第一産業道路沿い!体育文化会館前!
| 物件名
							 所在地  | 
							面積
							 間取り 所在階  | 
							築年数
							 方位  | 
							賃料
							 管理費等 共益費  | 
							敷金
							 保証金 礼金  | 
							種別
							 構造  | 
						
|---|---|---|---|---|---|
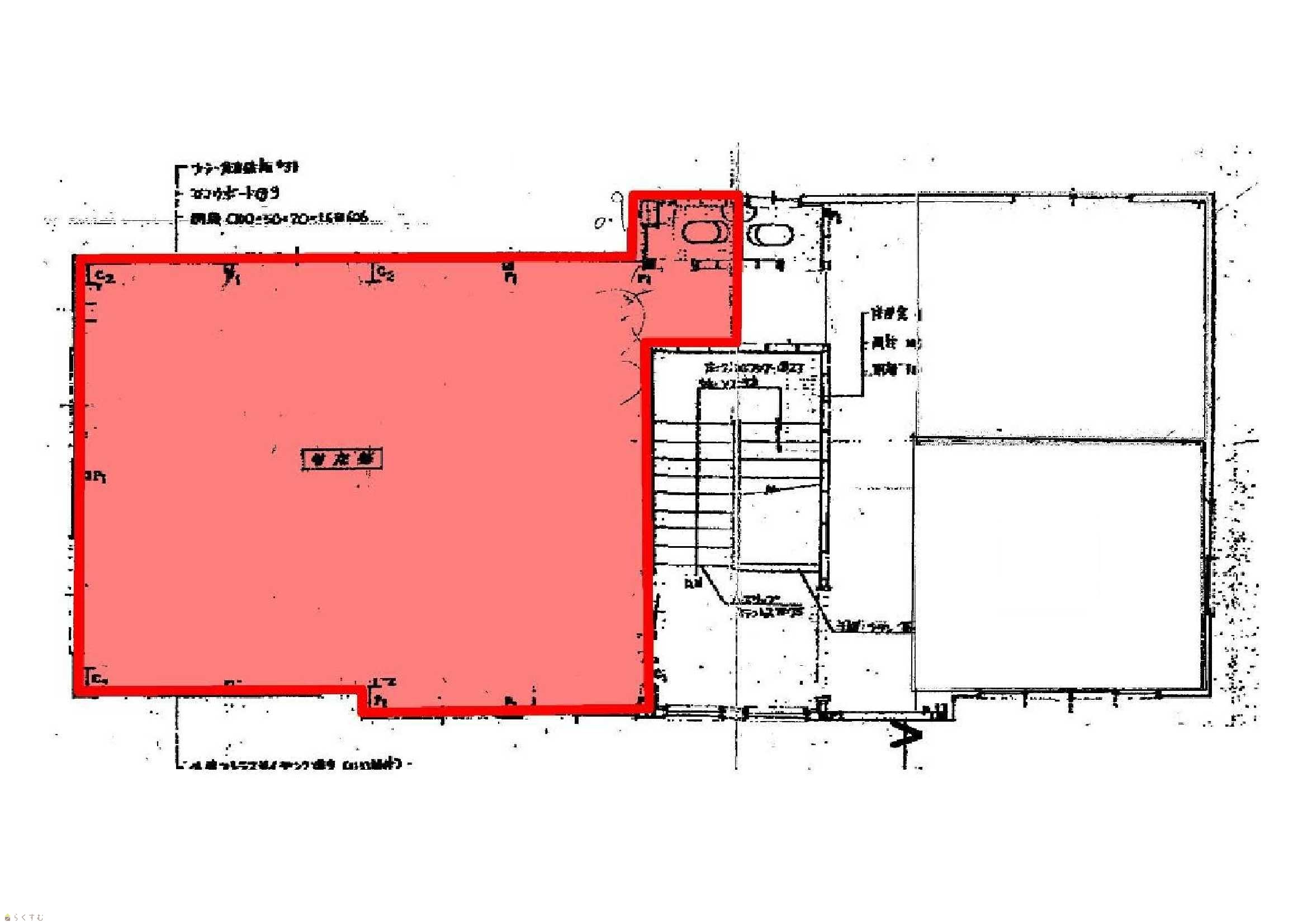
