1
物件掲載企業数:
301
社
|賃貸物件:
3,258
件|売買物件:
3,244
件|今週の登録物件:
235
件
閲覧中のブラウザ(インターネットエクスプローラー)は非推奨ブラウザです。
物件が正しく表示されなかったり、正しく検索されない場合があります。最新のブラウザ(Google Chrome・Edgeなど)にてご利用お願いいたします。
Google Chrome
Microsoft Edge
アパート・マンション・一戸建て
駐車場
貸土地
店舗
事務所
倉庫・工場
新築分譲マンション
中古マンション
新築一戸建て
中古一戸建て
売土地・分譲地
その他(投資物件など)
マンション
一戸建て
土地
ホーム
>
検索方法選択
>
エリア選択
> 物件一覧
全エリア
の
売土地・分譲地
一覧
2031件
該当しました。
<前のページ
33
34
35
36
37
38
39
40
41
42
43
次のページ>
表示切替:
一覧表示
/
地図表示
並び替え:
指定なし
新着順
価格が安い順
価格が高い順
画像
物件名/所在地/取扱店
詳細
剣野小学校・赤坂山公園すぐそば
柏崎市米山台1丁目売土地
新潟県柏崎市米山台1丁目3088-275
株式会社 ホーメックス
価格
:
3,950,000
円
土地面積
:207㎡ /62.61坪
坪単価
:63,088円/坪
建ぺい率
:60%
容積率
:200%
桜木町 売土地
新潟県柏崎市桜木町1076-1
株式会社 アイエステート
価格
:
3,960,000
円
土地面積
:261.91㎡ /79.22坪
坪単価
:49,987円/坪
建ぺい率
:60%
容積率
:200%
●小学校まで徒歩550m●バス停近く●前面道路には消雪あり●スマートICまで車で5分●閑静な環境の住宅向け用地
パレットタウン越路神谷 区画B ※建築条件付き
新潟県長岡市神谷1371
株式会社 ハーティーホーム
価格
:
3,969,630
円
土地面積
:208.32㎡ /63.01坪
坪単価
:63,000円/坪
建ぺい率
:-
容積率
:-
国道8号線近く、大潟雁子浜住宅団地内!
大潟区雁子浜 売地 3分割
新潟県上越市大潟区雁子浜384-3
上越宅地販売株式会社
価格
:
3,970,000
円
土地面積
:219㎡ /66.24坪
坪単価
:59,933円/坪
建ぺい率
:80%
容積率
:400%
東柏崎駅まで徒歩10分◇約47.22坪の角地
柏崎市比角 土地
新潟県柏崎市比角1丁目
田中不動産株式会社
価格
:
3,970,000
円
土地面積
:156.13㎡ /47.22坪
坪単価
:84,074円/坪
建ぺい率
:60%
容積率
:200%
【建築条件なし】バス停まで徒歩約2分です♪
中貫町1丁目 50坪の売地
新潟県長岡市中貫町1丁目2番19・26
ひかり不動産(白山住宅 不動産部)
価格
:
3,980,000
円
土地面積
:167.69㎡ /50.72坪
坪単価
:78,470円/坪
建ぺい率
:60%
容積率
:200%
高台の閑静な住宅地です!広々100坪!
国府2丁目
新潟県上越市国府2丁目4-34
株式会社 能建 上越支店
価格
:
3,980,000
円
土地面積
:330.57㎡ /99.99坪
坪単価
:39,803円/坪
建ぺい率
:60%
容積率
:200%
【売地】柏崎市若葉町
新潟県柏崎市若葉町609-26、609-20
ミサワホーム北越 株式会社
価格
:
3,980,000
円
土地面積
:297.79㎡ /90.08坪
坪単価
:44,182円/坪
建ぺい率
:60%
容積率
:200%
【ランドアップ】上越大通り近く通勤・生活利便性良好♪ぜひ現地でご覧ください。ご連絡お待ちしております。
上越市新光町一丁目 ランドアップ (1区画)
新潟県上越市新光町一丁目2番32号
株式会社リアルト・ハーツ 長岡支店
価格
:
3,980,000
円
土地面積
:158.06㎡ /47.81坪
坪単価
:83,246円/坪
建ぺい率
:60%
容積率
:200%
◆さくらニュータウンに隣接する閑静な住宅地 ◆建築条件なし ◆原信 城岡店まで徒歩約8分
長岡市下々条町【45.07坪】売土地
新潟県長岡市下々条町1771-1
髙頭不動産 株式会社
価格
:
3,980,000
円
土地面積
:149㎡ /45.07坪
坪単価
:88,307円/坪
建ぺい率
:60%
容積率
:200%
南側道路、北側は水路と田んぼで開放的!!
