国府2丁目売地!
| 物件名/所在地 | 詳細 | 価格 | 
|---|---|---|
| 国府2丁目 売地
														 新潟県上越市国府2丁目  | 
							
								
  | 
							3,500,000円 | 
| 外観 | 間取り | 
|---|---|
| 
								 ※画像クリックで拡大表示 土地外観 
							 | 
							
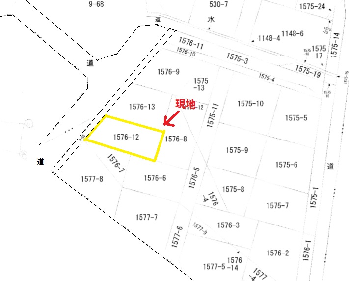
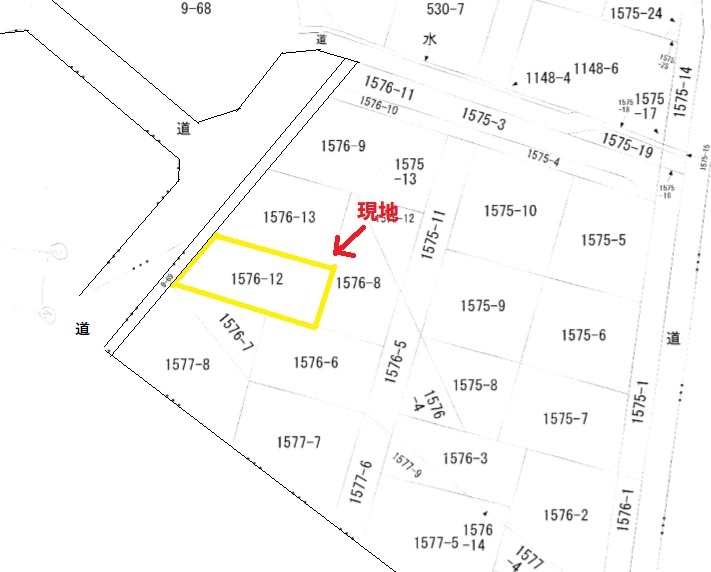
								![]() ※画像クリックで拡大表示 公図 
							 | 
						
| 詳細画像 | |
| 
								 | 
						|
| 前面道路が広い~♪ | |||
| 物件コード | 00200-200046 | ||
|---|---|---|---|
| 物件名 | 国府2丁目 売地 | ||
| 交通 | 駅:妙高はねうまライン 春日山駅から徒歩32分、バス:国府新町から徒歩11分 | ||
| 物件所在地 | 新潟県上越市国府2丁目 | ||
| 物件種別 | 売土地・分譲地 | ||
| 物件区分 | 売土地 | ||
| 構造 | - | 階建 | - | 
| 建ぺい率/容積率 | 60%/200% | ||
| 建物面積 | - | ||
| 土地面積 | 198㎡ /59.89坪 | ||
| 築年月 | - | ||
| 入居(引き渡し)時期 | 随時入居(引き渡し)可 | ||
| 用途地域 | 第1種中高層住居専用地域 | 地目 | 畑 (現状:宅地) | 
| 都市計画 | 市街化区域 | 学校区 | 国府小学校(1,767m)・直江津中学校(2,462m) | 
| 形状 | 間口 10.63m × 奥行 20m | 道路 | 西側:幅員7.8m/歩道2.1m | 
| 私道 | - | その他の制限 | なし | 
| 所在階/階数 | - | 号室 | - | 
|---|---|---|---|
| 販売価格 | 3,500,000円 | 方位 | - | 
| 間取り | - | ||
| 専有面積 | - | バルコニー面積 | - | 
| その他面積 | - | 駐車場 | - | 
| 管理費 | - | 修繕積立金 | - | 
| 現況 | - | ||
| 仲介手数料 | 330,000円 | ||
| 契約印紙代 | 
									1,000円
									 | 
														||
| 利用制限 | - | ||
| 設備 | 整形地、前道6m以上、更地、閑静な住宅街、建築条件なし、所有権、即引き渡し可、側溝、都市ガス(前面道路)、上水道(前面道路)、下水道(前面道路)、電気、住宅向け | ||
| 取引態様 | 一般 | ||
| 備考 | ・建築条件なし ・宅地内にガス・水道・下水道引き込みなし(下水道受益者負担金/完納済み) ・地目が(畑)農地転用許可申請(第5条)は売主にて負担します。 ・乗入れ申請及び、乗入れ工事費用がかかります。 ・前面道路:除雪路線 ・その他費用 契約印紙代、所有権移転費用、仲介手数料等がかかります。  | 
						||
| 取り扱い会社 | 
								 株式会社 お不動さん 上越市中央一丁目12番36号  | 
						||
| 情報登録日 | 2025/01/08 | 次回更新予定日 | 2025/11/19 | 
| 取引条件有効期限 | 2025/12/26 | ||
| 
																		ローソン上越大豆二丁目店(コンビニ)まで1050m セブン−イレブン上越五智国府店(コンビニ)まで780m  | 
																
																		グリーン薬局加賀(ドラッグストア)まで1100m 石田医院(病院)まで550m  | 
															
※カメラのアイコンがある場合は、マウスをポイントするとその施設の画像がご覧いただけます。
| TEL: | 025-520-8197 | |
|---|---|---|
| 所在地: | 上越市中央一丁目12番36号 | |
| 交通: | 直江津駅 | |
| 営業時間: | 8:30~17:30/定休日:日曜・祝日・第2土曜日・第4土曜日 | |
| 免許番号: | 新潟県知事(2)第5449号 | 
										
											 | 
								
| 所属団体名: | 公社 新潟県宅地建物取引協会 上越支部 | |
| 取引態様: | 一般 | |
| ホームページ: | https://ofudousan.amebaownd.com/ | |