1
物件掲載企業数:
301
社
|賃貸物件:
3,265
件|売買物件:
3,245
件|今週の登録物件:
257
件
閲覧中のブラウザ(インターネットエクスプローラー)は非推奨ブラウザです。
物件が正しく表示されなかったり、正しく検索されない場合があります。最新のブラウザ(Google Chrome・Edgeなど)にてご利用お願いいたします。
Google Chrome
Microsoft Edge
アパート・マンション・一戸建て
駐車場
貸土地
店舗
事務所
倉庫・工場
新築分譲マンション
中古マンション
新築一戸建て
中古一戸建て
売土地・分譲地
その他(投資物件など)
マンション
一戸建て
土地
ホーム
>
検索方法選択
>
エリア選択
> 物件一覧
第二中学校区
の
売土地・分譲地
一覧
54件
該当しました。
1
2
3
次のページ>
表示切替:
一覧表示
/
地図表示
並び替え:
指定なし
新着順
価格が安い順
価格が高い順
画像
物件名/所在地/取扱店
詳細
価格見直!98万→50万!約42坪の閑静な住宅地!
【価格改定】松美1丁目売土地④
新潟県柏崎市松美1丁目
株式会社 阿部建設
価格
:
500,000
円
土地面積
:142㎡ /42.95坪
坪単価
:11,641円/坪
建ぺい率
:60%
容積率
:200%
比角小学校区 駐車場用地として
東本町3丁目 売土地
新潟県柏崎市東本町3丁目2044-2
株式会社 ライフプラン
価格
:
800,000
円
土地面積
:56.19㎡ /16.99坪
坪単価
:47,086円/坪
建ぺい率
:70%
容積率
:200%
価格改!170万→98万!比角小学校、第二中学校区域内!
【価格改定】松美1丁目売土地③
新潟県柏崎市松美1丁目4
株式会社 阿部建設
価格
:
980,000
円
土地面積
:165㎡ /49.91坪
坪単価
:19,635円/坪
建ぺい率
:60%
容積率
:200%
交通量の少ない閑静な住宅街‼人気の第二中学校エリアです。
柏崎市比角1丁目売土地
新潟県柏崎市比角1丁目8-9
株式会社 阿部建設
価格
:
1,000,000
円
土地面積
:290.31㎡ /87.81坪
坪単価
:11,388円/坪
建ぺい率
:60%
容積率
:200%
高台で見晴らしの良いコンパクトな敷地!
米山台1丁目土地
新潟県柏崎市米山台1丁目3088-236
有限会社イッケン
価格
:
1,000,000
円
土地面積
:299㎡ /90.44坪
坪単価
:11,057円/坪
建ぺい率
:50%
容積率
:100%
価格見直し!230万→150万!小学校まで通学楽々の土地!
【価格改定】松美1丁目売土地①
新潟県柏崎市松美1丁目3
株式会社 阿部建設
価格
:
1,500,000
円
土地面積
:221.9㎡ /67.12坪
坪単価
:22,348円/坪
建ぺい率
:60%
容積率
:200%
四谷1丁目 売地150
新潟県柏崎市四谷1丁目14-
有限会社小熊不動産企画
価格
:
1,500,000
円
土地面積
:95.36㎡ /28.84坪
坪単価
:52,011円/坪
建ぺい率
:60%
容積率
:200%
【コンビニまで徒歩約3分】 ■建築条件なし、現況渡し ■東柏崎駅まで徒歩約5分、交通便利◎ ■前面には消雪パイプ有
柏崎市小倉町 売地
新潟県柏崎市小倉町3-33 付近
新潟土地建物販売センター 株式会社
価格
:
2,500,000
円
土地面積
:124.6㎡ /37.69坪
坪単価
:66,330円/坪
建ぺい率
:60%
容積率
:184%
人気の比角小学校、住宅用に適した土地
柏崎市大和町約69坪売土地【大幅値下げ!300→250】
新潟県柏崎市大和町3-18
株式会社 阿部建設
価格
:
2,500,000
円
土地面積
:227.83㎡ /68.91坪
坪単価
:36,279円/坪
建ぺい率
:80%
容積率
:400%
49坪、比角小学校区、前面道路消雪あり
柏崎市比角一丁目売土地
新潟県柏崎市比角一丁目2512-10
株式会社 ホーメックス
価格
:
2,500,000
円
土地面積
:165.22㎡ /49.97坪
坪単価
:50,030円/坪
建ぺい率
:60%
容積率
:200%
人気の比角小学校区!