上越市頸城区島田(つつじヶ丘団地) 398万円
新潟県上越市頸城区島田1185-5
有限会社 よつば不動産
価格
:
3,980,000
円
土地面積
:292㎡ /88.33坪
坪単価
:45,058円/坪
建ぺい率
:-
容積率
:-
ヤッホーー!! 遠くの妙高山を眺めらます♪
国府2丁目 売地
新潟県上越市国府2丁目11番
株式会社 お不動さん
価格
:
4,000,000
円
土地面積
:239.06㎡ /72.31坪
坪単価
:55,317円/坪
建ぺい率
:60%
容積率
:200%
前面道路が広々とした103.45坪です。建築条件無しなので、お好きなハウスメーカーで建築できます。
燕市大川津 土地
新潟県燕市大川津1159-10
田中不動産株式会社
価格
:
4,000,000
円
土地面積
:342㎡ /103.45坪
坪単価
:38,666円/坪
建ぺい率
:70%
容積率
:200%
新町2売土地
新潟県長岡市新町2丁目123
有限会社 重山不動産
価格
:
4,000,000
円
土地面積
:152.95㎡ /46.26坪
坪単価
:86,467円/坪
建ぺい率
:80%
容積率
:300%
田尻小学校区! 広々75坪!
上田尻(池ノ峰) 売土地
新潟県柏崎市大字上田尻字池ノ峰2914番27
株式会社 ライフプラン
価格
:
4,000,000
円
土地面積
:248.07㎡ /75.04坪
坪単価
:53,304円/坪
建ぺい率
:70%
容積率
:200%
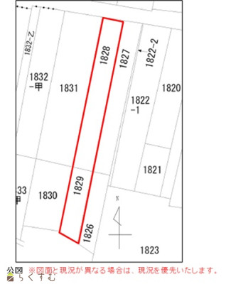
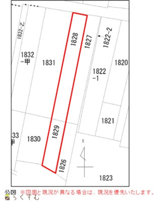
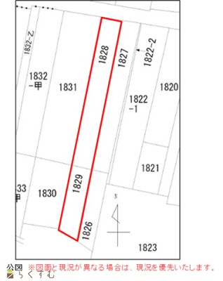
76.98坪、多用途に
柏崎市四谷2丁目売土地
新潟県柏崎市四谷1828
株式会社 ホーメックス
価格
:
4,000,000
円
土地面積
:254.51㎡ /76.98坪
坪単価
:51,961円/坪
建ぺい率
:-
容積率
:-
若葉町売土地
新潟県柏崎市若葉町2-52
株式会社 アイエステート
価格
:
4,000,000
円
土地面積
:267.69㎡ /80.97坪
坪単価
:49,401円/坪
建ぺい率
:60%
容積率
:200%
大和売地
新潟県上越市大和3丁目地内
日成商事株式会社
価格
:
4,000,000
円
土地面積
:323.21㎡ /97.77坪
坪単価
:40,912円/坪
建ぺい率
:60%
容積率
:200%
JR三条駅徒歩5分!スーパーまで450mと生活利便性の高い立地♪
三条市南新保 売土地
新潟県三条市南新保1149
戸建エース / (株)アップデート不動産
価格
:
4,000,000
円
土地面積
:156.03㎡ /47.19坪
坪単価
:84,763円/坪
建ぺい率
:80%
容積率
:200%
広々とした敷地の分譲地内!駅・幹線道路へのアクセス良好です。
出雲崎町川西 売土地
新潟県三島郡出雲崎町川西982-8 外1筆
髙頭不動産 株式会社
価格
:
4,000,000
円
土地面積
:356.15㎡ /107.73坪
坪単価
:37,129円/坪
建ぺい率
:-
容積率
:-
表示切替:
一覧表示
/
地図表示
並び替え:
指定なし
新着順
価格が安い順
価格が高い順
価格は物件の代金総額を表示しており、消費税が課税される場合は税込み価格です。
建築条件付き土地価格には、建物価格は含まれません。
物件情報の詳細については取り扱い店までお問い合わせください。
完成予想図はいずれも外構・植栽・外観等実際のものと異なることが多少あります。
CG合成の画像の場合実際と異なることが多少あります。