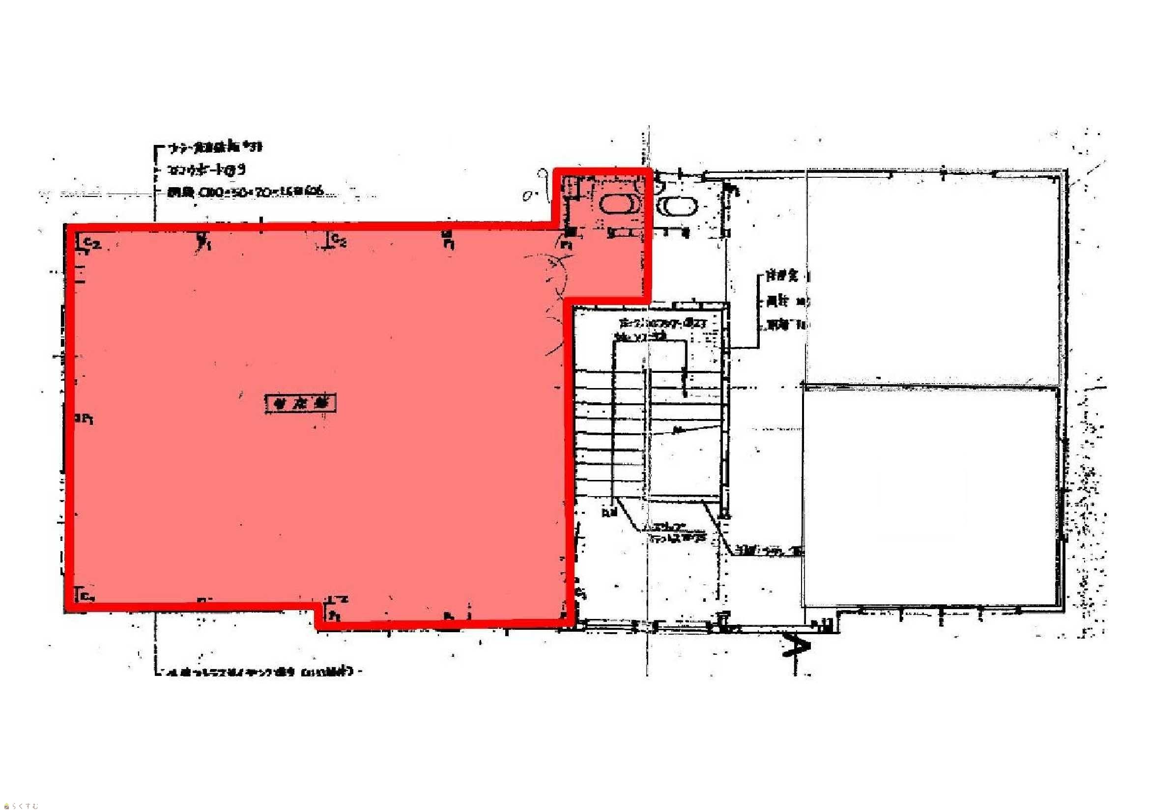
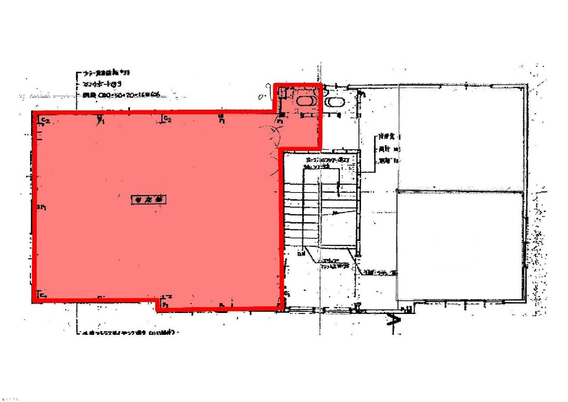
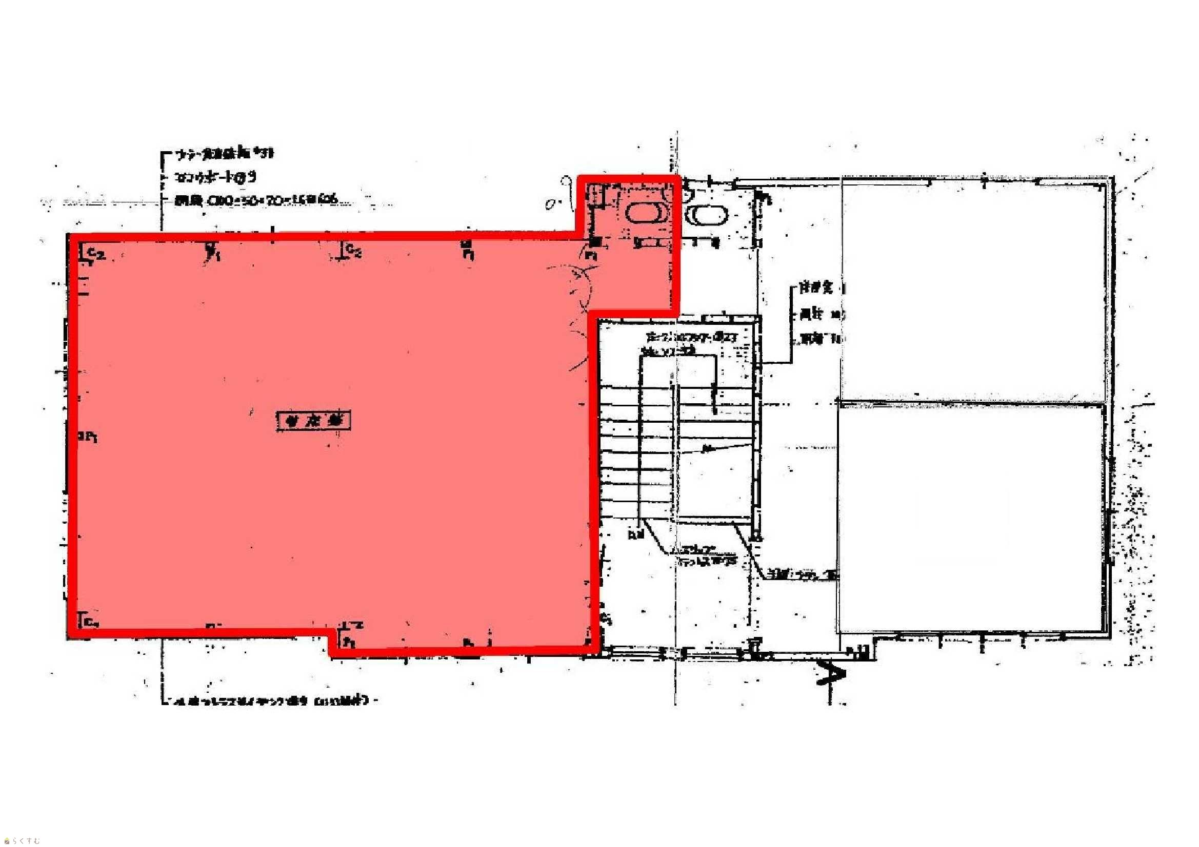
| モール荒町 201号室 新潟県三条市荒町12-30  | 55.28㎡ (16.72坪) - 2階  | 58年 -  | 8.8万円 なし なし  | 2ヶ月 なし なし  | 店舗 木造鉄骨  | 
						
