新潟県長岡市与板町東与板269番3 売土地・分譲地 5,465,000円の物件情報

物件名/所在地 詳細 価格
東与板A(管理番号Y15-A)
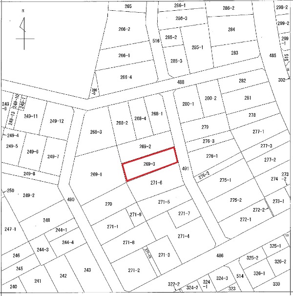
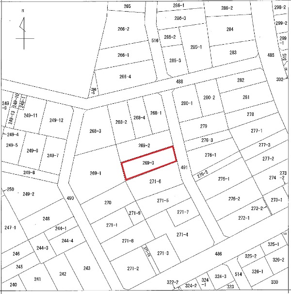
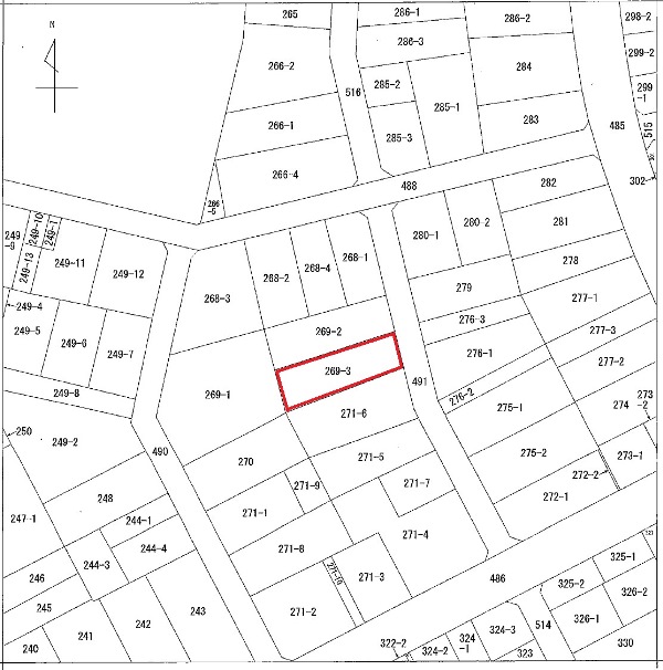
新潟県長岡市与板町東与板269番3
  • 土地面積
    :278㎡ /84.09坪
  • 坪単価
    :64,989円/坪
  • 建ぺい率
    :60%
  • 容積率
    :200%
5,465,000
  • 東与板A(管理番号Y15-A)
    株式会社 エヌ・アール・ケー総合企画
  • この物件を問い合わせる/無料
  • TEL: 0258-41-5336 0258-41-5336

物件画像

外観
間取り
物件画像
※画像クリックで拡大表示
外観
物件画像
※画像クリックで拡大表示
間取り
詳細画像


物件概要

物件コード 00024-200131
物件名 東与板A(管理番号Y15-A)
交通 バス:東与板から徒歩2分
物件所在地 新潟県長岡市与板町東与板269番3
物件種別 売土地・分譲地
物件区分 売土地
構造 - 階建 -
建ぺい率/容積率 60%/200%
建物面積 -
土地面積 278㎡ /84.09坪
築年月 -
入居(引き渡し)時期 随時入居(引き渡し)可
用途地域 第1種住居地域 地目
都市計画 市街化区域 学校区 与板小学校(462m)・与板中学校(235m)
形状 - 道路 5.4m消雪あり
私道 - その他の制限 -
  • 東与板A(管理番号Y15-A)
    株式会社 エヌ・アール・ケー総合企画
  • この物件を問い合わせる/無料
  • TEL: 0258-41-5336 0258-41-5336

物件詳細情報

所在階/階数 - 号室 -
販売価格 5,465,000円 方位 -
間取り -
専有面積 - バルコニー面積 -
その他面積 - 駐車場 -
管理費 - 修繕積立金 -
現況 -
仲介手数料 330,000円
利用制限 -
設備 学校近く、閑静な住宅街、建築条件なし、所有権、即引き渡し可、都市ガス(前面道路)、上水道(前面道路)、下水道(前面道路)、電気
取引態様 専任
備考 -
取り扱い会社

株式会社 エヌ・アール・ケー総合企画

新潟県長岡市与板町与板119番地

情報登録日 2026/04/16 次回更新予定日 2026/06/06
取引条件有効期限 2030/09/30
  • 東与板A(管理番号Y15-A)
    株式会社 エヌ・アール・ケー総合企画
  • この物件を問い合わせる/無料
  • TEL: 0258-41-5336 0258-41-5336

この物件の地図・周辺情報・行政情報

この物件の周辺情報・行政情報を詳しく見る
【周辺情報】
物件の近くにあるコンビニや銀行・学校など、アイコン付のマップで詳しく表示できます!
【行政情報】
水道料や下水道料・ガス料金など、暮らしに関係のある情報を表示しています。

担当取扱い店舗情報

取扱い店舗画像
株式会社 エヌ・アール・ケー総合企画
TEL: 0258-41-5336
所在地: 新潟県長岡市与板町与板119番地
交通:
営業時間: 8:30~17:30/定休日:土日・祝祭日 (電話対応しております)
免許番号: 新潟県知事(5)第4750号
所属団体名: 新潟県宅地建物取引業協会 長岡支部
取引態様: 専任
ホームページ: http://www.nrk-sogo.jp