体に一定のルールを設け、住まう方の心地よさを追求した新しいコンセプトの住宅地です。
柏崎エコタウン No13
新潟県柏崎市三和町字西江33番6 33番13
(株)池田組
[価格]
8,236,016
円
[土地面積]
181.51㎡ /54.9坪
[坪単価]
150,018円/坪
区画7
上越市五智3丁目970-17
株式会社 武江組
価格
:
8,262,390
円
土地面積
:313.97㎡ /94.97坪
坪単価
:87,000円/坪
建ぺい率
:50%
容積率
:80%
スーパーや医療施設にも近い分譲地
柏崎市三和町エコタウン区画4
新潟県柏崎市三和町字西江33番4
有限会社 片山工務店
価格
:
8,289,000
円
土地面積
:182.15㎡ /55.1坪
坪単価
:150,000円/坪
建ぺい率
:60%
容積率
:200%
☆小学校・中学校まで徒歩7分の立地☆敷地内で、庭・畑をつくるのもどうでしょうか♪
栃尾大野町3丁目
新潟県長岡市栃尾大野町3丁目2437番2
株式会社 高野不動産販売
価格
:
8,300,000
円
土地面積
:427.22㎡ /129.23坪
坪単価
:64,226円/坪
建ぺい率
:60%
容積率
:200%
【人気の源入エリア】仲介手数料なし!バイパスなど交通アクセスも◎
【仲介手数料無料!】上源入 売地②
新潟県上越市大字上源入418-2、418-10
株式会社 お不動さん
価格
:
8,300,000
円
土地面積
:275.12㎡ /83.22坪
坪単価
:99,735円/坪
建ぺい率
:60%
容積率
:200%
●東向き80坪のゆとりある土地です。●長岡IC、左岸バイパスへのアクセス良好●建築条件なし 〈カーポート・物置・土間解体撤去、更地渡し〉
長峰町土地
新潟県長岡市長峰町513-94
株式会社 東洋住建
価格
:
8,300,000
円
土地面積
:265.37㎡ /80.27坪
坪単価
:103,401円/坪
建ぺい率
:50%
容積率
:80%
南向き61.92坪・前面道路6m以上、生活施設充実の閑静な住宅街!
土橋2724
新潟県上越市土橋2724
家'Sハセガワ 株式会社
価格
:
8,333,550
円
土地面積
:204.7㎡ /61.92坪
坪単価
:134,585円/坪
建ぺい率
:60%
容積率
:200%
【建築条件なし】子育てしやすい『立地条件と住環境が良好な』広い住宅地です。
ハピネスヴィレッジ福道 区画5
新潟県長岡市福道町641-7
株式会社 アークエイト
価格
:
8,380,000
円
土地面積
:212.6㎡ /64.31坪
坪単価
:130,306円/坪
建ぺい率
:70%
容積率
:200%
表示切替:
一覧表示
/
地図表示
並び替え:
指定なし
新着順
価格が安い順
価格が高い順
価格は物件の代金総額を表示しており、消費税が課税される場合は税込み価格です。
建築条件付き土地価格には、建物価格は含まれません。
物件情報の詳細については取り扱い店までお問い合わせください。
完成予想図はいずれも外構・植栽・外観等実際のものと異なることが多少あります。
CG合成の画像の場合実際と異なることが多少あります。
完成後1年以上経過したものが未入居として記載される場合があります。ご了承ください。
販売予定物件は販売開始するまで契約または予約の申し込みはできません。
ご購入の場合物件詳細や契約内容についてご自身で十分ご確認いただきますようよろしく御願いします。
建築条件付きとは…その土地に建築する建物の建築請負契約が、一定期間内に成立することを条件として売買される土地のことをいいます。請負契約成立に向けて設計プランを協議するため、土地購入者が希望する建物にするために一定の期間(概ね3ヶ月)交渉期間としその期間内に希望するプランが実現できたかどうかによって土地の購入の判断をします。納得のいくプランができず請負契約が未成立になった場合、土地契約にかかった代金(手付金など)は、すべて返却されます。
2017件
該当しました。
<前のページ
69
70
71
72
73
74
75
76
77
78
79
次のページ>
0件
がマッチ
基本条件
物件種別
売土地・分譲地
詳細種別
売土地
分譲地
価格
下限なし
100万円
250万円
500万円
1000万円
1500万円
2000万円
2500万円
3000万円
3500万円
4000万円
4500万円
5000万円
5500万円
6000万円
6500万円
7000万円
7500万円
8000万円
8500万円
9000万円
9500万円
1億円
~
上限なし
100万円
250万円
500万円
1000万円
1500万円
2000万円
2500万円
3000万円
3500万円
4000万円
4500万円
5000万円
5500万円
6000万円
6500万円
7000万円
7500万円
8000万円
8500万円
9000万円
9500万円
1億円
間取り
ワンルーム
1K
1DK
1LDK
2K
2DK
2LDK
3K
3DK
3LDK
4K
4DK
4LDK以上
専有面積
下限なし
20㎡
30㎡
40㎡
50㎡
60㎡
70㎡
80㎡
90㎡
100㎡
~
上限なし
20㎡
30㎡
40㎡
50㎡
60㎡
70㎡
80㎡
90㎡
100㎡
土地面積
下限なし
60㎡ (約18坪)