| 外観 | 間取り | 
|---|---|
| 
								 ※画像クリックで拡大表示 外観 
							 | 
							
								![]() ※画像クリックで拡大表示 図面 
							 | 
						
| 詳細画像 | |
| 
								 | 
						|
| 360度画像 | |
| 
								
								
								 インターネットエクスプローラーでは360°画像は閲覧できません。それ以外のブラウザでご覧下さい。 
  | 
						|
| 物件コード | 00052-100162 | ||
|---|---|---|---|
| 物件名 | モール荒町 | ||
| 交通 | 駅:弥彦線 北三条駅から徒歩9分、バス:体育文化センターから徒歩1分 | ||
| 所在地 | 新潟県三条市荒町12-30 | ||
| 物件種別 | 店舗 | ||
| 総戸数 | 4戸 | ||
| 構造 | 木造鉄骨 | 階建 | 地上2階建 | 
| 所在階/階数 | 2階/2階 | 号室 | 201号室 | 
| 面積 | 55.28㎡ /16.72坪 | 方位 | - | 
| 間取り | - | ||
| 賃料 | 8.8万円/月
								
								 | 
							管理費 | - | 
| 礼金 | -
								
								 | 
							敷金 | 2ヶ月
								
								 | 
						
| ほか初期費用 | - | その他諸費用 | - | 
| 更新料 | - | 火災(家財)保険 | 加入必須 | 
| 共益費 | - | 町内費 | - | 
| 駐車場 | - | バイク料金 | - | 
| 鍵交換費 | - | 清掃料 | - | 
| 更新事務手数料 | - | ||
| 保証区分 | 
								連帯保証人+保証会社 | 
						||
| 保証会社 | 
							   区分:加入要
							   
							  	 							    保証会社名:その他 (ジェイリース株式会社) 初回保証料:月額総額の100% 継続保証料(年):月額総額の10% ※必須※  | 
							
						||
| 連帯保証人 | 
							   区分:要 -  | 
						||
| 仲介手数料 | 
								
																	96,800円
									 | 
							
						||
| 築年月 | 1967年4月(築58年) | ||
| 利用制限 | 事務所利用:可 | ||
| 学校区 | 裏館小学校(897m)・第三中学校(520m) | ||
| 設備 | 2階以上、最上階、即引き渡し可 | ||
| 入居時期 | 即入居可 | ||
| 取引態様 | 仲介 | ||
| 備考 | 専用トイレ有り。 | ||
| 手数料負担割合/配分割合 | 貸主:0% 借主:100% / 元付:50% 客付:50% | ||
| 取り扱い会社 | 
								 株式会社 ユタカ不動産 新潟県三条市旭町1丁目1-19-3ユタカビル  | 
						||
| 情報登録日 | 2025/07/28 | 次回更新予定日 | 2025/11/18 | 
| TEL: | 0256-35-5825 | |
|---|---|---|
| 所在地: | 新潟県三条市旭町1丁目1-19-3ユタカビル | |
| 交通: | 東三条駅 | |
| 営業時間: | 9:00~18:00/定休日:火曜・祭日 | |
| 免許番号: | 新潟見知事(9)第3203号 | 
										
											 | 
								
| 所属団体名: | 新潟県宅地建物取引協会 三条支部 | |
| 取引態様: | 仲介 | |
| ホームページ: | http://www.yutakafudousan.com | |