目の前の中瀬橋を渡れば「エコトピア寿」に直通。お風呂とプールが楽しめます。!!
| 物件名/所在地 | 詳細 | 価格 | 
|---|---|---|
| 宝3丁目北西角地
														 長岡市宝3丁目4-14  | 
							
								
  | 
							6,500,000円 | 
| 外観 | 間取り | 
|---|---|
								![]() ※画像クリックで拡大表示 全景 
							 | 
							
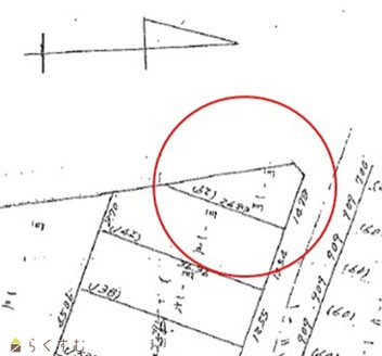
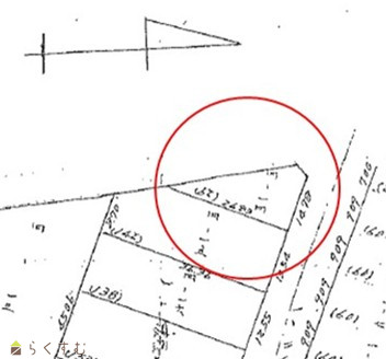
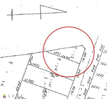
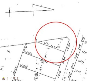
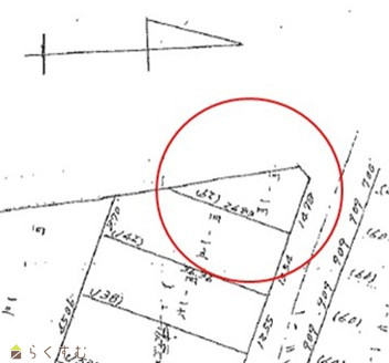
								![]() ※画像クリックで拡大表示 区画図 
							 | 
						
| 詳細画像 | |
| 
								 | 
						|
| 物件コード | 00008-200258 | ||
|---|---|---|---|
| 物件名 | 宝3丁目北西角地 | ||
| 交通 | バス:宝3丁目から徒歩6分 | ||
| 物件所在地 | 長岡市宝3丁目4-14 | ||
| 物件種別 | 売土地・分譲地 | ||
| 物件区分 | 売土地 | ||
| 構造 | - | 階建 | - | 
| 建ぺい率/容積率 | 70%/200% | ||
| 建物面積 | - | ||
| 土地面積 | 204㎡ /61.71坪 | ||
| 築年月 | - | ||
| 入居(引き渡し)時期 | 相談 | ||
| 用途地域 | 準工業地域 | 地目 | 宅地 (現状:建付地) | 
| 都市計画 | 市街化区域 | 学校区 | 黒条小学校(1,435m)・堤岡中学校(1,468m) | 
| 形状 | 間口 11.08m × 奥行 26.83m | 道路 | 北側12m消雪道路、西側6m消雪道路 | 
| 私道 | - | その他の制限 | - | 
| 所在階/階数 | - | 号室 | - | 
|---|---|---|---|
| 販売価格 | 6,500,000円 | 方位 | - | 
| 間取り | - | ||
| 専有面積 | - | バルコニー面積 | - | 
| その他面積 | - | 駐車場 | - | 
| 管理費 | - | 修繕積立金 | - | 
| 現況 | 空家 | ||
| 仲介手数料 | 330,000円 | ||
| 利用制限 | - | ||
| 設備 | 角地、前道6m以上、更地、閑静な住宅街、建築条件なし、所有権、電気、都市ガス(宅地内)、上水道(宅地内)、下水道(宅地内)、前面道路融雪設備あり、住宅向け | ||
| 取引態様 | 一般 | ||
| 備考 | ★建物解体更地渡し ★消雪組合費負担有り(年額12,000円)  | 
						||
| 取り扱い会社 | 
								 株式会社 島岡不動産企画 新潟県長岡市西新町1-8-11  | 
						||
| 情報登録日 | 2025/04/18 | 次回更新予定日 | 2025/11/19 | 
| 取引条件有効期限 | 2025/07/31 | ||
| 
																		デイリーヤマザキ 長岡宝3丁目店(コンビニ)まで220m 長岡信用金庫 宝支店(銀行)まで430m 第四北越銀行 長岡北支店(銀行)まで800m  | 
																
																		長岡宝郵便局(郵便局)まで320m エコトピア寿まで180m  | 
															
※カメラのアイコンがある場合は、マウスをポイントするとその施設の画像がご覧いただけます。
| TEL: | 0258-39-6030 | |
|---|---|---|
| 所在地: | 新潟県長岡市西新町1-8-11 | |
| 交通: | 「新町小学校前」バス停徒歩1分 | |
| 営業時間: | 9:00~18:30/定休日:日曜・祭日 | |
| 免許番号: | 新潟県知事(4)4829号 | 
										
											 | 
								
| 所属団体名: | 公益社団法人 新潟県宅地建物取引業協会 | |
| 取引態様: | 一般 | |
| ホームページ: | http://www.shimaoka.co.jp | |