売買関原町3丁目 売土地 66坪 詳細
お気に入り


外観

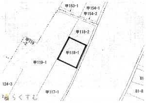
図面

外観

外観

外観

外観

物件画像を詳しく見る
物件概要
  • 物件コード 00014-200267
  • 物件名 関原町3丁目 売土地 66坪
  • 交通 駅:信越線 来迎寺駅から徒歩97分、バス:池の端から徒歩3分
  • 所在地 新潟県長岡市関原町3丁目118-1 物件へのルート表示
  • 物件種別 売土地・分譲地
  • 物件区分 売土地
  • 構造 -
  • 階建 -
  • 建ぺい率/容積率 60%/200%
  • 建物面積 -
  • 土地面積 219.23㎡ /66.31坪
  • 築年月 -
  • 入居時期 相談
  • 用途地域 第1種住居地域
  • 地目 宅地  (現状:更地)
  • 都市計画 市街化区域
  • 形状 間口 15.5m × 奥行 12.5m
  • 道路 二項道路
  • 私道 -
  • その他の制限 セットバックが必要です。
物件詳細情報
  • 所在階/階数 -
  • 号室 -
  • 販売価格 2,380,000円
  • 方位 -
  • 間取り -
  • 専有面積 -
  • バルコニー面積 -
  • その他面積 -
  • 駐車場 -
  • 管理費 -
  • 修繕積立金 -
  • 現況
  • 仲介手数料 330,000円
  • 利用制限 -
  • 学校区 関原小学校(159m)・関原中学校(616m)
  • 設備 整形地、更地、学校近く、閑静な住宅街、建築条件なし、所有権、即引き渡し可、都市ガス(前面道路)、上水道(前面道路)、下水道(前面道路)、住宅向け
  • 取引態様 一般
  • 情報登録日 2024/12/12
  • 次回更新予定日 2026/04/16
  • 取引条件有効期限 2025/03/31
備考
取扱い会社
株式会社 金井不動産
  • TEL 0120-35-3901
  • 所在地 新潟県長岡市要町3-1-26
  • 交通 長岡駅大手口①バス乗場より乗車~溝橋下車徒歩約4分
  • 営業時間 9:30~18:00/定休日:日曜・祝祭日
  • 免許番号 新潟県知事(16)第495号
  • 所属団体名 新潟県宅地建物取引業協会 長岡支部
  • 取引態様 一般
Copyright (C) 株式会社 コモンライフ・コーポレーション. All Rights Reserved.
不動産検索サイト「らくすむ」及び関連サイトに記載の不動産情報は、会員規約に則り、情報提供会社様の責任のもとに発信されております。
不動産の賃借、購入に関しては賃借者、購入者ご自身が情報を確認され、会社企業様から説明を受けられたうえで判断をお願いいたします。
不動産検索サイト「らくすむ」及び関連サイトに記載の不動産情報、写真、デザイン、コンテンツなどの無断転載・転用・複製など禁止します。