柏崎市松美1丁目/売土地57坪
新潟県柏崎市松美1丁目3-5
株式会社 阿部建設
価格
:
2,800,000
円
土地面積
:191㎡ /57.77坪
坪単価
:48,468円/坪
建ぺい率
:60%
容積率
:200%
小中学校への通学、買い物に便利な立地!
四谷1丁目土地
新潟県柏崎市四谷1丁目2110-1
有限会社イッケン
価格
:
2,900,000
円
土地面積
:192.58㎡ /58.25坪
坪単価
:49,785円/坪
建ぺい率
:80%
容積率
:400%
【白竜公園近く、約160坪のゆとりある土地です♪】 ◆通勤通学に便利な東柏崎駅まで徒歩約5分 ◆コンビニ・薬局まで徒歩約7分 ◆建築条件なし!お好きな工務店が選べます
柏崎市四谷1丁目 売地
新潟県柏崎市四谷1丁目2-1 西側隣地
新潟土地建物販売センター 株式会社
価格
:
3,000,000
円
土地面積
:532.88㎡ /161.19坪
坪単価
:18,611円/坪
建ぺい率
:80%
容積率
:288%
南側道路
松美2丁目42.9坪売土地
新潟県柏崎市松美2丁目498
株式会社 ai-will
価格
:
3,240,000
円
土地面積
:142㎡ /42.95坪
坪単価
:75,436円/坪
建ぺい率
:60%
容積率
:200%
セブン-イレブン 柏崎田塚店(コンビニ)まで340m
田塚2丁目売土地
新潟県柏崎市田塚2丁目690-1
JAえちご中越 柏崎不動産センター
価格
:
3,500,000
円
土地面積
:228㎡ /68.97坪
坪単価
:50,746円/坪
建ぺい率
:70%
容積率
:200%
81.80坪、ドン・キホーテまで車で5分
柏崎市松美一丁目売土地
新潟県柏崎市松美1丁目696-7
株式会社 ホーメックス
価格
:
3,580,000
円
土地面積
:270.42㎡ /81.8坪
坪単価
:43,765円/坪
建ぺい率
:60%
容積率
:200%
東柏崎駅まで徒歩10分◇約47.22坪の角地
柏崎市比角 土地
新潟県柏崎市比角1丁目
田中不動産株式会社
価格
:
3,970,000
円
土地面積
:156.13㎡ /47.22坪
坪単価
:84,074円/坪
建ぺい率
:60%
容積率
:200%
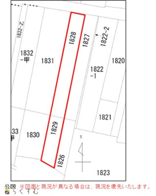
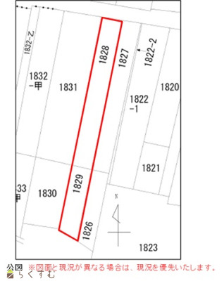
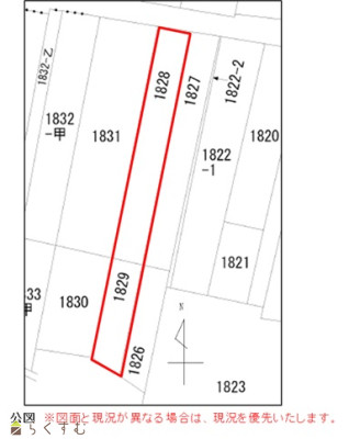
76.98坪、多用途に
柏崎市四谷2丁目売土地
新潟県柏崎市四谷1828
株式会社 ホーメックス
価格
:
4,000,000
円
土地面積
:254.51㎡ /76.98坪
坪単価
:51,961円/坪
建ぺい率
:-
容積率
:-
【R8.1.29価格改定490万円→450万円】近隣のスーパー、ドラッグストア、飲食店等アクセス良好で利便性の良い立地です。
新田畑11番1 売土地
新潟県柏崎市新田畑11-1
髙頭不動産 株式会社
価格
:
4,500,000
円
土地面積
:309.63㎡ /93.66坪
坪単価
:48,046円/坪
建ぺい率
:70%
容積率
:200%
人気の比角小学校区! 2面道路に面した整形角地!
