| 200坪以上の広い土地です | |||
| 物件コード | 00052-200215 | ||
|---|---|---|---|
| 物件名 | ◆売地◆三条市大島 | ||
| 交通 | 駅:弥彦線 燕三条駅から徒歩53分、バス:ラーメンハウス原宿から徒歩2分 | ||
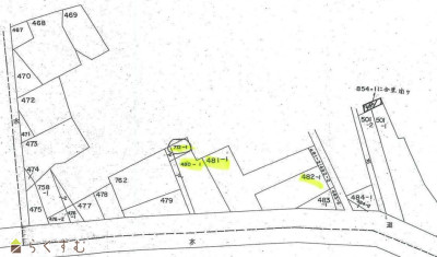
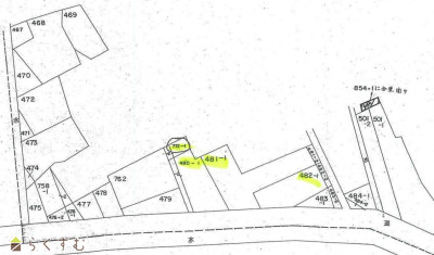
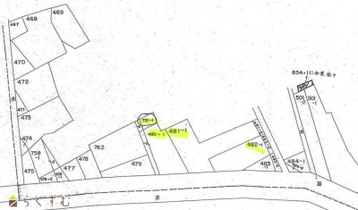
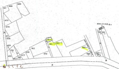
| 物件所在地 | 新潟県三条市大島481番1 | ||
| 物件種別 | 売土地・分譲地 | ||
| 物件区分 | 売土地 | ||
| 構造 | - | 階建 | - |
| 建ぺい率/容積率 | 70%/200% | ||
| 建物面積 | - | ||
| 土地面積 | 724㎡ /219.01坪 | ||
| 築年月 | - | ||
| 入居時期 | 随時入居(引き渡し)可 | ||
| 用途地域 | 無指定 | 地目 | 畑 (現状:雑種地) |
| 都市計画 | 非線引き都市計画区域 | 学校区 | 大島小学校(468m)・大島中学校(2,279m) |
| 形状 | - | 道路 | 東側:幅員12.7m 北側:幅員3.7m |
| 私道 | - | ||
| 所在階/階数 | - | 号室 | - |
|---|---|---|---|
| 販売価格 | 8,760,000円 | 方位 | - |
| 間取り | - | ||
| 専有面積 | - | バルコニー面積 | - |
| その他面積 | - | 駐車場 | - |
| 管理費 | - | 修繕積立金 | - |
| 現況 | - | ||
| 仲介手数料 | 355,080円 | ||
| 利用制限 | - | ||
| 設備 | 角地、前道6m以上、更地、建築条件なし、所有権、即引き渡し可、上水道(前面道路)、住宅向け、事業用向け | ||
| 取引態様 | 専任 | ||
| 備考 | ※分割不可※ | ||
| 情報登録日 | 2025/10/01 | 次回更新予定日 | 2026/06/06 |
| 取引条件有効期限 | 2025/05/01 | ||
|
|
|
|
| TEL: | 0256-35-5825 |
|---|---|
| 所在地: | 新潟県三条市旭町1丁目1-19-3ユタカビル |
| 交通: | 東三条駅 |
| 営業時間: | 9:00~18:00/定休日:火曜・祭日 |
| 免許番号: | 新潟見知事(9)第3203号 |
| 所属団体名: | 新潟県宅地建物取引協会 三条支部 |
| 取引態様: | 専任 |