
刈羽郡刈羽村刈羽 売土地 詳細
お気に入り
追加済み
物件画像を詳しく見る
物件概要
-
物件コード
00083-200033
-
物件名
刈羽郡刈羽村刈羽 売土地
-
交通
駅:越後線 刈羽駅から徒歩5分、バス:刈羽駅前から徒歩2分
-
所在地
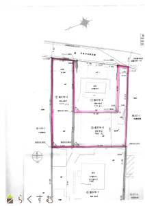
新潟県刈羽郡刈羽村刈羽876-5、876-6
物件へのルート表示
-
物件種別
売土地・分譲地
-
物件区分
売土地
-
構造
-
-
階建
-
-
建ぺい率/容積率
70%/200%
-
建物面積
-
-
土地面積
571.96㎡
/173.01坪
-
築年月
-
-
入居時期
相談
-
用途地域
無指定
-
地目
宅地
-
都市計画
非線引き都市計画区域
-
形状
-
-
道路
-
-
私道
-
-
その他の制限
-
物件詳細情報
-
所在階/階数
-
-
号室
-
-
販売価格
5,000,000円
-
方位
-
-
間取り
-
-
専有面積
-
-
バルコニー面積
-
-
その他面積
-
-
駐車場
-
-
管理費
-
-
修繕積立金
-
-
現況
-
仲介手数料
231,000円
-
利用制限
-
-
学校区
刈羽小学校(1,043m)・刈羽中学校(630m)
-
設備
最寄り駅近く
-
取引態様
一般
-
情報登録日
2024/06/06
-
次回更新予定日
2026/04/19
-
取引条件有効期限
2026/03/31
備考
取扱い会社
株式会社 アイエステート
Copyright (C) 株式会社 コモンライフ・コーポレーション. All Rights Reserved.
不動産検索サイト「らくすむ」及び関連サイトに記載の不動産情報は、会員規約に則り、情報提供会社様の責任のもとに発信されております。
不動産の賃借、購入に関しては賃借者、購入者ご自身が情報を確認され、会社企業様から説明を受けられたうえで判断をお願いいたします。
不動産検索サイト「らくすむ」及び関連サイトに記載の不動産情報、写真、デザイン、コンテンツなどの無断転載・転用・複製など禁止します。