| 物件コード | 00052-200177 | ||
|---|---|---|---|
| 物件名 | ◆売地◆三条市林町一丁目 | ||
| 交通 | 駅:弥彦線 北三条駅から徒歩13分、バス:一ノ木戸商店街から徒歩3分 | ||
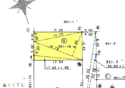
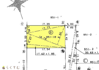
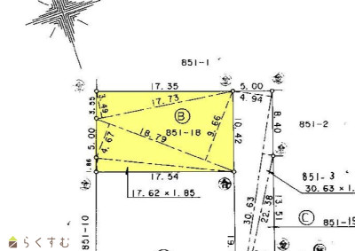
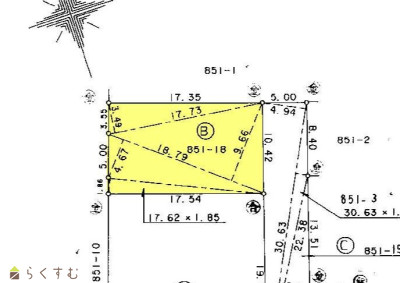
| 物件所在地 | 新潟県三条市林町1丁目851-18 | ||
| 物件種別 | 売土地・分譲地 | ||
| 物件区分 | 売土地 | ||
| 構造 | - | 階建 | - |
| 建ぺい率/容積率 | 60%/200% | ||
| 建物面積 | - | ||
| 土地面積 | 181.86㎡ /55.01坪 | ||
| 築年月 | - | ||
| 入居時期 | 随時入居(引き渡し)可 | ||
| 用途地域 | 第1種住居地域 | 地目 | 宅地 (現状:宅地) |
| 都市計画 | 非線引き都市計画区域 | 学校区 | 一ノ木戸小学校(950m)・第二中学校(950m) |
| 形状 | 間口 10.41m × 奥行 17.35m | 道路 | 東側:三条市道小林小路支線 |
| 私道 | - | ||
| 所在階/階数 | - | 号室 | - |
|---|---|---|---|
| 販売価格 | 7,151,300円 | 方位 | - |
| 間取り | - | ||
| 専有面積 | - | バルコニー面積 | - |
| その他面積 | - | 駐車場 | - |
| 管理費 | - | 修繕積立金 | - |
| 現況 | - | ||
| 仲介手数料 | 330,000円 | ||
| 利用制限 | - | ||
| 設備 | 更地、建築条件なし、所有権、即引き渡し可、都市ガス(前面道路)、上水道(宅地内)、下水道(宅地内)、住宅向け | ||
| 取引態様 | 専任 | ||
| 備考 | - | ||
| 情報登録日 | 2024/12/09 | 次回更新予定日 | 2026/06/06 |
| 取引条件有効期限 | 2025/02/01 | ||
|
|
|
|
| TEL: | 0256-35-5825 |
|---|---|
| 所在地: | 新潟県三条市旭町1丁目1-19-3ユタカビル |
| 交通: | 東三条駅 |
| 営業時間: | 9:00~18:00/定休日:火曜・祭日 |
| 免許番号: | 新潟見知事(9)第3203号 |
| 所属団体名: | 新潟県宅地建物取引協会 三条支部 |
| 取引態様: | 専任 |