新潟県長岡市関原西町84番 売土地・分譲地 4,200,000円の物件情報

建築条件なし ☆ 仲介手数料はかかりません ♪

物件名/所在地 詳細 価格
関原西町 49坪の売地
新潟県長岡市関原西町84番
  • 土地面積
    :165㎡ /49.91坪
  • 坪単価
    :84,151円/坪
  • 建ぺい率
    :60%
  • 容積率
    :200%
4,200,000
  • 関原西町 49坪の売地
    ひかり不動産(白山住宅 不動産部)
  • この物件を問い合わせる/無料
  • TEL: 0258-94-5132 0258-94-5132

物件画像

外観
間取り
物件画像
※画像クリックで拡大表示
前面道路より
物件画像
※画像クリックで拡大表示
前面道路の様子
詳細画像
物件画像
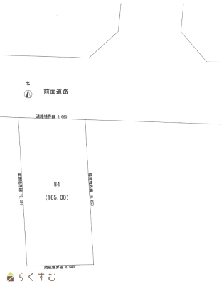
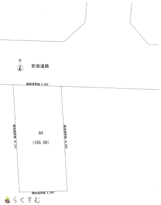
49.91坪
物件画像
赤い枠内です。
物件画像
道路
物件画像
赤い枠内です。
物件画像
赤い枠内です。
物件画像
参考敷地図
物件画像
正面
物件画像
地図画像


物件概要

建築条件なし ☆ 仲介手数料はかかりません ♪
物件コード 00248-200008
物件名 関原西町 49坪の売地
交通 駅:上越新幹線 長岡駅から徒歩94分、バス:関原2丁目から徒歩11分
物件所在地 新潟県長岡市関原西町84番
物件種別 売土地・分譲地
物件区分 売土地
構造 - 階建 -
建ぺい率/容積率 60%/200%
建物面積 -
土地面積 165㎡ /49.91坪
築年月 -
入居(引き渡し)時期 随時入居(引き渡し)可
用途地域 第1種中高層住居専用地域 地目 雑種地
都市計画 市街化区域 学校区 関原小学校(471m)・関原中学校(1,162m)
形状 間口 8.66m × 奥行 18.85m 道路 長岡市道 関原251号線(幅員7.7m)
私道 - その他の制限 第2種高度地区、建築基準法第22条指定区域
  • 関原西町 49坪の売地
    ひかり不動産(白山住宅 不動産部)
  • この物件を問い合わせる/無料
  • TEL: 0258-94-5132 0258-94-5132

物件詳細情報

所在階/階数 - 号室 -
販売価格 4,200,000円 方位 -
間取り -
専有面積 - バルコニー面積 -
その他面積 - 駐車場 -
管理費 - 修繕積立金 -
現況 -
仲介手数料 なし
利用制限 -
設備 前道6m以上、更地、建築条件なし、所有権、側溝、都市ガス(前面道路)、上水道(前面道路)、下水道(前面道路)、電気、住宅向け
取引態様 売主
備考 下水道公共桝は市で設置します。なお、受益者負担金は掛かりません。
取り扱い会社

ひかり不動産(白山住宅 不動産部)

新潟県長岡市福山町1102番地

情報登録日 2026/04/06 次回更新予定日 2026/06/06
取引条件有効期限 2026/06/30
  • 関原西町 49坪の売地
    ひかり不動産(白山住宅 不動産部)
  • この物件を問い合わせる/無料
  • TEL: 0258-94-5132 0258-94-5132

この物件の地図・周辺情報・行政情報

この物件の周辺情報・行政情報を詳しく見る
【周辺情報】
物件の近くにあるコンビニや銀行・学校など、アイコン付のマップで詳しく表示できます!
【行政情報】
水道料や下水道料・ガス料金など、暮らしに関係のある情報を表示しています。
遠藤薬局(ドラッグストア)まで810m
いまい皮膚科医院(病院)まで800m
第四北越銀行 関原支店(銀行)まで830m

※カメラのアイコンがある場合は、マウスをポイントするとその施設の画像がご覧いただけます。


担当取扱い店舗情報

取扱い店舗画像
ひかり不動産(白山住宅 不動産部)
TEL: 0258-94-5132
所在地: 新潟県長岡市福山町1102番地
交通: バス停「日越」から徒歩8分
営業時間: 8:30~17:30/定休日:土曜日・日曜日・祝日
免許番号: 新潟県知事(1)第5580号
所属団体名: 公社 全日本不動産協会 新潟県本部
取引態様: 売主
ホームページ: https://hakusanjutaku.com/