比角1丁目売土地75坪 【価格改定しました】
新潟県柏崎市比角1丁目2515-1
株式会社 ライフプラン
価格
:
4,500,000
円
土地面積
:262.86㎡ /79.51坪
坪単価
:56,596円/坪
建ぺい率
:60%
容積率
:200%
表示切替:
一覧表示
/
地図表示
並び替え:
指定なし
新着順
価格が安い順
価格が高い順
価格は物件の代金総額を表示しており、消費税が課税される場合は税込み価格です。
建築条件付き土地価格には、建物価格は含まれません。
物件情報の詳細については取り扱い店までお問い合わせください。
完成予想図はいずれも外構・植栽・外観等実際のものと異なることが多少あります。
CG合成の画像の場合実際と異なることが多少あります。
完成後1年以上経過したものが未入居として記載される場合があります。ご了承ください。
販売予定物件は販売開始するまで契約または予約の申し込みはできません。
ご購入の場合物件詳細や契約内容についてご自身で十分ご確認いただきますようよろしく御願いします。
建築条件付きとは…その土地に建築する建物の建築請負契約が、一定期間内に成立することを条件として売買される土地のことをいいます。請負契約成立に向けて設計プランを協議するため、土地購入者が希望する建物にするために一定の期間(概ね3ヶ月)交渉期間としその期間内に希望するプランが実現できたかどうかによって土地の購入の判断をします。納得のいくプランができず請負契約が未成立になった場合、土地契約にかかった代金(手付金など)は、すべて返却されます。
54件
該当しました。
1
2
3
次のページ>
0件
がマッチ
基本条件
物件種別
売土地・分譲地
詳細種別
売土地
分譲地
価格
下限なし
100万円
250万円
500万円
1000万円
1500万円
2000万円
2500万円
3000万円
3500万円
4000万円
4500万円
5000万円
5500万円
6000万円
6500万円
7000万円
7500万円
8000万円
8500万円
9000万円
9500万円
1億円
~
上限なし
100万円
250万円
500万円
1000万円
1500万円
2000万円
2500万円
3000万円
3500万円
4000万円
4500万円
5000万円
5500万円
6000万円
6500万円
7000万円
7500万円
8000万円
8500万円
9000万円
9500万円
1億円
間取り
ワンルーム
1K
1DK
1LDK
2K
2DK
2LDK
3K
3DK
3LDK
4K
4DK
4LDK以上
専有面積
下限なし
20㎡
30㎡
40㎡
50㎡
60㎡
70㎡
80㎡
90㎡
100㎡
~
上限なし
20㎡
30㎡
40㎡
50㎡
60㎡
70㎡
80㎡
90㎡
100㎡
土地面積
下限なし
60㎡ (約18坪)
70㎡ (約21坪)
80㎡ (約24坪)
90㎡ (約27坪)
100㎡ (約30坪)
110㎡ (約33坪)
120㎡ (約36坪)
130㎡ (約39坪)
140㎡ (約42坪)
150㎡ (約45坪)
160㎡ (約48坪)
170㎡ (約51坪)
180㎡ (約54坪)
190㎡ (約57坪)
200㎡ (約60坪)
250㎡ (約75坪)
300㎡ (約90坪)
~
上限なし
60㎡ (約18坪)
70㎡ (約21坪)
80㎡ (約24坪)
90㎡ (約27坪)
100㎡ (約30坪)
110㎡ (約33坪)
120㎡ (約36坪)
130㎡ (約39坪)
140㎡ (約42坪)
150㎡ (約45坪)
160㎡ (約48坪)
170㎡ (約51坪)
180㎡ (約54坪)
190㎡ (約57坪)
200㎡ (約60坪)
250㎡ (約75坪)
300㎡ (約90坪)
建物面積
下限なし
60㎡ (約18坪)
70㎡ (約21坪)
80㎡ (約24坪)
90㎡ (約27坪)
100㎡ (約30坪)