完成後1年以上経過したものが未入居として記載される場合があります。ご了承ください。
販売予定物件は販売開始するまで契約または予約の申し込みはできません。
ご購入の場合物件詳細や契約内容についてご自身で十分ご確認いただきますようよろしく御願いします。
建築条件付きとは…その土地に建築する建物の建築請負契約が、一定期間内に成立することを条件として売買される土地のことをいいます。請負契約成立に向けて設計プランを協議するため、土地購入者が希望する建物にするために一定の期間(概ね3ヶ月)交渉期間としその期間内に希望するプランが実現できたかどうかによって土地の購入の判断をします。納得のいくプランができず請負契約が未成立になった場合、土地契約にかかった代金(手付金など)は、すべて返却されます。
2031件
該当しました。
<前のページ
33
34
35
36
37
38
39
40
41
42
43
次のページ>
0件
がマッチ
基本条件
物件種別
売土地・分譲地
詳細種別
売土地
分譲地
価格
下限なし
100万円
250万円
500万円
1000万円
1500万円
2000万円
2500万円
3000万円
3500万円
4000万円
4500万円
5000万円
5500万円
6000万円
6500万円
7000万円
7500万円
8000万円
8500万円
9000万円
9500万円
1億円
~
上限なし
100万円
250万円
500万円
1000万円
1500万円
2000万円
2500万円
3000万円
3500万円
4000万円
4500万円
5000万円
5500万円
6000万円
6500万円
7000万円
7500万円
8000万円
8500万円
9000万円
9500万円
1億円
間取り
ワンルーム
1K
1DK
1LDK
2K
2DK
2LDK
3K
3DK
3LDK
4K
4DK
4LDK以上
専有面積
下限なし
20㎡
30㎡
40㎡
50㎡
60㎡
70㎡
80㎡
90㎡
100㎡
~
上限なし
20㎡
30㎡
40㎡
50㎡
60㎡
70㎡
80㎡
90㎡
100㎡
土地面積
下限なし
60㎡ (約18坪)
70㎡ (約21坪)
80㎡ (約24坪)
90㎡ (約27坪)
100㎡ (約30坪)
110㎡ (約33坪)
120㎡ (約36坪)
130㎡ (約39坪)
140㎡ (約42坪)
150㎡ (約45坪)
160㎡ (約48坪)
170㎡ (約51坪)
180㎡ (約54坪)
190㎡ (約57坪)
200㎡ (約60坪)
250㎡ (約75坪)
300㎡ (約90坪)
~
上限なし
60㎡ (約18坪)
70㎡ (約21坪)
80㎡ (約24坪)
90㎡ (約27坪)
100㎡ (約30坪)
110㎡ (約33坪)
120㎡ (約36坪)
130㎡ (約39坪)
140㎡ (約42坪)
150㎡ (約45坪)
160㎡ (約48坪)
170㎡ (約51坪)
180㎡ (約54坪)
190㎡ (約57坪)
200㎡ (約60坪)
250㎡ (約75坪)
300㎡ (約90坪)
建物面積
下限なし
60㎡ (約18坪)
70㎡ (約21坪)
80㎡ (約24坪)
90㎡ (約27坪)
100㎡ (約30坪)
110㎡ (約33坪)
120㎡ (約36坪)
130㎡ (約39坪)
140㎡ (約42坪)
150㎡ (約45坪)
160㎡ (約48坪)
170㎡ (約51坪)
180㎡ (約54坪)
190㎡ (約57坪)
200㎡ (約60坪)
250㎡ (約75坪)
300㎡ (約90坪)
~
上限なし
60㎡ (約18坪)
70㎡ (約21坪)
80㎡ (約24坪)
90㎡ (約27坪)
100㎡ (約30坪)
110㎡ (約33坪)
120㎡ (約36坪)