70㎡ (約21坪)
80㎡ (約24坪)
90㎡ (約27坪)
100㎡ (約30坪)
110㎡ (約33坪)
120㎡ (約36坪)
130㎡ (約39坪)
140㎡ (約42坪)
150㎡ (約45坪)
160㎡ (約48坪)
170㎡ (約51坪)
180㎡ (約54坪)
190㎡ (約57坪)
200㎡ (約60坪)
250㎡ (約75坪)
300㎡ (約90坪)
~
上限なし
60㎡ (約18坪)
70㎡ (約21坪)
80㎡ (約24坪)
90㎡ (約27坪)
100㎡ (約30坪)
110㎡ (約33坪)
120㎡ (約36坪)
130㎡ (約39坪)
140㎡ (約42坪)
150㎡ (約45坪)
160㎡ (約48坪)
170㎡ (約51坪)
180㎡ (約54坪)
190㎡ (約57坪)
200㎡ (約60坪)
250㎡ (約75坪)
300㎡ (約90坪)
建物面積
下限なし
60㎡ (約18坪)
70㎡ (約21坪)
80㎡ (約24坪)
90㎡ (約27坪)
100㎡ (約30坪)
110㎡ (約33坪)
120㎡ (約36坪)
130㎡ (約39坪)
140㎡ (約42坪)
150㎡ (約45坪)
160㎡ (約48坪)
170㎡ (約51坪)
180㎡ (約54坪)
190㎡ (約57坪)
200㎡ (約60坪)
250㎡ (約75坪)
300㎡ (約90坪)
~
上限なし
60㎡ (約18坪)
70㎡ (約21坪)
80㎡ (約24坪)
90㎡ (約27坪)
100㎡ (約30坪)
110㎡ (約33坪)
120㎡ (約36坪)
130㎡ (約39坪)
140㎡ (約42坪)
150㎡ (約45坪)
160㎡ (約48坪)
170㎡ (約51坪)
180㎡ (約54坪)
190㎡ (約57坪)
200㎡ (約60坪)
250㎡ (約75坪)
300㎡ (約90坪)
坪単価
下限なし
5万円
10万円
15万円
20万円
25万円
30万円
35万円
40万円
45万円
50万円
~
上限なし
5万円
10万円
15万円
20万円
25万円
30万円
35万円
40万円
45万円
50万円
築年数
指定なし
新築
3年以内
5年以内
10年以内
15年以内
20年以内
方位
北
北東
東
南東
南
南西
西
北西
おすすめ条件
ペット可・相談
楽器可・相談
情報公開日
指定なし
本日
3日以内
1週間以内
1ヶ月以内
0件
がマッチ
人気のあるこだわり条件
高台に立地(104)
角地(376)
整形地(716)
前道6m以上(983)
南側道路面す(386)
更地(1178)
学校近く(549)
スーパー近く(407)
最寄り駅近く(228)
閑静な住宅街(923)
分割可能(52)
建築条件なし(1486)
所有権(1601)
即引き渡し可(660)
側溝(685)
都市ガス(前面道路)(798)
LPG(154)
上水道(前面道路)(895)
下水道(前面道路)(819)
浄化槽(77)
電気(909)
都市ガス(宅地内)(822)
上水道(宅地内)(1055)
下水道(宅地内)(968)
前面道路融雪設備あり(403)
その他水道(2)
住宅向け(1402)
事業用向け(312)
別荘地(116)
田舎暮らし(219)
条件に合った物件数は、
0 件
です。
立地・環境
高台に立地(104)
角地(376)
整形地(716)
前道6m以上(983)
南側道路面す(386)
更地(1178)
学校近く(549)
スーパー近く(407)
最寄り駅近く(228)
閑静な住宅街(923)
用途・制限
分割可能(52)
建築条件なし(1486)
引渡・条件
所有権(1601)
即引き渡し可(660)
設備
側溝(685)
都市ガス(前面道路)(798)
LPG(154)
上水道(前面道路)(895)
下水道(前面道路)(819)
浄化槽(77)
電気(909)
都市ガス(宅地内)(822)
上水道(宅地内)(1055)
下水道(宅地内)(968)
前面道路融雪設備あり(403)
その他水道(2)
その他
住宅向け(1402)
事業用向け(312)
別荘地(116)
田舎暮らし(219)
条件に合った物件数は、
0 件
です。
アパート・マンション・一戸建て
/
駐車場
/
貸土地
/
店舗
/
事務所
/
倉庫・工場
新築分譲マンション
/
中古マンション
/
新築一戸建て
/
中古一戸建て
/
売土地
/
投資物件・その他
マンション
/
一戸建て
/
土地
建てる・リフォーム
物件掲載企業一覧
掲載希望の企業様へ
新潟の不動産情報サイト
サービス利用規約
運営会社
サイトマップ
プライバシーポリシー
お問い合わせ
リンク
Copyright (C)
株式会社 コモンライフ・コーポレーション
. All Rights Reserved.
新潟・長岡・柏崎の賃貸・マンション・アパート・住宅の不動産物件情報サイト
不動産検索サイト「らくすむ」及び関連サイトに記載の不動産情報は、会員規約に則り、情報提供会社様の責任のもとに発信されております。
不動産の賃借、購入に関しては賃借者、購入者ご自身が情報を確認され、会社企業様から説明を受けられたうえで判断をお願いいたします。
不動産検索サイト「らくすむ」及び関連サイトに記載の不動産情報、写真、デザイン、コンテンツなどの
無断転載・転用・複製
など禁止します。