110㎡ (約33坪)
120㎡ (約36坪)
130㎡ (約39坪)
140㎡ (約42坪)
150㎡ (約45坪)
160㎡ (約48坪)
170㎡ (約51坪)
180㎡ (約54坪)
190㎡ (約57坪)
200㎡ (約60坪)
250㎡ (約75坪)
300㎡ (約90坪)
~
上限なし
60㎡ (約18坪)
70㎡ (約21坪)
80㎡ (約24坪)
90㎡ (約27坪)
100㎡ (約30坪)
110㎡ (約33坪)
120㎡ (約36坪)
130㎡ (約39坪)
140㎡ (約42坪)
150㎡ (約45坪)
160㎡ (約48坪)
170㎡ (約51坪)
180㎡ (約54坪)
190㎡ (約57坪)
200㎡ (約60坪)
250㎡ (約75坪)
300㎡ (約90坪)
坪単価
下限なし
5万円
10万円
15万円
20万円
25万円
30万円
35万円
40万円
45万円
50万円
~
上限なし
5万円
10万円
15万円
20万円
25万円
30万円
35万円
40万円
45万円
50万円
築年数
指定なし
新築
3年以内
5年以内
10年以内
15年以内
20年以内
方位
北
北東
東
南東
南
南西
西
北西
おすすめ条件
ペット可・相談
楽器可・相談
情報公開日
指定なし
本日
3日以内
1週間以内
1ヶ月以内
0件
がマッチ
人気のあるこだわり条件
角地(13)
整形地(28)
前道6m以上(19)
南側道路面す(20)
更地(37)
学校近く(24)
スーパー近く(16)
最寄り駅近く(15)
閑静な住宅街(32)
分割可能(2)
建築条件なし(38)
所有権(45)
即引き渡し可(20)
側溝(24)
都市ガス(前面道路)(18)
上水道(前面道路)(17)
下水道(前面道路)(15)
電気(28)
都市ガス(宅地内)(30)
上水道(宅地内)(35)
下水道(宅地内)(40)
前面道路融雪設備あり(6)
住宅向け(36)
事業用向け(7)
別荘地(1)
田舎暮らし(6)
条件に合った物件数は、
0 件
です。
立地・環境
角地(13)
整形地(28)
前道6m以上(19)
南側道路面す(20)
更地(37)
学校近く(24)
スーパー近く(16)
最寄り駅近く(15)
閑静な住宅街(32)
用途・制限
分割可能(2)
建築条件なし(38)
引渡・条件
所有権(45)
即引き渡し可(20)
設備
側溝(24)
都市ガス(前面道路)(18)
上水道(前面道路)(17)
下水道(前面道路)(15)
電気(28)
都市ガス(宅地内)(30)
上水道(宅地内)(35)
下水道(宅地内)(40)
前面道路融雪設備あり(6)
その他
住宅向け(36)
事業用向け(7)
別荘地(1)
田舎暮らし(6)
条件に合った物件数は、
0 件
です。
アパート・マンション・一戸建て
/
駐車場
/
貸土地
/
店舗
/
事務所
/
倉庫・工場
新築分譲マンション
/
中古マンション
/
新築一戸建て
/
中古一戸建て
/
売土地
/
投資物件・その他
マンション
/
一戸建て
/
土地
建てる・リフォーム
物件掲載企業一覧
掲載希望の企業様へ
新潟の不動産情報サイト
サービス利用規約
運営会社
サイトマップ
プライバシーポリシー
お問い合わせ
リンク
Copyright (C)
株式会社 コモンライフ・コーポレーション
. All Rights Reserved.
新潟・長岡・柏崎の賃貸・マンション・アパート・住宅の不動産物件情報サイト
不動産検索サイト「らくすむ」及び関連サイトに記載の不動産情報は、会員規約に則り、情報提供会社様の責任のもとに発信されております。
不動産の賃借、購入に関しては賃借者、購入者ご自身が情報を確認され、会社企業様から説明を受けられたうえで判断をお願いいたします。
不動産検索サイト「らくすむ」及び関連サイトに記載の不動産情報、写真、デザイン、コンテンツなどの
無断転載・転用・複製
など禁止します。