| 現況の月極駐車場としてもご利用いただけます♪ | |||
| 物件コード | 00178-200008 | ||
|---|---|---|---|
| 物件名 | 柏崎市諏訪町 売り土地 | ||
| 交通 | 駅:越後線 東柏崎駅から徒歩9分、バス:諏訪町3丁目から徒歩1分 | ||
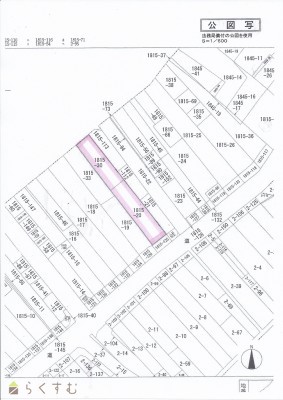
| 物件所在地 | 新潟県柏崎市諏訪町1815-20 | ||
| 物件種別 | 売土地・分譲地 | ||
| 物件区分 | 売土地 | ||
| 構造 | - | 階建 | - |
| 建ぺい率/容積率 | 80%/400% | ||
| 建物面積 | - | ||
| 土地面積 | 467.59㎡ /141.44坪 | ||
| 築年月 | - | ||
| 入居時期 | 随時入居(引き渡し)可 | ||
| 用途地域 | 商業地域 | 地目 | 宅地 (現状:駐車場用地) |
| 都市計画 | 非線引き都市計画区域 | 学校区 | 柏崎小学校(933m)・第一中学校(813m) |
| 形状 | 間口 7.3m × 奥行 60m | 道路 | 幅員約16m |
| 私道 | - | ||
| 所在階/階数 | - | 号室 | - |
|---|---|---|---|
| 販売価格 | 8,800,000円 | 方位 | - |
| 間取り | - | ||
| 専有面積 | - | バルコニー面積 | - |
| その他面積 | - | 駐車場 | - |
| 管理費 | - | 修繕積立金 | - |
| 現況 | - | ||
| 仲介手数料 | 356,400円 | ||
| 利用制限 | - | ||
| 設備 | 整形地、前道6m以上、最寄り駅近く、所有権、即引き渡し可、住宅向け、事業用向け | ||
| 取引態様 | 一般 | ||
| 備考 | - | ||
| 情報登録日 | 2024/06/20 | 次回更新予定日 | 2025/11/19 |
| 取引条件有効期限 | 2025/03/23 | ||
|
|
|
|
| TEL: | 0257-41-5077 |
|---|---|
| 所在地: | 新潟県柏崎市西港町4番19号 |
| 交通: | 柏崎駅 |
| 営業時間: | 10:00~18:00土日は10:00~17:00/定休日:水曜日・祝日 |
| 免許番号: | 新潟県知事(2)第5342号 |
| 所属団体名: | 公社 宅地建物取引協会 柏崎支部 |
| 取引態様: | 一般 |