物件掲載企業数:301|賃貸物件:3,258件|売買物件:3,253件|今週の登録物件:245
閲覧中のブラウザ(インターネットエクスプローラー)は非推奨ブラウザです。
物件が正しく表示されなかったり、正しく検索されない場合があります。最新のブラウザ(Google Chrome・Edgeなど)にてご利用お願いいたします。
  

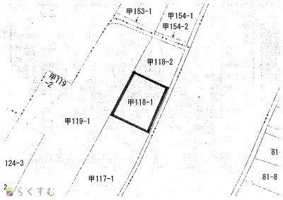
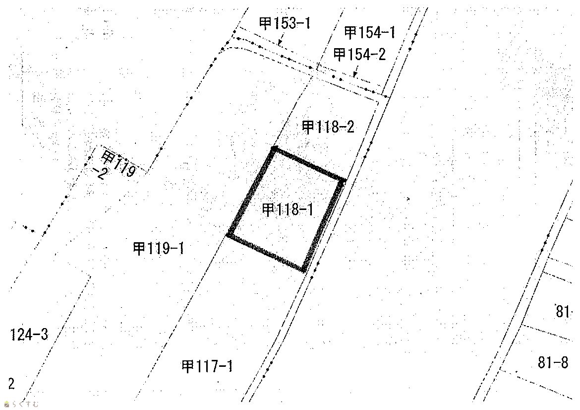
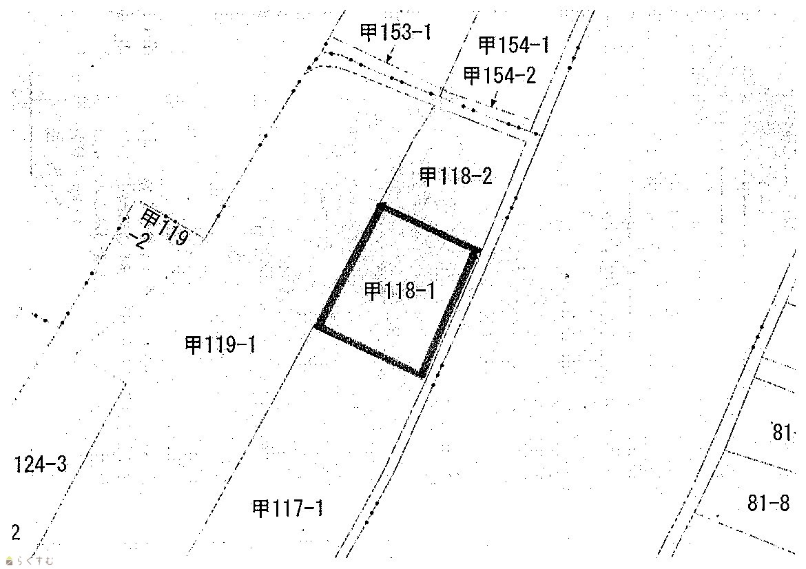
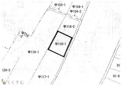
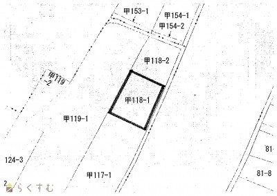
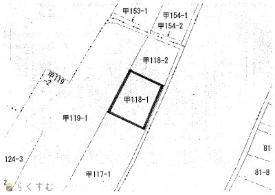
新潟県長岡市関原町3丁目118-1 売土地・分譲地 2,380,000円の物件情報

