新潟県上越市頸城区上神原32番1他 売土地・分譲地 20,000,000円の物件情報

事業用地にいかがでしょうか

物件名/所在地 詳細 価格
頸城区上神原
新潟県上越市頸城区上神原32番1他
  • 土地面積
    :6,799.57㎡ /2,056.86坪
  • 坪単価
    :9,723円/坪
  • 建ぺい率
    :-
  • 容積率
    :-
20,000,000
  • 頸城区上神原
    株式会社阿部建設 上越支店
  • この物件を問い合わせる/無料
  • TEL: 025-543-4548 025-543-4548

物件画像

外観
間取り
物件画像
※画像クリックで拡大表示
広々とした土地
物件画像
※画像クリックで拡大表示
眺望良好
詳細画像
物件画像
北東より撮影
物件画像
北西より撮影
物件画像
西より撮影
物件画像
地図画像


物件概要

物件コード 00280-200084
物件名 頸城区上神原
交通 駅:ほくほく線 犀潟駅から徒歩61分、バス:上神原から徒歩2分
物件所在地 新潟県上越市頸城区上神原32番1他
物件種別 売土地・分譲地
物件区分 売土地
構造 - 階建 -
建ぺい率/容積率 -
建物面積 -
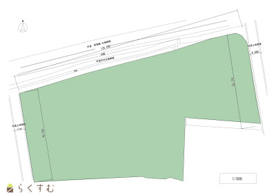
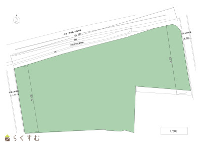
土地面積 6,799.57㎡ /2,056.86坪
築年月 -
入居(引き渡し)時期 随時入居(引き渡し)可
用途地域 無指定 地目 田、畑、原野、雑種地  (現状:更地)
都市計画 都市計画区域外 学校区 大瀁小学校(1,438m)・頸城中学校(1,519m)
形状 間口 50m × 奥行 125m 道路 市道上神原線・市道市村北福崎線
私道 私道負担なし その他の制限 -
  • 頸城区上神原
    株式会社阿部建設 上越支店
  • この物件を問い合わせる/無料
  • TEL: 025-543-4548 025-543-4548

物件詳細情報

所在階/階数 - 号室 -
販売価格 20,000,000円 方位 -
間取り -
専有面積 - バルコニー面積 -
その他面積 - 駐車場 -
管理費 - 修繕積立金 -
現況 -
仲介手数料 737,000円
利用制限 -
設備 前道6m以上、更地、建築条件なし、所有権、側溝、LPG、上水道(前面道路)、下水道(前面道路)、電気、事業用向け
取引態様 一般
備考 物件情報と差異がある場合は現況優先となります
売主 2名
取り扱い会社

株式会社阿部建設 上越支店

新潟県上越市西本町2丁目4番45号

情報登録日 2025/06/06 次回更新予定日 2026/06/06
取引条件有効期限 2024/08/31
  • 頸城区上神原
    株式会社阿部建設 上越支店
  • この物件を問い合わせる/無料
  • TEL: 025-543-4548 025-543-4548

この物件の地図・周辺情報・行政情報

この物件の周辺情報・行政情報を詳しく見る
【周辺情報】
物件の近くにあるコンビニや銀行・学校など、アイコン付のマップで詳しく表示できます!
【行政情報】
水道料や下水道料・ガス料金など、暮らしに関係のある情報を表示しています。

担当取扱い店舗情報

取扱い店舗画像
株式会社阿部建設 上越支店
TEL: 025-543-4548
所在地: 新潟県上越市西本町2丁目4番45号
交通:
営業時間: 8:00~17:10/定休日:日・祝祭日 他
免許番号: 新潟県知事(12)第2059号
所属団体名: 公社 新潟県宅地建物取引協会 上越支部
取引態様: 一般
ホームページ: https://abekensetu.homes/