新潟県魚沼市佐梨字沢田962-4 売土地・分譲地 7,686,000円の物件情報

雪に強い丸屋根のシャッター付きガレージが付いています 

物件名/所在地 詳細 価格
魚沼市佐梨 売土地
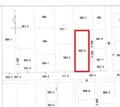
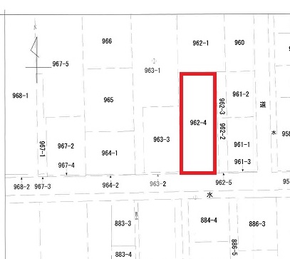
新潟県魚沼市佐梨字沢田962-4
  • 土地面積
    :363㎡ /109.8坪
  • 坪単価
    :70,000円/坪
  • 建ぺい率
    :-
  • 容積率
    :-
7,686,000
  • 魚沼市佐梨 売土地
    有限会社 高治企画 
  • この物件を問い合わせる/無料
  • TEL: 0258-27-6599 0258-27-6599

物件画像

外観
間取り
物件画像
※画像クリックで拡大表示
物件画像
※画像クリックで拡大表示
詳細画像
物件画像
物件画像
物件画像
物件画像


物件概要

物件コード 00051-200010
物件名 魚沼市佐梨 売土地
交通 バス:南一条交差点から徒歩6分
物件所在地 新潟県魚沼市佐梨字沢田962-4
物件種別 売土地・分譲地
物件区分 売土地
構造 - 階建 -
建ぺい率/容積率 -
建物面積 -
土地面積 363㎡ /109.8坪
築年月 -
入居(引き渡し)時期 指定なし
用途地域 第1種住居地域 地目
都市計画 - 学校区 小出小学校・小出中学校
形状 - 道路 -
私道 - その他の制限 -
  • 魚沼市佐梨 売土地
    有限会社 高治企画 
  • この物件を問い合わせる/無料
  • TEL: 0258-27-6599 0258-27-6599

物件詳細情報

所在階/階数 - 号室 -
販売価格 7,686,000円 方位 -
間取り -
専有面積 - バルコニー面積 -
その他面積 - 駐車場 -
管理費 - 修繕積立金 -
現況 指定なし
仲介手数料 319,638円
利用制限 -
設備 学校近く
取引態様 一般
備考 -
取り扱い会社

有限会社 高治企画 

新潟県長岡市荻野1丁目6番7号

情報登録日 2018/08/09 次回更新予定日 2026/04/21
取引条件有効期限 -
  • 魚沼市佐梨 売土地
    有限会社 高治企画 
  • この物件を問い合わせる/無料
  • TEL: 0258-27-6599 0258-27-6599

この物件の地図・周辺情報・行政情報

この物件の周辺情報・行政情報を詳しく見る
【周辺情報】
物件の近くにあるコンビニや銀行・学校など、アイコン付のマップで詳しく表示できます!
【行政情報】
水道料や下水道料・ガス料金など、暮らしに関係のある情報を表示しています。

担当取扱い店舗情報

取扱い店舗画像
有限会社 高治企画 
TEL: 0258-27-6599
所在地: 新潟県長岡市荻野1丁目6番7号
交通: JR長岡駅、バス(越後交通)
営業時間: 9:00~17:00/定休日:土曜・日曜・祭日(3月は無休)
免許番号: 新潟県知事(6)第4078号
所属団体名: 新潟県宅地建物取引協会 長岡支部
取引態様: 一般
ホームページ: http://www.takaharu-k.co.jp