新潟県長岡市川崎2丁目2486-7 売土地・分譲地 8,100,000円の物件情報

■前面道路消雪有り■解体更地渡し■

物件名/所在地 詳細 価格
川崎2丁目 売土地
新潟県長岡市川崎2丁目2486-7
  • 土地面積
    :134.38㎡ /40.64坪
  • 坪単価
    :199,311円/坪
  • 建ぺい率
    :60%
  • 容積率
    :200%
8,100,000
  • 川崎2丁目 売土地
    株式会社 高野不動産販売
  • この物件を問い合わせる/無料
  • TEL: 0258-34-7111 0258-34-7111

物件画像

外観
間取り
物件画像
※画像クリックで拡大表示
更地引渡しとなります。
物件画像
※画像クリックで拡大表示
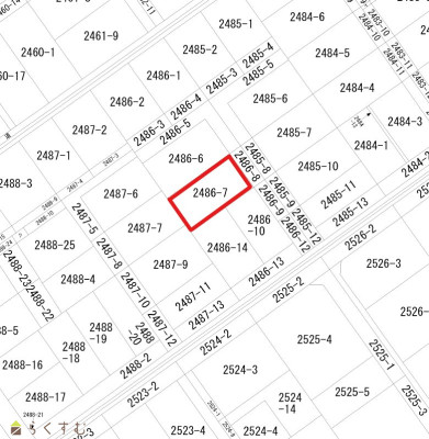
区画図
詳細画像
物件画像
地図
物件画像
前面道路
物件画像
前面道路


物件概要

コンビニまで徒歩約2分130mの好立地!
物件コード 00041-200842
物件名 川崎2丁目 売土地
交通 駅:信越線 長岡駅から徒歩18分、バス:川崎入口から徒歩4分
物件所在地 新潟県長岡市川崎2丁目2486-7
物件種別 売土地・分譲地
物件区分 売土地
構造 - 階建 -
建ぺい率/容積率 60%/200%
建物面積 -
土地面積 134.38㎡ /40.64坪
築年月 -
入居(引き渡し)時期 相談
用途地域 第2種中高層住居専用地域 地目 宅地  (現状:宅地)
都市計画 市街化区域 学校区 川崎小学校(425m)・東北中学校(664m)
形状 間口 8.55m 道路 私道 幅員約6m
私道 私道 幅員約6m その他の制限 -
  • 川崎2丁目 売土地
    株式会社 高野不動産販売
  • この物件を問い合わせる/無料
  • TEL: 0258-34-7111 0258-34-7111

物件詳細情報

所在階/階数 - 号室 -
販売価格 8,100,000円 方位 -
間取り -
専有面積 - バルコニー面積 -
その他面積 - 駐車場 -
管理費 - 修繕積立金 -
現況 -
仲介手数料 333,300円
利用制限 -
設備 閑静な住宅街、建築条件なし、都市ガス(前面道路)、住宅向け
取引態様 専任
備考 -
取り扱い会社

株式会社 高野不動産販売

新潟県長岡市柏町1丁目4-33

情報登録日 2023/10/14 次回更新予定日 2026/06/06
取引条件有効期限 2024/01/14
  • 川崎2丁目 売土地
    株式会社 高野不動産販売
  • この物件を問い合わせる/無料
  • TEL: 0258-34-7111 0258-34-7111

この物件の地図・周辺情報・行政情報

この物件の周辺情報・行政情報を詳しく見る
【周辺情報】
物件の近くにあるコンビニや銀行・学校など、アイコン付のマップで詳しく表示できます!
【行政情報】
水道料や下水道料・ガス料金など、暮らしに関係のある情報を表示しています。
ファミリーマート 長岡川崎店(コンビニ)まで130m
メッツ 川崎薬局(ドラッグストア)まで200m
メッツ整形外科クリニック(病院)まで310m

※カメラのアイコンがある場合は、マウスをポイントするとその施設の画像がご覧いただけます。


担当取扱い店舗情報

取扱い店舗画像
株式会社 高野不動産販売
TEL: 0258-33-7711
所在地: 新潟県長岡市柏町1丁目4-33
交通: 長岡駅
営業時間: 9:00~17:30/定休日:土曜日・日曜日・祝日・お盆・年末年始
免許番号: 新潟県知事(1)第5568号
所属団体名: (公社)新潟県宅地建物取引業協会,(公社)首都圏不動産公正取引協議会,(公財)日本賃貸住宅管理協会
取引態様: 専任
ホームページ: https://www.tknf.co.jp