売買下条町 売土地 360坪 詳細
お気に入り


外観

間取り

外観

物件画像を詳しく見る
物件概要
  • 物件コード 00068-200104
  • 物件名 下条町 売土地 360坪
  • 交通 駅:上越線 宮内駅から徒歩26分、バス:NTT前から徒歩2分
  • 所在地 新潟県長岡市下条町1460 物件へのルート表示
  • 物件種別 売土地・分譲地
  • 物件区分 売土地
  • 構造 -
  • 階建 -
  • 建ぺい率/容積率 70%/200%
  • 建物面積 -
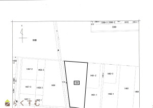
  • 土地面積 1,193㎡ /360.88坪
  • 築年月 -
  • 入居時期 相談
  • 用途地域 用途の指定のない地域
  • 地目 田  (現状:更地)
  • 都市計画 市街化調整区域
  • 形状 間口 27m × 奥行 53m
  • 道路 長岡市道
  • 私道 -
  • その他の制限 -
物件詳細情報
  • 所在階/階数 -
  • 号室 -
  • 販売価格 16,200,000円
  • 方位 -
  • 間取り -
  • 専有面積 -
  • バルコニー面積 -
  • その他面積 -
  • 駐車場 -
  • 管理費 -
  • 修繕積立金 -
  • 現況 賃貸中
  • 仲介手数料 600,600円
  • 利用制限 -
  • 学校区 上組小学校(218m)・宮内中学校(1,802m)
  • 設備 都市ガス(前面道路)、上水道(前面道路)、下水道(前面道路)、上水道(宅地内)
  • 取引態様 一般
  • 情報登録日 2025/11/19
  • 次回更新予定日 2026/04/18
  • 取引条件有効期限 2026/03/31
備考
条例第2条第2号前段区域
取扱い会社
有限会社 しのだ不動産
  • TEL 0258-33-6656
  • 所在地 新潟県長岡市新町3丁目3番19号
  • 交通 北長岡駅
  • 営業時間 8:30~18:00/定休日:日曜日、祝祭日
  • 免許番号 新潟県知事(5)第4667号
  • 所属団体名 新潟県宅地建物取引業協会 長岡支部
  • 取引態様 一般
Copyright (C) 株式会社 コモンライフ・コーポレーション. All Rights Reserved.
不動産検索サイト「らくすむ」及び関連サイトに記載の不動産情報は、会員規約に則り、情報提供会社様の責任のもとに発信されております。
不動産の賃借、購入に関しては賃借者、購入者ご自身が情報を確認され、会社企業様から説明を受けられたうえで判断をお願いいたします。
不動産検索サイト「らくすむ」及び関連サイトに記載の不動産情報、写真、デザイン、コンテンツなどの無断転載・転用・複製など禁止します。