物件名/所在地 詳細 価格
関原町3丁目 売土地 66坪
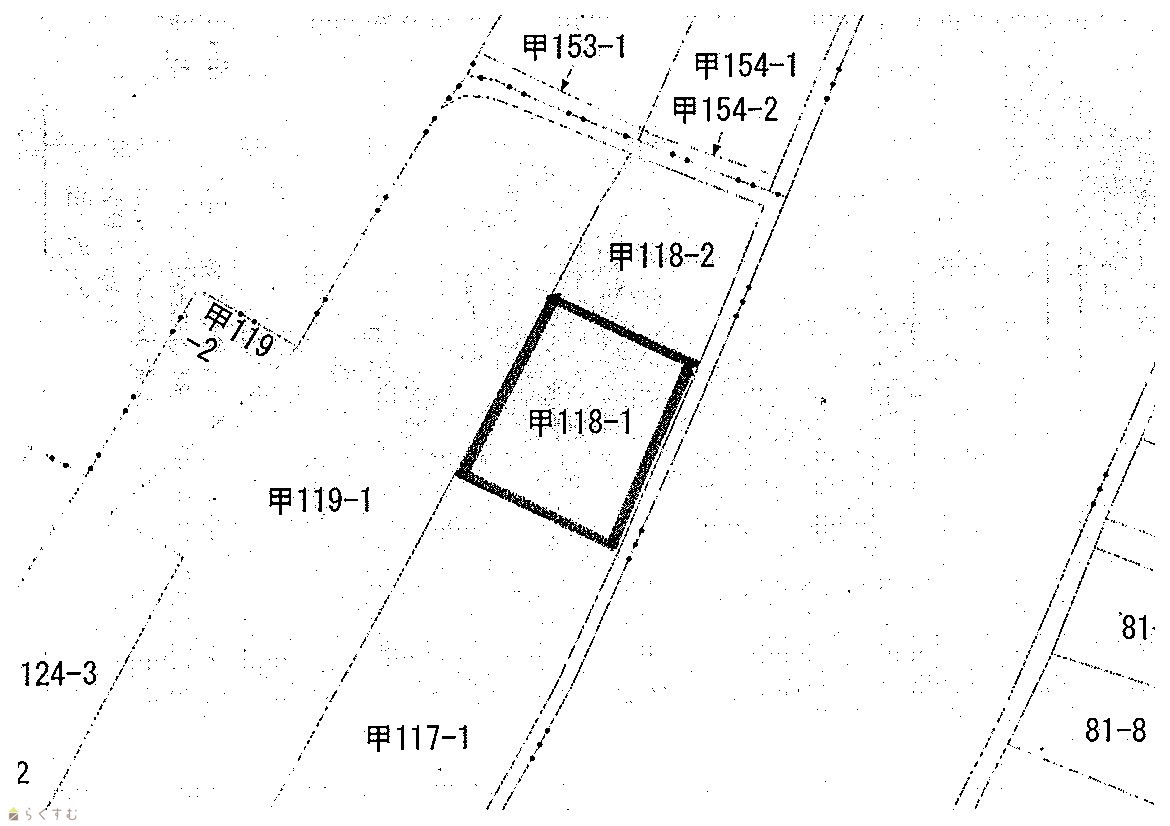
新潟県長岡市関原町3丁目118-1
  • 土地面積
    :219.23㎡ /66.31坪
  • 坪単価
    :35,892円/坪
  • 建ぺい率
    :60%
  • 容積率
    :200%
2,380,000
  • 関原町3丁目 売土地 66坪
    株式会社 金井不動産
  • この物件を問い合わせる/無料
  • TEL: 0120-35-3901

物件画像

外観 間取り
物件画像
※画像クリックで拡大表示
外観
物件画像
※画像クリックで拡大表示
図面
詳細画像


物件概要

物件コード 00014-200267
物件名 関原町3丁目 売土地 66坪
交通 駅:信越線 来迎寺駅から徒歩97分、バス:池の端から徒歩3分
物件所在地 新潟県長岡市関原町3丁目118-1
物件種別 売土地・分譲地
物件区分 売土地
構造 - 階建 -
建ぺい率/容積率 60%/200%
建物面積 -
土地面積 219.23㎡ /66.31坪
築年月 -
入居(引き渡し)時期 相談
用途地域 第1種住居地域 地目 宅地  (現状:更地)
都市計画 市街化区域 学校区 関原小学校(159m)・関原中学校(616m)
形状 間口 15.5m × 奥行 12.5m 道路 二項道路
私道 - その他の制限 セットバックが必要です。
  • 関原町3丁目 売土地 66坪
    株式会社 金井不動産
  • この物件を問い合わせる/無料
  • TEL: 0120-35-3901

物件詳細情報

所在階/階数 - 号室 -
販売価格 2,380,000円 方位 -
間取り -
専有面積 - バルコニー面積 -
その他面積 - 駐車場 -
管理費 - 修繕積立金 -
現況 -
仲介手数料 330,000円
利用制限 -
設備 整形地、更地、学校近く、閑静な住宅街、建築条件なし、所有権、即引き渡し可、都市ガス(前面道路)、上水道(前面道路)、下水道(前面道路)、住宅向け
取引態様 一般
備考 -
取り扱い会社

株式会社 金井不動産

新潟県長岡市要町3-1-26

情報登録日 2024/12/12 次回更新予定日 2026/06/07
取引条件有効期限 2025/03/31
  • 関原町3丁目 売土地 66坪
    株式会社 金井不動産
  • この物件を問い合わせる/無料
  • TEL: 0120-35-3901

この物件の地図・周辺情報・行政情報

この物件の周辺情報・行政情報を詳しく見る
【周辺情報】
物件の近くにあるコンビニや銀行・学校など、アイコン付のマップで詳しく表示できます!
【行政情報】
水道料や下水道料・ガス料金など、暮らしに関係のある情報を表示しています。

担当取扱い店舗情報

取扱い店舗画像
株式会社 金井不動産
TEL: 0120-35-3901
所在地: 新潟県長岡市要町3-1-26
交通: 長岡駅大手口①バス乗場より乗車~溝橋下車徒歩約4分
営業時間: 9:30~18:00/定休日:日曜・祝祭日
免許番号: 新潟県知事(16)第495号 この会社の情報を詳しく見る
所属団体名: 新潟県宅地建物取引業協会 長岡支部
取引態様: 一般
ホームページ: http://www.3901.com