130㎡ (約39坪)
140㎡ (約42坪)
150㎡ (約45坪)
160㎡ (約48坪)
170㎡ (約51坪)
180㎡ (約54坪)
190㎡ (約57坪)
200㎡ (約60坪)
250㎡ (約75坪)
300㎡ (約90坪)
坪単価
下限なし
5万円
10万円
15万円
20万円
25万円
30万円
35万円
40万円
45万円
50万円
~
上限なし
5万円
10万円
15万円
20万円
25万円
30万円
35万円
40万円
45万円
50万円
築年数
指定なし
新築
3年以内
5年以内
10年以内
15年以内
20年以内
方位
北
北東
東
南東
南
南西
西
北西
おすすめ条件
ペット可・相談
楽器可・相談
情報公開日
指定なし
本日
3日以内
1週間以内
1ヶ月以内
0件
がマッチ
人気のあるこだわり条件
高台に立地(104)
角地(370)
整形地(712)
前道6m以上(969)
南側道路面す(383)
更地(1174)
学校近く(552)
スーパー近く(403)
最寄り駅近く(229)
閑静な住宅街(936)
分割可能(47)
建築条件なし(1497)
所有権(1611)
即引き渡し可(662)
側溝(683)
都市ガス(前面道路)(792)
LPG(157)
上水道(前面道路)(898)
下水道(前面道路)(818)
浄化槽(74)
電気(898)
都市ガス(宅地内)(830)
上水道(宅地内)(1060)
下水道(宅地内)(967)
前面道路融雪設備あり(407)
その他水道(2)
住宅向け(1412)
事業用向け(317)
別荘地(116)
田舎暮らし(230)
条件に合った物件数は、
0 件
です。
立地・環境
高台に立地(104)
角地(370)
整形地(712)
前道6m以上(969)
南側道路面す(383)
更地(1174)
学校近く(552)
スーパー近く(403)
最寄り駅近く(229)
閑静な住宅街(936)
用途・制限
分割可能(47)
建築条件なし(1497)
引渡・条件
所有権(1611)
即引き渡し可(662)
設備
側溝(683)
都市ガス(前面道路)(792)
LPG(157)
上水道(前面道路)(898)
下水道(前面道路)(818)
浄化槽(74)
電気(898)
都市ガス(宅地内)(830)
上水道(宅地内)(1060)
下水道(宅地内)(967)
前面道路融雪設備あり(407)
その他水道(2)
その他
住宅向け(1412)
事業用向け(317)
別荘地(116)
田舎暮らし(230)
条件に合った物件数は、
0 件
です。
アパート・マンション・一戸建て
/
駐車場
/
貸土地
/
店舗
/
事務所
/
倉庫・工場
新築分譲マンション
/
中古マンション
/
新築一戸建て
/
中古一戸建て
/
売土地
/
投資物件・その他
マンション
/
一戸建て
/
土地
建てる・リフォーム
物件掲載企業一覧
掲載希望の企業様へ
新潟の不動産情報サイト
サービス利用規約
運営会社
サイトマップ
プライバシーポリシー
お問い合わせ
リンク
Copyright (C)
株式会社 コモンライフ・コーポレーション
. All Rights Reserved.
新潟・長岡・柏崎の賃貸・マンション・アパート・住宅の不動産物件情報サイト
不動産検索サイト「らくすむ」及び関連サイトに記載の不動産情報は、会員規約に則り、情報提供会社様の責任のもとに発信されております。
不動産の賃借、購入に関しては賃借者、購入者ご自身が情報を確認され、会社企業様から説明を受けられたうえで判断をお願いいたします。
不動産検索サイト「らくすむ」及び関連サイトに記載の不動産情報、写真、デザイン、コンテンツなどの
無断転載・転用・複製
など禁止します。