物件掲載企業数:295|賃貸物件:3,346件|売買物件:3,307件|今週の登録物件:320
閲覧中のブラウザ(インターネットエクスプローラー)は非推奨ブラウザです。
物件が正しく表示されなかったり、正しく検索されない場合があります。最新のブラウザ(Google Chrome・Edgeなど)にてご利用お願いいたします。
  

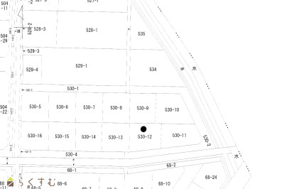
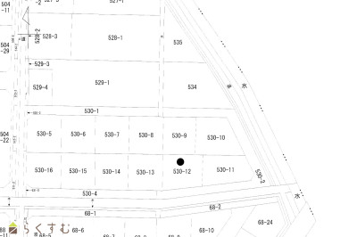
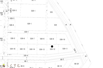
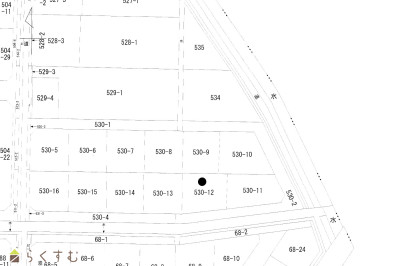
新潟県長岡市希望が丘1丁目530番地12 売土地・分譲地 12,900,000円の物件情報

R7.9.28価格変更いたしました。小中学校に至近の川西地区の閑静な住宅地。

物件名/所在地 詳細 価格
【希望が丘1丁目】売土地(更地渡し)
新潟県長岡市希望が丘1丁目530番地12
  • 土地面積
    :231.97㎡ /70.17坪
  • 坪単価
    :183,839円/坪
  • 建ぺい率
    :50%
  • 容積率
    :80%
12,900,000
  • 【希望が丘1丁目】売土地(更地渡し)
    株式会社ミライ’s R Estate
  • この物件を問い合わせる/無料
  • TEL: 0258-94-4545

物件画像

外観 間取り
物件画像
※画像クリックで拡大表示
外観
物件画像
※画像クリックで拡大表示
更生図(写し)
詳細画像


物件概要

商業施設等への車でのアクセス性も良好。
物件コード 00322-200041
物件名 【希望が丘1丁目】売土地(更地渡し)
交通 駅:上越新幹線 長岡駅から徒歩51分、バス:西中学校前から徒歩2分
物件所在地 新潟県長岡市希望が丘1丁目530番地12
物件種別 売土地・分譲地
物件区分 売土地
構造 - 階建 -
建ぺい率/容積率 50%/80%
建物面積 -
土地面積 231.97㎡ /70.17坪
築年月 -
入居(引き渡し)時期 相談
用途地域 第1種低層住居専用地域 地目 宅地
都市計画 市街化区域 学校区 希望が丘小学校(331m)・西中学校(230m)
形状 間口 15.5m × 奥行 12.5m 道路 長岡市道西幹線34号線 幅員7.0m
私道 - その他の制限 -
  • 【希望が丘1丁目】売土地(更地渡し)
    株式会社ミライ’s R Estate
  • この物件を問い合わせる/無料
  • TEL: 0258-94-4545

物件詳細情報

所在階/階数 - 号室 -
販売価格 12,900,000円 方位 -
間取り -
専有面積 - バルコニー面積 -
その他面積 - 駐車場 -
管理費 - 修繕積立金 -
現況 古家あり更地引渡可
仲介手数料 491,700円
利用制限 -
設備 前道6m以上、南側道路面す、学校近く、建築条件なし、所有権、都市ガス(宅地内)、上水道(宅地内)、下水道(宅地内)、住宅向け
取引態様 仲介
備考 -
取り扱い会社

株式会社ミライ’s R Estate

新潟県長岡市福住2-1-24高野ビル1階

情報登録日 2026/01/07 次回更新予定日 2026/03/07
取引条件有効期限 2026/03/31
  • 【希望が丘1丁目】売土地(更地渡し)
    株式会社ミライ’s R Estate
  • この物件を問い合わせる/無料
  • TEL: 0258-94-4545

この物件の地図・周辺情報・行政情報

この物件の周辺情報・行政情報を詳しく見る
【周辺情報】
物件の近くにあるコンビニや銀行・学校など、アイコン付のマップで詳しく表示できます!
【行政情報】
水道料や下水道料・ガス料金など、暮らしに関係のある情報を表示しています。
セブンイレブン 長岡北山2丁目店(コンビニ)まで560m
ウオロク 北山店(スーパー)まで470m
(株)大光銀行 希望が丘支店(銀行)まで200m

※カメラのアイコンがある場合は、マウスをポイントするとその施設の画像がご覧いただけます。


担当取扱い店舗情報

取扱い店舗画像
株式会社ミライ’s R Estate
TEL: 0258-94-4545
所在地: 新潟県長岡市福住2-1-24高野ビル1階
交通: 長岡駅
営業時間: 9:00~18:00/定休日:土・日・祝
免許番号: 新潟県知事(1)第5634号 この会社の情報を詳しく見る
所属団体名: 公社 新潟県宅地建物取引協会 長岡支部
取引態様: 仲介