物件掲載企業数:301|賃貸物件:3,258件|売買物件:3,243件|今週の登録物件:240
閲覧中のブラウザ(インターネットエクスプローラー)は非推奨ブラウザです。
物件が正しく表示されなかったり、正しく検索されない場合があります。最新のブラウザ(Google Chrome・Edgeなど)にてご利用お願いいたします。
  

新潟県新潟市中央区女池3丁目9番4号10 新築一戸建て 2LDK 39,800,000円の物件情報

陽だまりに集う、窓辺の家。

物件名/所在地 詳細 価格
女池モデルハウス
新潟県新潟市中央区女池3丁目9番4号10
  • 土地面積
    :108.23㎡ /32.73坪
  • 建物面積
    :79.19㎡ /23.95坪
  • 間取り
    :2LDK
  • 築年月
    :2026年2月
39,800,000
  • 女池モデルハウス
    株式会社 藤真工業
  • この物件を問い合わせる/無料
  • TEL: 0257-24-1172

物件画像

外観 間取り
物件画像
※画像クリックで拡大表示
外観
物件画像
※画像クリックで拡大表示
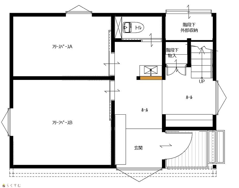
1F間取り
詳細画像


物件概要

狭小地で豊かに暮らす、都市型住宅”
物件コード 00087-200087
物件名 女池モデルハウス
交通 駅:上越新幹線 新潟駅から徒歩39分、バス:女池二丁目から徒歩7分
物件所在地 新潟県新潟市中央区女池3丁目9番4号10
物件種別 新築一戸建て
構造 木造 階建 地上2階建
建ぺい率/容積率 60%/200%
建物面積 1階 37.26㎡/ 2階 41.93㎡/ 計 79.19㎡ /23.95坪
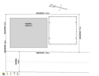
土地面積 108.23㎡ /32.73坪
築年月 2026年2月(築3ヶ月)
入居(引き渡し)時期 相談
用途地域 第1種中高層住居専用地域 地目 宅地
都市計画 市街化区域 学校区 女池小学校(577m)・鳥屋野中学校(637m)
形状 間口 14.56m × 奥行 7.5m 道路 市道
私道 - その他の制限 -
  • 女池モデルハウス
    株式会社 藤真工業
  • この物件を問い合わせる/無料
  • TEL: 0257-24-1172

物件詳細情報

所在階/階数 - 号室 -
販売価格 39,800,000円 方位
間取り 2LDK (洋室:7、5)
LDK16.4
専有面積 - バルコニー面積 -
その他面積 16.56㎡ /5坪   駐車場 -
管理費 - 修繕積立金 -
現況 空家
仲介手数料 なし
利用制限 -
設備 整形地、日当り良好、閑静な住宅街、スーパー近く、耐震構造、瑕疵担保保険付き、建物確認・完了検査済証あり、LDK15畳以上、全室フローリング、駐車場2台以上、南向き、TVインターホン、複層ガラス、ディンプルキー、システムキッチン、IHクッキングヒーター、食器洗浄乾燥機、追いだき機能付き、バス1坪以上、温水洗浄便座、シャワー付き洗面台、エアコン、24時間換気システム、省エネ給湯、高気密高断熱住宅、都市ガス、上水道、下水道、電気、シューズBOX、照明器具付き
取引態様 売主
備考 ・小屋裏収納 ・ガス衣類乾燥機乾太くん ・制震ダンパー ・1F、2Fトイレ. 洗面台 ・2台用アルミカーポート
取り扱い会社

株式会社 藤真工業

新潟県柏崎市平井3378

情報登録日 2026/04/09 次回更新予定日 2026/06/08
取引条件有効期限 2026/05/20
  • 女池モデルハウス
    株式会社 藤真工業
  • この物件を問い合わせる/無料
  • TEL: 0257-24-1172

この物件の地図・周辺情報・行政情報

この物件の周辺情報・行政情報を詳しく見る
【周辺情報】
物件の近くにあるコンビニや銀行・学校など、アイコン付のマップで詳しく表示できます!
【行政情報】
水道料や下水道料・ガス料金など、暮らしに関係のある情報を表示しています。
セブン-イレブン 新潟女池店(コンビニ)まで530m

※カメラのアイコンがある場合は、マウスをポイントするとその施設の画像がご覧いただけます。


担当取扱い店舗情報

取扱い店舗画像
株式会社 藤真工業
TEL: 0257-24-1172
所在地: 新潟県柏崎市平井3378
交通:
営業時間: 9:00~18:30/定休日:日曜・月曜
免許番号: 新潟県知事(12)第2035号 この会社の情報を詳しく見る
所属団体名: 新潟県宅地建物取引業協会 柏崎支部
取引態様: 売主
ホームページ: http://tohsin-k.com/