新潟県柏崎市豊町字笠原548-8 549-8 売土地・分譲地 7,110,000円の物件情報

駅前公園近く

物件名/所在地 詳細 価格
豊町売土地
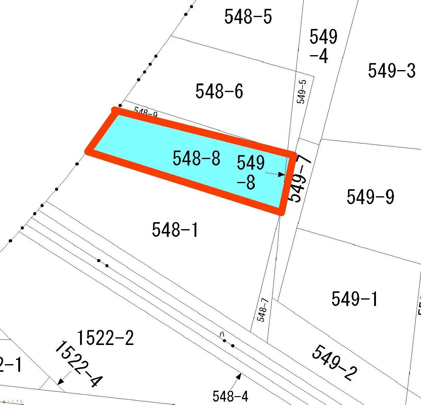
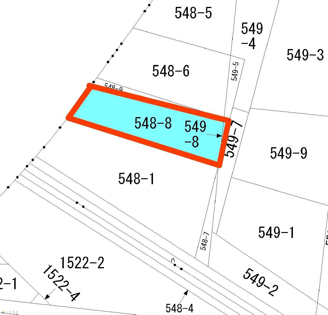
新潟県柏崎市豊町字笠原548-8 549-8
  • 土地面積
    :213.41㎡ /64.55坪
  • 坪単価
    :110,147円/坪
  • 建ぺい率
    :60%
  • 容積率
    :200%
7,110,000
  • 豊町売土地
    株式会社 ai-will
  • この物件を問い合わせる/無料
  • TEL: 0257-35-5370 0257-35-5370

物件画像

外観
間取り
物件画像
※画像クリックで拡大表示
外観
物件画像
※画像クリックで拡大表示
間取り
詳細画像
物件画像
1
物件画像
2
物件画像
3
物件画像
印刷用地図


物件概要

物件コード 00037-200082
物件名 豊町売土地
交通 駅:越後線 東柏崎駅から徒歩15分、バス:柏崎営業所から徒歩4分
物件所在地 新潟県柏崎市豊町字笠原548-8 549-8
物件種別 売土地・分譲地
物件区分 売土地
構造 - 階建 -
建ぺい率/容積率 60%/200%
建物面積 -
土地面積 213.41㎡ /64.55坪
築年月 -
入居(引き渡し)時期 随時入居(引き渡し)可
用途地域 工業地域 地目 その他  (現状:更地)
都市計画 - 学校区 比角小学校(533m)・第二中学校(892m)
形状 - 道路 東側私道4mに11m接面
私道 前面道路に私道持分なし その他の制限 -
  • 豊町売土地
    株式会社 ai-will
  • この物件を問い合わせる/無料
  • TEL: 0257-35-5370 0257-35-5370

物件詳細情報

所在階/階数 - 号室 -
販売価格 7,110,000円 方位 -
間取り -
専有面積 - バルコニー面積 -
その他面積 - 駐車場 -
管理費 - 修繕積立金 -
現況 更地
仲介手数料 330,000円
利用制限 -
設備 建築条件なし、所有権、都市ガス(前面道路)、上水道(前面道路)、下水道(前面道路)
取引態様 一般
備考 -
取り扱い会社

株式会社 ai-will

新潟県柏崎市田中10-31

情報登録日 2026/01/27 次回更新予定日 2026/06/06
取引条件有効期限 2026/12/31
  • 豊町売土地
    株式会社 ai-will
  • この物件を問い合わせる/無料
  • TEL: 0257-35-5370 0257-35-5370

この物件の地図・周辺情報・行政情報

この物件の周辺情報・行政情報を詳しく見る
【周辺情報】
物件の近くにあるコンビニや銀行・学校など、アイコン付のマップで詳しく表示できます!
【行政情報】
水道料や下水道料・ガス料金など、暮らしに関係のある情報を表示しています。
ローソン 柏崎錦町店(コンビニ)まで490m
ファミリーマート 柏崎扇町店(コンビニ)まで500m
セブン-イレブン 柏崎錦町店(コンビニ)まで630m
ウオロク 柏崎店(スーパー)まで820m
原信 岩上店(スーパー)まで1150m
ウエルシア柏崎錦町店 (調剤薬局)(ドラッグストア)まで610m
あらき眼科(病院)まで540m
扇町皮膚科医院(病院)まで620m
本間内科医院(病院)まで970m
柏崎東本町郵便局(郵便局)まで890m

※カメラのアイコンがある場合は、マウスをポイントするとその施設の画像がご覧いただけます。


担当取扱い店舗情報

取扱い店舗画像
株式会社 ai-will
TEL: 0257-35-5370
所在地: 新潟県柏崎市田中10-31
交通: 国道8号線よりすぐ
営業時間: 平日9:00~18:00土日祝10:00~16:0/定休日:当社規定 (お盆・年末年始・GW)
免許番号: 新潟県知事(4)4821号
所属団体名: 新潟県宅地建物取引協会 柏崎支部
取引態様: 一般
ホームページ: http://www.ai-will.co.jp/