| 物件コード | 00073-200082 | ||
|---|---|---|---|
| 物件名 | 中之島売土地 | ||
| 交通 | 駅:信越線 見附駅から徒歩43分、バス:中之島文化センターから徒歩5分 | ||
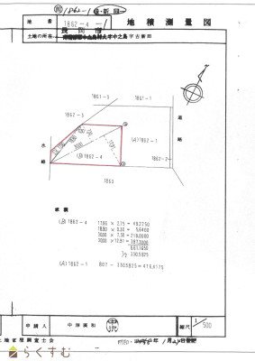
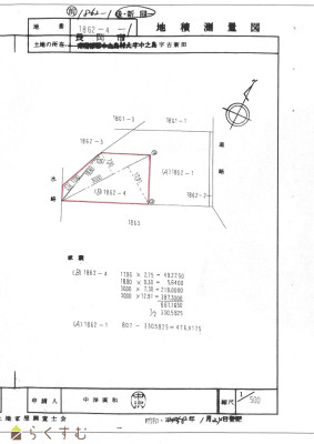
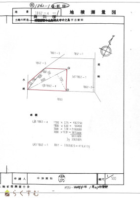
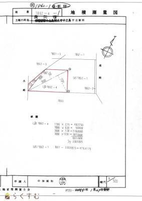
| 物件所在地 | 新潟県長岡市中之島1862番4他2筆 | ||
| 物件種別 | 売土地・分譲地 | ||
| 物件区分 | 売土地 | ||
| 構造 | - | 階建 | - | 
| 建ぺい率/容積率 | 60%/200% | ||
| 建物面積 | - | ||
| 土地面積 | 342.06㎡ /103.47坪 | ||
| 築年月 | - | ||
| 入居時期 | 随時入居(引き渡し)可 | ||
| 用途地域 | 第1種住居地域 | 地目 | 田 (現状:畑) | 
| 都市計画 | 市街化区域 | 学校区 | 中之島中央小学校(1,136m)・中之島中学校(1,934m) | 
| 形状 | 間口 22m × 奥行 15m | 道路 | 16mと6m道路 | 
| 私道 | - | ||
| 所在階/階数 | - | 号室 | - | 
|---|---|---|---|
| 販売価格 | 8,480,000円 | 方位 | - | 
| 間取り | - | ||
| 専有面積 | - | バルコニー面積 | - | 
| その他面積 | - | 駐車場 | - | 
| 管理費 | - | 修繕積立金 | - | 
| 現況 | 更地 | ||
| 仲介手数料 | 345,840円 | ||
| 利用制限 | - | ||
| 設備 | 角地、前道6m以上、更地、建築条件なし、所有権、側溝、都市ガス(前面道路)、上水道(前面道路)、電気、下水道(宅地内)、住宅向け、事業用向け | ||
| 取引態様 | 一般 | ||
| 備考 | 陽当りがとても良い土地です。 | ||
| 情報登録日 | 2025/09/17 | 次回更新予定日 | 2025/11/19 | 
| 取引条件有効期限 | 2025/05/18 | ||
							 
						 | 
						
							 
						 | 
					
							 
						 | 
						
							 
						 | 
					
| TEL: | 0258-29-2987 | 
|---|---|
| 所在地: | 新潟県長岡市古正寺1丁目2801 | 
| 交通: | 長岡駅 | 
| 営業時間: | 9:00~17:00/定休日:日曜・祭日 | 
| 免許番号: | 新潟県知事(9)第3434号 | 
| 所属団体名: | 新潟県宅地建物取引協会 長岡支部 | 
| 取引態様: | 一般 |